1,592 物件出品中!

滋賀県長浜市高月町東物部 高月駅24分の競売物件
¥ 850,000円 農地 1,104m²

滋賀県長浜市高月町東物部 高月駅24分の競売物件

不売になりました
2026年2月5日(木)再出品情報があります

期間入札 () 37万円 値下げ

管轄裁判所
大津地方裁判所長浜支部
事件番号
令和06年(ケ)第5号
売却基準価額
850,000円
買受申出保証額
170,000円
買受可能価額
680,000円

売却結果

売却価額
-
開札結果
不売
入札者数
-
落札者資格
-
開札日
2026年2月5日(木)

物件概要

所在地
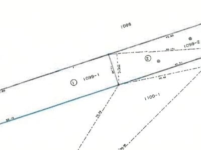
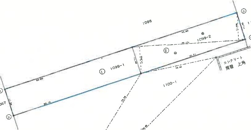
滋賀県長浜市高月町東物部字生塚1099番1
評価上の交通
JR北陸本線「高月」駅 北西方 道路距離 約2.4km
最寄乗合タクシー停留所「東物部」北西方 約500m
参考交通
-
土地面積
1,103.99m² (334.0坪)
地目
用途地域
都市計画区域内無指定
物件番号
  • 4. 土地 (農地)
  • 5. 土地 (売却外物件あり)

物件詳細

物件番号
4
種別
土地 (農地)
所在地
長浜市高月町東物部字生塚 1099番1
地目 (登記)
地目 (現況)
-
土地面積 (登記)
604m² (182.7坪)
土地面積 (現況)
-
用途地域
都市計画区域内無指定
土地の利用状況
-
建ぺい率
70%
容積率
200%
持分
-
物件番号
5
種別
土地 売却外物件あり
所在地
長浜市高月町東物部字生塚 1099番2
地目 (登記)
宅地
地目 (現況)
-
土地面積 (登記)
499.99m² (151.2坪)
土地面積 (現況)
-
用途地域
都市計画区域内無指定
土地の利用状況
-
建ぺい率
70%
容積率
200%
持分
-
入札資格
農地及び採草放牧地について買受申出が出来るのは、都道府県知事又は農業委員会等の交付した買受適格証明書を有する方に限られています。また、これらの方が最高価買受申出人等となったときは、売却決定期日までに、改めて都道府県知事等が交付する許可を証する書面または届出受理証明書を執行裁判所へ提出する必要があります。買受適格証明書の入手等については、その農地等の所在を管轄する都道府県事務所又は農業委員会等へお問い合わせください。
注意事項
本詳細情報画面の内容については、必ず物件資料3点セット(物件明細書、現況調査報告書及び評価書等)をダウンロードの上、ご確認ください(民事執行法63条2項1号の申出がある場合等があります)。 本システムからダウンロードした「現況調査報告書」及び「評価書」に引用されている写真、資料及び図面は、本システム上は添付されていない場合があります。

売却スケジュール

売却実施処分日
2025年9月24日(水)
公告日
2025年10月9日(木)
閲覧開始日
2025年10月9日(木)
入札期間
2026年1月22日(木)〜1月29日(木)
開札日
2026年2月5日(木)
特別売却期間
2026年2月12日(木)のみ
売却決定日
2026年2月26日(木)
確定日
2026年3月6日(金)
状態
終了
スケジュール
競売スケジュール

過去の出品

1回目
202万円 (2025.04.24不売)
2回目
202万円 (2025.05.01不売)
3回目
122万円 (2025.08.28不売)
4回目
122万円 (2025.09.04不売)
出典:裁判所BIT 不動産競売物件情報

最寄り駅・周辺地図

JR北陸本線高月駅 24分 (約1.9km)
JR北陸本線木ノ本駅 35分 (約2.8km)
JR北陸本線河毛駅 56分 (約4.4km)

滋賀県長浜市 農地の販売価格

取引平均-

近隣の農地落札価格

入札数{{ point.bids }}入札数1{{ point.base }}{{ point.sold }}{{ point.sqm.toLocaleString() }}m²築{{ point.age }}年
周辺には農地の落札履歴がありません。地図をドラッグして範囲や縮尺を変えてお試しください