2,114 物件入札可能!

静岡県賀茂郡河津町湯ケ野 河津駅の競売物件
¥ 620,000円 土地 50m²

静岡県賀茂郡河津町湯ケ野 河津駅の競売物件

529,999円
で売却されました
2025年12月17日(水)

期間入札 (初出品)

管轄裁判所
静岡地方裁判所沼津支部
事件番号
令和07年(ケ)第30号
売却基準価額
620,000円
買受申出保証額
124,000円
買受可能価額
496,000円

売却結果

売却価額
529,999円
開札結果
売却
入札者数
3人
落札者資格
個人
開札日
2025年12月17日(水)

物件概要

所在地
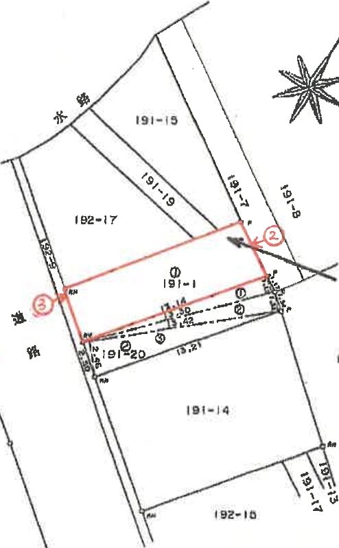
静岡県賀茂郡河津町湯ケ野字中尾191番1
評価上の交通
伊豆急行線「河津」駅 北西方 約5km (直線距離)
参考交通
-
土地面積
50.44m² (15.3坪)
地目
宅地
用途地域
都市計画区域内無指定
物件番号
  • 7. 土地

物件詳細

物件番号
7
種別
土地
所在地
賀茂郡河津町湯ケ野字中尾 191番1
地目 (登記)
宅地
地目 (現況)
-
土地面積 (登記)
50.44m² (15.3坪)
土地面積 (現況)
-
用途地域
都市計画区域内無指定
土地の利用状況
-
建ぺい率
60%
容積率
200%
持分
-
注意事項
本詳細情報画面の内容については、必ず物件資料3点セット(物件明細書、現況調査報告書及び評価書等)をダウンロードの上、ご確認ください(民事執行法63条2項1号の申出がある場合等があります)。 本システムからダウンロードした「現況調査報告書」及び「評価書」に引用されている写真、資料及び図面は、本システム上は添付されていない場合があります。

売却スケジュール

売却実施処分日
2025年9月29日(月)
公告日
2025年11月4日(火)
閲覧開始日
2025年11月4日(火)
入札期間
2025年12月3日(水)〜12月10日(水)
開札日
2025年12月17日(水)
特別売却期間
2025年12月18日(木)〜12月19日(金)
売却決定日
2026年1月7日(水)
確定日
2026年1月15日(木)
状態
終了
スケジュール
年間売却スケジュール/静岡地方裁判所沼津支部
出典:裁判所BIT 不動産競売物件情報

最寄り駅・周辺地図

静岡県賀茂郡河津町 土地の販売価格

取引平均-

近隣の土地落札価格

入札数{{ point.bids }}入札数?{{ point.base }}{{ point.sold }}{{ point.sqm.toLocaleString() }}m²築{{ point.age }}年
周辺には土地の落札履歴がありません。地図をドラッグして範囲や縮尺を変えてお試しください