1,752 物件入札可能!

新潟県新潟市江南区木津 荻川駅13分の公売物件
¥ 9,500,000円 土地 1,302m²

新潟県新潟市江南区木津 荻川駅13分の国税庁公売物件

不売になりました
2026年2月14日(土)

売却結果

実施局署
関東信越国税局
公売公告番号
29号
公告日
令和7年11月28日
入札期間
令和8年1月27日 から 令和8年2月4日
公売の方法
期間入札
開札期日
令和8年2月12日午前10時00分
売却決定の日時
令和8年3月3日午前9時00分
次順位買受申込者に対する売却決定の日は、国税徴収法第113条第2項に定める日となります。
売却決定の場所
関東信越国税局
売却区分番号
1927-1
入札者等の区分
入札なし
入札(売却)価額
0円

期間入札 (初出品)

実施局署
関東信越 国税局
見積価額
9,500,000円
公売の方法
期間入札
公売公告番号
29号
公売保証金
1,000,000円
売却区分番号
1927-1
公売保証金の提供方法
現金等
入札期間
令和8年1月27日午前9時00分 から 令和8年2月4日午後5時00分
入札の場所
関東信越国税局又は公売情報ホームページ
必要書類の提出期限 (電子入札の場合)
令和8年1月30日午後5時00分
公売保証金の納付期限
令和8年1月30日午後5時00分
開札期日
令和8年2月12日午前10時00分
開札の場所
関東信越国税局
買受代金納付期限
令和8年3月3日午後2時00分
売却決定の日時
令和8年3月3日午前9時00分
売却決定の場所
関東信越国税局
追加入札期間
令和8年2月17日午前9時00分 から 令和8年2月19日午後5時00分
追加入札開札期日
令和8年2月24日午前10時00分
開札の場所
関東信越国税局
買受代金納付期限
令和8年3月3日午後2時00分
売却決定の日時
令和8年3月3日午前9時00分
売却決定の場所
関東信越国税局
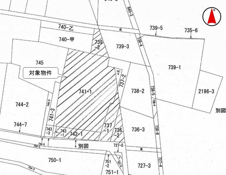
住居表示等
新潟県新潟市江南区木津五丁目741番1
交通機関
JR (東日本) 信越本線 荻川駅 北東方約1.1キロメートル
面積 (地積) 合計
1,301.99m² (393.9坪)
主たる地目
宅地

詳細情報 (個別)

財産番号
1
種別
土地
所在地 (登記簿表示内容)
新潟県新潟市江南区木津五丁目736番2
地目 (登記簿表示内容)
宅地
面積 (登記簿表示内容)
79.58m² (24.1坪)
地盤・地勢
ほぼ平坦
接道状況
南側 幅員約4.0メートル 舗装市道 ほぼ等高接面
北東側 幅員約2.0から4.0メートル 未舗装道路 ほぼ等高接面
当該北東側道路は、建築基準法上の道路に該当しません。
使用状況
未利用地
電柱が3本あります。
管理状況
-

詳細情報 (個別)

財産番号
2
種別
土地
所在地 (登記簿表示内容)
新潟県新潟市江南区木津五丁目737番1
地目 (登記簿表示内容)
宅地
面積 (登記簿表示内容)
105.86m² (32.0坪)

詳細情報 (個別)

財産番号
3
種別
土地
所在地 (登記簿表示内容)
新潟県新潟市江南区木津五丁目739番2
地目 (登記簿表示内容)
宅地
面積 (登記簿表示内容)
103.28m² (31.2坪)

詳細情報 (個別)

財産番号
4
種別
土地
所在地 (登記簿表示内容)
新潟県新潟市江南区木津五丁目741番1
地目 (登記簿表示内容)
宅地
面積 (登記簿表示内容)
909.03m² (275.0坪)

詳細情報 (個別)

財産番号
5
種別
土地
所在地 (登記簿表示内容)
新潟県新潟市江南区木津五丁目742番1
地目 (登記簿表示内容)
宅地
面積 (登記簿表示内容)
97.24m² (29.4坪)

詳細情報 (個別)

財産番号
6
種別
土地
所在地 (登記簿表示内容)
新潟県新潟市江南区木津五丁目743番1
地目 (登記簿表示内容)
宅地
面積 (登記簿表示内容)
7m² (2.1坪)

詳細情報 (共通)

公法上の規制
市街化調整区域
建ぺい率 60% 容積率 200%
都市計画法第34条12号区域
宅地造成等工事規制区域
新潟市景観計画
新潟市ハザードマップ (洪水想定浸水深0.5から3.0メートル未満)
特記事項
1. 現存しない建物 (家屋番号741番1) の登記があります。
2. 新潟市開発行為等の許可の基準に関する条例に該当します。なお、用途変更等の際には制限を受ける場合もあります。詳細は新潟市江南区役所建設課 (電話025―382―4738) にお問い合わせください。
3. 対象物件上に東北電力ネットワーク株式会社が所有する電柱及びそれを支える支線が設置されています。買受人は、東北電力ネットワーク株式会社と電柱敷地に関する契約をする必要があります。詳細は東北電力ネットワーク株式会社フリーダイヤル (0120-175-377) にお問い合わせください。
その他事項
公売財産の売却決定は、最高価申込者に係る入札価額をもって行います。
一括換価について
対象物件は、国税徴収法第89条第3項の規定に基づき一括換価の方法により公売を行います。
留意事項
公売は現況有姿により行うものであるため、次の一般的事項を十分ご理解の上、公売へご参加ください。
1. 公売財産の面積等は公簿上によるものです。あらかじめその現況及び関係公簿等を確認してください。
2. 公売財産の種類又は品質に関する不適合があっても、執行機関 (国) は、担保責任等を負いません。
3. 執行機関 (国) は、公売財産の引渡しの義務を負わないため、使用者又は占有者に対して明渡しを求める場合や不動産内にある動産の処理などはすべて買受人の責任において行うことになります。
4. 土地の境界については隣接地所有者と、接面道路 (私道) の利用については道路所有者とそれぞれ協議してください。
5. 土壌汚染やアスベストなどに関する専門的な調査は行っておりません。

公売財産に関するお問い合せ先

お問い合せ先
関東信越 国税局
お問い合せの際には、開札日(令和8年2月12日)と売却区分番号(1927-1)をお申出の上ご照会ください。
担当部署名
特別整理総括第二課
郵便番号
330-9719
所在地
さいたま市中央区新都心1番地1さいたま新都心合同庁舎1号館
電話番号
048-600-3111
内線
2593
電話受付時間
平日午前9時から午後5時まで
出典:国税庁ホームページ - (1927-1 新潟県新潟市江南区) 土地詳細 | 公売情報

最寄り駅・周辺地図

新潟県新潟市江南区 土地の販売価格

取引平均-

近隣の土地落札価格

入札数{{ point.bids }}入札数?{{ point.base }}{{ point.sold }}{{ point.sqm.toLocaleString() }}m²築{{ point.age }}年
周辺には土地の落札履歴がありません。地図をドラッグして範囲や縮尺を変えてお試しください