2,259 物件出品中!

千葉県茂原市千町 新茂原駅の公売物件
¥ 550,000円 土地 162m²

千葉県茂原市千町 新茂原駅の国税庁公売物件

不売になりました
2026年1月21日(水)再出品情報があります

売却結果

実施局署
東京国税局
公売公告番号
45号
公告日
令和7年12月9日
入札期間
令和8年1月6日 から 令和8年1月15日
公売の方法
期間入札
開札期日
令和8年1月20日午前10時00分
売却決定の日時
令和8年2月4日午前10時00分
次順位買受申込者に対する売却決定の日は、国税徴収法第113条第2項に定める日となります。
売却決定の場所
東京国税局
売却区分番号
3919-1
入札者等の区分
入札なし

期間入札 (初出品)

実施局署
東京 国税局
見積価額
550,000円
公売の方法
期間入札
公売公告番号
45号
公売保証金
100,000円
売却区分番号
3919-1
公売保証金の提供方法
現金等
入札期間
令和8年1月6日午前9時00分 から 令和8年1月15日午後5時00分
入札の場所
東京国税局
必要書類の提出期限 (電子入札の場合)
令和8年1月13日午後5時00分
公売保証金の納付期限
令和8年1月13日午後5時00分
開札期日
令和8年1月20日午前10時00分
開札の場所
東京国税局
買受代金納付期限
令和8年2月4日午後3時00分
売却決定の日時
令和8年2月4日午前10時00分
売却決定の場所
東京国税局
追加入札期間
令和8年1月27日午前9時00分 から 令和8年2月3日午後5時00分
追加入札開札期日
令和8年2月6日午前10時00分
開札の場所
東京国税局
買受代金納付期限
令和8年2月24日午後3時00分
売却決定の日時
令和8年2月24日午前10時00分
売却決定の場所
東京国税局
住居表示等
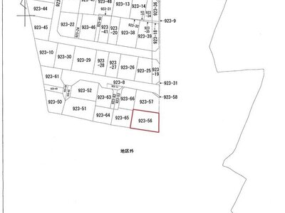
千葉県茂原市千町字座頭沼923番56
交通機関
JR (東日本) 外房線 新茂原駅 北東方約4.1キロメートル
面積 (地積) 合計
162m² (49.0坪)
主たる地目
山林

詳細情報 (個別)

財産番号
1
種別
土地
所在地 (登記簿表示内容)
千葉県茂原市千町字座頭沼923番56
地目 (登記簿表示内容)
山林
面積 (登記簿表示内容)
162m² (49.0坪)
地盤・地勢
ほぼ平坦地
接道状況
東側 幅員約4メートル舗装赤道 (建築基準法上の道路) ほぼ等高接面
使用状況
竹・雑木・雑草繁茂
留意事項
公売は現況有姿により行うものであるため、次の一般的事項を十分ご理解の上、公売へご参加ください。
1. 公売財産については、あらかじめその現況及び関係公簿等を確認してください。
2. 公売財産に財産の種類又は品質に関する不適合があっても、執行機関 (国) は、担保責任を負いません。
3. 執行機関 (国) は、公売財産の引渡義務を負わないため、使用者又は占有者に対して明渡しを求める場合や不動産内にある動産の処理などはすべて買受人の責任において行うことになります。
4. 土地の境界については隣接地所有者と、接面道路 (私道) の利用については道路所有者とそれぞれ協議してください。
5. 土壌汚染やアスベストなどに関する専門的な調査は行っておりません。

なお、売却区分番号内に複数の財産 (財産が一つで所有者を異にする場合を含む。) があるものについては、国税徴収法第89条第3項の規定に基づき、一括換価の方法により公売を行います。

詳細情報 (共通)

公法上の規制
都市計画区域内 用途地域の指定なし
日影規制 (5時間-3時間)
宅地造成等工事規制区域
特記事項
多数の投棄物あり
その他事項
公売財産の売却決定は、最高価申込者に係る入札価額をもって行います。

物件に関するお問い合せ先

お問い合せ先
東京 国税局
お問い合せの際には、開札日(令和8年1月20日)と売却区分番号(3919-1)をお申出の上ご照会ください。
担当部署名
特別整理総括第二課
郵便番号
104-8449
所在地
中央区築地5丁目3番1号
電話番号
03-3542-2111
内線
3305、3306、3307
電話受付時間
平日午前9時から午後5時まで
出典:国税庁ホームページ - (3919-1 千葉県茂原市) 土地詳細 | 公売情報

最寄り駅・周辺地図

JR外房線新茂原駅 42分 (約3.4km)
JR外房線茂原駅 52分 (約4.1km)
JR外房線本納駅 54分 (約4.3km)

千葉県茂原市 土地の販売価格

取引平均-

近隣の土地落札価格

入札数{{ point.bids }}入札数1{{ point.base }}{{ point.sold }}{{ point.sqm.toLocaleString() }}m²築{{ point.age }}年
周辺には土地の落札履歴がありません。地図をドラッグして範囲や縮尺を変えてお試しください