1,381 物件出品中!

千葉県佐倉市臼井田 京成臼井駅10分の公売物件
¥ 8,000,000円 土地 469m²

千葉県佐倉市臼井田 京成臼井駅10分の国税庁公売物件

8,100,000円
で売却されました
2026年1月21日(水)

売却結果

実施局署
東京国税局
公売公告番号
44号
公告日
令和7年12月9日
入札期間
令和8年1月6日 から 令和8年1月15日
公売の方法
期間入札
開札期日
令和8年1月20日午前10時00分
売却決定の日時
令和8年2月4日午前10時00分
次順位買受申込者に対する売却決定の日は、国税徴収法第113条第2項に定める日となります。
売却決定の場所
東京国税局
売却区分番号
446-33
入札者等の区分
最高価申込者
入札(売却)価額
8,100,000円

期間入札 (初出品)

実施局署
東京 国税局
見積価額
8,000,000円
公売の方法
期間入札
公売公告番号
44号
公売保証金
800,000円
売却区分番号
446-33
公売保証金の提供方法
現金等
入札期間
令和8年1月6日午前9時00分 から 令和8年1月15日午後5時00分
入札の場所
東京国税局
必要書類の提出期限 (電子入札の場合)
令和8年1月13日午後5時00分
公売保証金の納付期限
令和8年1月13日午後5時00分
開札期日
令和8年1月20日午前10時00分
開札の場所
東京国税局
買受代金納付期限
令和8年2月4日午後3時00分
売却決定の日時
令和8年2月4日午前10時00分
売却決定の場所
東京国税局
追加入札期間
令和8年1月27日午前9時00分 から 令和8年2月3日午後5時00分
追加入札開札期日
令和8年2月6日午前10時00分
開札の場所
東京国税局
買受代金納付期限
令和8年2月24日午後3時00分
売却決定の日時
令和8年2月24日午前10時00分
売却決定の場所
東京国税局
住居表示等
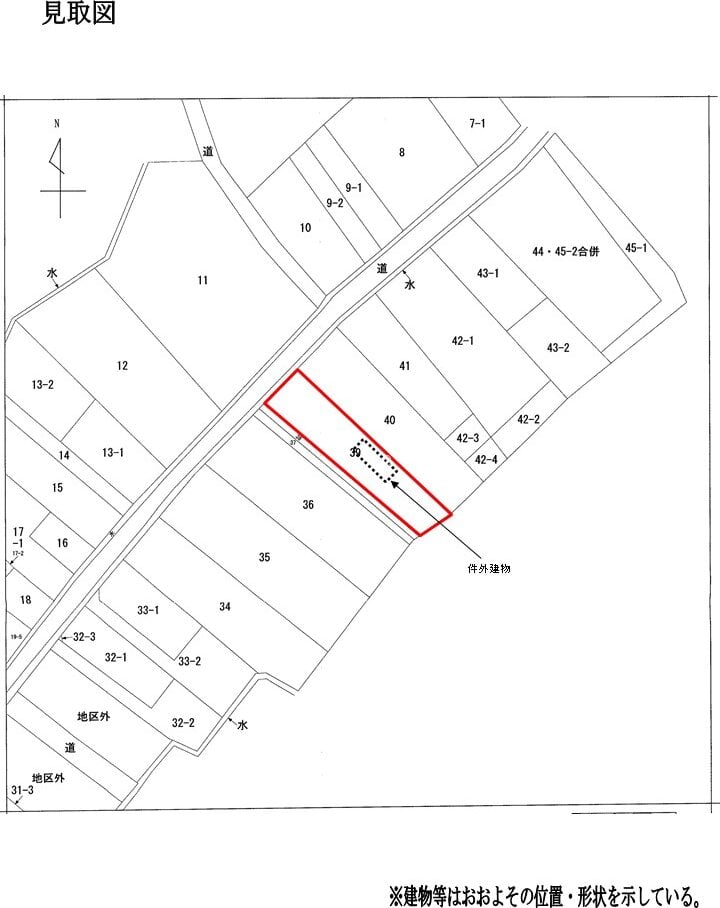
千葉県佐倉市臼井田39番
交通機関
京成電鉄 本線 京成臼井駅 徒歩 14分
面積 (地積) 合計
469.42m² (142.0坪)
主たる地目
宅地

詳細情報 (個別)

財産番号
1
種別
土地
所在地 (登記簿表示内容)
千葉県佐倉市臼井田字村内39番
地目 (登記簿表示内容)
宅地
面積 (登記簿表示内容)
469.42m² (142.0坪)
地盤・地勢
ほぼ平坦地
接道状況
北西側 幅員約5.5メートル舗装市道 ほぼ等高接面
使用状況
所有者及び登記の有無が不明の建物の敷地及び資材置場として使用
貸借関係等の内容は不明
雑草繁茂
留意事項
公売は現況有姿により行うものであるため、次の一般的事項を十分ご理解の上、公売へご参加ください。
1. 公売財産については、あらかじめその現況及び関係公簿等を確認してください。
2. 公売財産に財産の種類又は品質に関する不適合があっても、執行機関 (国) は、担保責任を負いません。
3. 執行機関 (国) は、公売財産の引渡義務を負わないため、使用者又は占有者に対して明渡しを求める場合や不動産内にある動産の処理などはすべて買受人の責任において行うことになります。
4. 土地の境界については隣接地所有者と、接面道路 (私道) の利用については道路所有者とそれぞれ協議してください。
5. 土壌汚染やアスベストなどに関する専門的な調査は行っておりません。

なお、売却区分番号内に複数の財産 (財産が一つで所有者を異にする場合を含む。) があるものについては、国税徴収法第89条第3項の規定に基づき、一括換価の方法により公売を行います。

詳細情報 (共通)

公法上の規制
第1種住居地域
第1種高度地区
日影規制 (4時間-2.5時間)
宅地造成等工事規制区域
立地適正化計画 (都市機能誘導区域外)
特記事項
対象物件上の件外建物は、表題登記のある件外建物 (家屋番号42番 附属建物符号2) の可能性がある。
公売により、対象物件につき、対象物件上の件外建物のために法定地上権が成立する可能性がある。
動産あり
放置車両あり
「ほこら」あり
その他事項
公売財産の売却決定は、最高価申込者に係る入札価額をもって行います。
換価制限のお知らせ
この物件については、不服申立中であることから、国税通則法第105条第1項ただし書の規定により、売却決定の日時である令和8年2月4日(水) 午前10時までに換価制限が解除されない場合は、同日時の売却決定は行いませんので、ご注意ください。

公売財産に関するお問い合せ先

お問い合せ先
東京 国税局
お問い合せの際には、開札日(令和8年1月20日)と売却区分番号(446-33)をお申出の上ご照会ください。
担当部署名
特別整理総括第二課
郵便番号
104-8449
所在地
中央区築地5丁目3番1号
電話番号
03-3542-2111
内線
3305、3306、3307
電話受付時間
平日午前9時から午後5時まで
出典:国税庁ホームページ - (446-33 千葉県佐倉市) 土地詳細 | 公売情報

最寄り駅・周辺地図

千葉県佐倉市 土地の販売価格

取引平均-

近隣の土地落札価格

入札数{{ point.bids }}入札数1{{ point.base }}{{ point.sold }}{{ point.sqm.toLocaleString() }}m²築{{ point.age }}年
周辺には土地の落札履歴がありません。地図をドラッグして範囲や縮尺を変えてお試しください