2,192 物件出品中!

岐阜県岐阜市柳津町上佐波 柳津駅18分の公売物件
¥ 250,000円 農地 194m²

岐阜県岐阜市柳津町上佐波 柳津駅18分の国税庁公売物件

不売になりました
2026年3月25日(水)

売却結果

実施局署
名古屋国税局
公売公告番号
21号
公告日
令和7年12月19日
入札期間
令和8年3月4日 から 令和8年3月18日
公売の方法
期間入札
開札期日
令和8年3月24日午前10時00分
売却決定の日時
令和8年4月14日午前11時00分
次順位買受申込者に対する売却決定の日は、国税徴収法第113条第2項に定める日となります。
売却決定の場所
名古屋国税局
売却区分番号
726-3
入札者等の区分
入札なし

期間入札 () 11万円 値下げ

実施局署
名古屋 国税局
見積価額
250,000円
公売の方法
期間入札
公売公告番号
21号
公売保証金
30,000円
売却区分番号
726-3
公売保証金の提供方法
現金等
入札期間
令和8年3月4日午前9時00分 から 令和8年3月18日午後5時00分
入札の場所
名古屋国税局
必要書類の提出期限 (電子入札の場合)
令和8年3月13日午後5時00分
公売保証金の納付期限
令和8年3月13日午後5時00分
開札期日
令和8年3月24日午前10時00分
開札の場所
名古屋国税局
買受代金納付期限
令和8年4月14日午後2時00分
売却決定の日時
令和8年4月14日午前11時00分
売却決定の場所
名古屋国税局
住居表示等
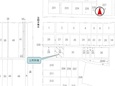
岐阜県岐阜市柳津町上佐波四丁目30番
交通機関
名古屋鉄道 竹鼻線 柳津駅 徒歩約30分
面積 (地積) 合計
194m² (58.7坪)
主たる地目

詳細情報 (個別)

財産番号
1
種別
土地
所在地 (登記簿表示内容)
岐阜県岐阜市柳津町上佐波四丁目30番
地目 (登記簿表示内容)
面積 (登記簿表示内容)
194m² (58.7坪)
地盤・地勢
ほぼ平坦地だが北側一部は、約1メートル高くなっている。
接道状況
北側 幅員約2.3メートル舗装市道 約0.2メートル低位接面
南側 幅員約3.1メートル舗装市道 水路を挟んで約0.3メートル低位接面
使用状況
雑木雑草繁茂 (令和6年11月7日現在)
ご注意していただく事項
公売は現況有姿により行うものであるため、次の一般的事項を十分ご理解の上、ご入札ください。
・公売財産については、あらかじめその現況 (権利関係等) 及び関係公簿等を確認してください。なお、国は関係資料を提供できません。
・図面は、現況と異なる場合があります。
・建蔽率及び容積率は一般的なものを表示してあります。
・公売財産の種類又は品質に関する不適合があっても、国は担保責任等を負いません。
・国は、公売財産の引渡義務を負わないため、使用者又は占有者に対して明渡しを求める場合や不動産内にある動産の取扱いなどは全て買受人の責任において行うことになります。
・土地の境界については隣接地所有者と、接面道路 (私道) の利用については道路所有者とそれぞれ協議してください。
・土壌汚染やアスベストなどに関する専門的な調査は行っておりません。
・公売手続を中止することがありますので、事前に公売中止の有無をお問い合わせください。
・法令等の規定により換価制限 (入札後の手続が停止) となる場合があります。
・公売財産に係る国税の完納の事実が買受人の買受代金の納付前に証明されたときは、その売却決定を取り消します。
・権利移転に伴う費用 (移転登記に係る登録免許税、登記嘱託書の郵送料等) は買受人の負担となります。
陳述書等の提出について
・入札をしようとする者 (その者が法人である場合には、その役員、以下「入札者等」という。) は、暴力団員等でない旨の陳述書を提出する必要があります。陳述書の提出がない場合又は不備があるときには、入札は無効となります。
暴力団員等とは、暴力団員 (暴力団員による不当な行為の防止等に関する法律 (平成3年法律第77号) 第2条第6号に規定する暴力団員をいう。以下同じ。) 又は暴力団員でなくなった日から5年を経過しない者をいいます。
なお、入札者等又は自己の計算において入札をさせようとする者が法人である場合には、法人の役員を証する書面 (商業登記簿に係る登記事項証明書等) を提出する必要があります。
また、入札者等又は自己の計算において入札をさせようとする者が宅地建物取引業又は債権管理回収業の事業者である場合には、その許認可等を受けていることを証明する文書 (宅地建物取引業の免許証等) の写しを併せて提出する必要があります。
・売却決定の日までに、買受人が暴力団員等に該当しないことの調査の結果が明らかにならない場合は、売却決定の日時及び買受代金の納付の期限が変更されます。
なお、買受人又は自己の計算において公売不動産の入札をさせた者が暴力団員等に該当すると認められる場合は、売却決定を取り消します。

詳細情報 (共通)

公法上の規制
市街化調整区域
農業振興地域外
特記事項
・買受人の資格その他の要件
農地につき、買受希望者は、入札期間中に入札書と併せて「買受適格証明書」の提出又は呈示を要する。
・権利移転及び危険負担の移転の時期は、農業委員会又は都道府県知事の許可若しくは届出の受理があった時である。
その他事項
公売財産の売却決定は、最高価申込者に係る入札価額をもって行います。

物件に関するお問い合せ先

お問い合せ先
名古屋 国税局
お問い合せの際には、開札日(令和8年3月24日)と売却区分番号(726-3)をお申出の上ご照会ください。
担当部署名
特別整理第一部門
郵便番号
460-8520
所在地
名古屋市中区三の丸3丁目2番4号名古屋第二国税総合庁舎
電話番号
052-951-3511
内線
6613
電話受付時間
平日午前9時から午後5時まで

過去の出品

1回目
52万円 (2025.05.21不売)
2回目
36万円 (2025.11.05不売)
出典:国税庁ホームページ - (726-3 岐阜県岐阜市) 土地詳細 | 公売情報

最寄り駅・周辺地図

名鉄竹鼻線柳津駅 18分 (約1.4km)
名鉄竹鼻線南宿駅 30分 (約2.3km)
名鉄竹鼻線須賀駅 40分 (約3.2km)

岐阜県岐阜市 農地の販売価格

取引平均-

近隣の農地落札価格

入札数{{ point.bids }}入札数1{{ point.base }}{{ point.sold }}{{ point.sqm.toLocaleString() }}m²築{{ point.age }}年
周辺には農地の落札履歴がありません。地図をドラッグして範囲や縮尺を変えてお試しください