2,009 物件出品中!

神奈川県足柄下郡湯河原町宮上 湯河原駅27分の公売物件
¥ 1,700,000円 土地 175m²

神奈川県足柄下郡湯河原町宮上 湯河原駅27分の国税庁公売物件

不売になりました
2026年2月18日(水)再出品情報があります

売却結果

実施局署
東京国税局
公売公告番号
54号
公告日
令和8年1月8日
入札期間
令和8年2月2日 から 令和8年2月12日
公売の方法
期間入札
開札期日
令和8年2月17日午前10時00分
売却決定の日時
令和8年3月4日午前10時00分
次順位買受申込者に対する売却決定の日は、国税徴収法第113条第2項に定める日となります。
売却決定の場所
東京国税局
売却区分番号
3742-1
入札者等の区分
入札なし

期間入札 () 80万円 値下げ

実施局署
東京 国税局
見積価額
1,700,000円
公売の方法
期間入札
公売公告番号
54号
公売保証金
200,000円
売却区分番号
3742-1
公売保証金の提供方法
現金等
入札期間
令和8年2月2日午前9時00分 から 令和8年2月12日午後5時00分
入札の場所
東京国税局
必要書類の提出期限 (電子入札の場合)
令和8年2月9日午後5時00分
公売保証金の納付期限
令和8年2月9日午後5時00分
開札期日
令和8年2月17日午前10時00分
開札の場所
東京国税局
買受代金納付期限
令和8年3月4日午後3時00分
売却決定の日時
令和8年3月4日午前10時00分
売却決定の場所
東京国税局
追加入札期間
令和8年2月25日午前9時00分 から 令和8年3月4日午後5時00分
追加入札開札期日
令和8年3月9日午前10時00分
開札の場所
東京国税局
買受代金納付期限
令和8年3月24日午後3時00分
売却決定の日時
令和8年3月24日午前10時00分
売却決定の場所
東京国税局
住居表示等
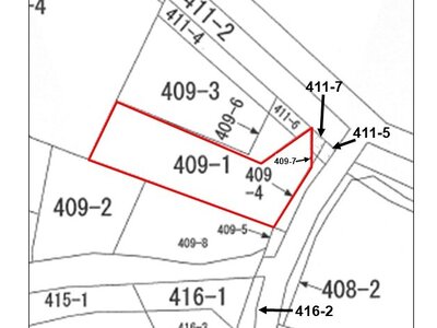
神奈川県足柄下郡湯河原町宮上409番地付近
交通機関
JR (東日本) 東海道本線 湯河原駅 西方約2.1キロメートル
面積 (地積) 合計
175.26m² (53.0坪)
主たる地目
宅地

詳細情報 (個別)

財産番号
1
種別
土地
所在地 (登記簿表示内容)
神奈川県足柄下郡湯河原町宮上字道中409番1
地目 (登記簿表示内容)
宅地
面積 (登記簿表示内容)
175.26m² (53.0坪)
地盤・地勢
北東部分 南西向き傾斜地
その他の部分 ほぼ平坦地
接道状況
南東側 幅員約4.0メートル舗装町道 ほぼ等高〜約1.3メートル高位接面
使用状況
北東部分 アスファルト敷き
その他の部分 雑草繁茂
留意事項
公売は現況有姿により行うものであるため、次の一般的事項を十分ご理解の上、公売へご参加ください。
1. 公売財産については、あらかじめその現況及び関係公簿等を確認してください。
2. 公売財産に財産の種類又は品質に関する不適合があっても、執行機関 (国) は、担保責任を負いません。
3. 執行機関 (国) は、公売財産の引渡義務を負わないため、使用者又は占有者に対して明渡しを求める場合や不動産内にある
動産の処理などはすべて買受人の責任において行うことになります。
4. 土地の境界については隣接地所有者と、接面道路 (私道) の利用については道路所有者とそれぞれ協議してください。
5. 土壌汚染やアスベストなどに関する専門的な調査は行っておりません。

なお、売却区分番号内に複数の財産 (財産が一つで所有者を異にする場合を含む。) があるものについては、国税徴収法第89条第3項の規定に基づき、一括換価の方法により公売を行います。

詳細情報 (共通)

公法上の規制
商業地域
準防火地域
宅地造成等工事規制区域
景観計画区域 (市街地)
特記事項
土砂災害警戒区域
その他事項
公売財産の売却決定は、最高価申込者に係る入札価額をもって行います。

公売財産に関するお問い合せ先

お問い合せ先
東京 国税局
お問い合せの際には、開札日(令和8年2月17日)と売却区分番号(3742-1)をお申出の上ご照会ください。
担当部署名
特別整理総括第二課
郵便番号
104-8449
所在地
中央区築地5丁目3番1号
電話番号
03-3542-2111
内線
3305、3306、3307
電話受付時間
平日午前9時から午後5時まで

過去の出品

1回目
360万円 (2025.05.21不売)
2回目
250万円 (2025.10.08不売)
出典:国税庁ホームページ - (3742-1 神奈川県足柄下郡湯河原町) 土地詳細 | 公売情報

最寄り駅・周辺地図

神奈川県足柄下郡湯河原町 土地の販売価格

取引平均-

近隣の土地落札価格

入札数{{ point.bids }}入札数1{{ point.base }}{{ point.sold }}{{ point.sqm.toLocaleString() }}m²築{{ point.age }}年
周辺には土地の落札履歴がありません。地図をドラッグして範囲や縮尺を変えてお試しください