1,838 物件入札可能!

岩手県釜石市甲子町第 松倉駅14分の公売物件
¥ 263,000円 土地 66m²

岩手県釜石市甲子町第 松倉駅14分の官公庁公売物件

不売になりました
2026年2月9日(月)

インターネット公売 (初出品)

価額情報

落札価額 (最高入札価額)
-円
入札件数
0
次順位買受申込価額
-円
次順位買受申込者
該当なし
見積価額
263,000円
公売保証金
27,000円

スケジュール

参加申し込み受付期間
2026年1月8日13時0分 〜 2026年1月26日23時0分
入札期間
2026年2月2日13時0分 〜 2026年2月9日13時0分
買受代金納付期限
2026年3月2日14時30分

代金納付方法

公売保証金納付方法
クレジットカードまたは銀行振込など
買受代金納付方法
銀行振込 現金書留
オークション種別
インターネット公売
実施方法
入札形式
執行機関名称
岩手県沿岸広域振興局経営企画部県税室
売却区分番号
沿本07-1
支払い方法
銀行振込 現金書留

物件情報

物件の種類
その他土地
物件の所在
岩手県

不動産の基本情報

登記簿の表示
不動産番号 4004005124778
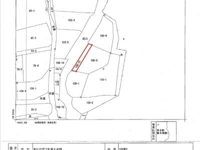
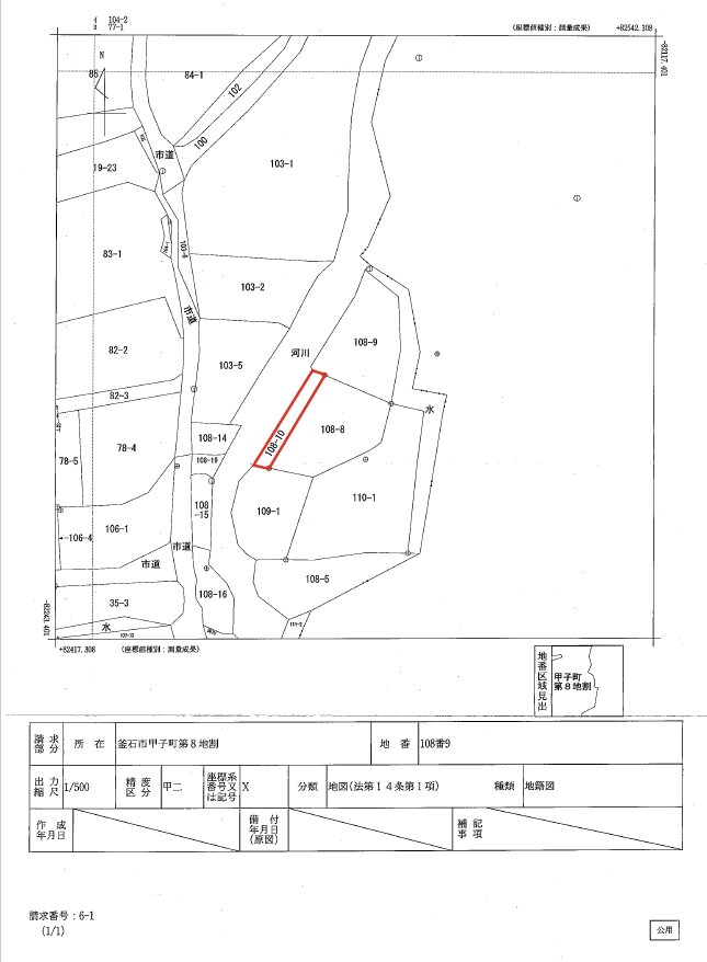
所在 岩手県釜石市甲子町第8地割
地番 108番10
地目 雑種地
地積 66m²
所在地
岩手県釜石市甲子町第8地割108番地10
交通、最寄り駅など
・JR釜石駅「松倉」駅から約1.5km
・岩手県交通「大畑」バス停から約290m
現況
河川が隣接している土地です。
公売財産上に建物等は存在しません。
説明
公売財産の下見会は実施しません。
ご注意いただく事項
入札に当たっては、次の事項に留意してください。
1. 物件の引渡し等について
(1) 公売財産については、あらかじめその現況及び関係公簿等を確認してください。
(2) 表示している面積は公簿表示です。
(3) 掲載している図面及び写真が現況と異なる場合は現況を優先します。
(4) 公売財産に財産の種類又は品質の不適合があっても岩手県は担保責任を負いません。
また、いかなる理由があっても引渡した公売財産の返品及び苦情等は受け付けません。
(5) 岩手県は公売財産の引渡し義務を負わないため、使用者又は占有者に対して明渡しを求める場合や公売財
産内にある動産類、ゴミ等の処理などは買受人の責任で行うことになります。
(6) 土地の境界等については隣接地所有者と、接面道路 (私道を含む) の利用については道路所有者とそれぞれ
協議してください。
(7) 土壌汚染やアスベストなどに関する専門的な調査は行っておりません。
2. 権利移転手続等について
(1) 買受人は売却決定後、買受代金を納付した時に公売財産を取得します。
ただし、法令等の規定により許可又は登録を要する公売財産については、それぞれの要件 (関係機関の許
可又は登録) を満たさなければ権利移転の効力は生じません。
(2) 買受代金納付後に生じた公売財産のき損、盗難、焼失などによる損害の負担は買受人が負うことになります。
(3) 公売財産の権利移転に伴う費用 (移転登記に係る登録免許税、登記嘱託書の郵送料等) は、買受人の負担と
なります。
3. その他
公売を中止することがありますので、あらかじめご了承ください。

土地の情報

土地面積
66m² (20.0坪)
土地権利
所有権
土地持分
1/1
地目
雑種地
都市計画地域
第一種低層住宅専用地域
日影規制
不明
その他法令などの規制
土砂災害特別警戒区域内です。
宅地造成工事規制区域内です。
・規制の詳細については管轄行政庁等に確認願います。
地勢など
ほぼ平坦
幅員、接道状況
釜石市の市道と接していません。境界等の確認は行っておりません。
私道の負担など
不明
供給処理施設
不明
その他土地に関する物件情報
釜石市ハザードマップにおける土砂災害特別警戒区域に該当しています。洪水浸水想定区域には該当していません。

物件に関するお問い合わせ先

出品行政機関
岩手県沿岸広域振興局
担当部署
経営企画部県税室 納税チーム
メールアドレス
BI0007@pref.iwate.jp
電話
0193-25-2703
(内線 204)
受付時間
午前9時〜午後4時
備考
-
出典:官公庁オークション - 【雑種地】岩手県釜石市の雑種地:岩手県のインターネット公売物件詳細

最寄り駅・周辺地図

JR釜石線松倉駅 14分 (約1.1km)
JR釜石線洞泉駅 32分 (約2.5km)
JR釜石線小佐野駅 53分 (約4.2km)

岩手県釜石市 土地の販売価格

取引平均-

近隣の土地落札価格

入札数{{ point.bids }}入札数?{{ point.base }}{{ point.sold }}{{ point.sqm.toLocaleString() }}m²築{{ point.age }}年
周辺には土地の落札履歴がありません。地図をドラッグして範囲や縮尺を変えてお試しください