1,838 物件入札可能!

福島県いわき市泉町本谷 泉駅25分の公売物件
¥ 1,107,000円 土地 1,456m²

福島県いわき市泉町本谷 泉駅25分の官公庁公売物件

1,108,001円
で売却されました
2026年2月9日(月)

インターネット公売 (初出品)

価額情報

落札価額 (最高入札価額)
1,108,001円
落札者 (最高価買受申込者)
bakOLT502426
入札件数
1
次順位買受申込価額
-円
次順位買受申込者
該当なし
見積価額
1,107,000円
公売保証金
111,000円

スケジュール

参加申し込み受付期間
2026年1月8日13時0分 〜 2026年1月26日23時0分
入札期間
2026年2月2日13時0分 〜 2026年2月9日13時0分
買受代金納付期限
2026年3月2日14時0分

代金納付方法

公売保証金納付方法
クレジットカード
買受代金納付方法
銀行振込 小切手 直接持参
オークション種別
インターネット公売
実施方法
入札形式
執行機関名称
日本年金機構本部 特別法人対策部
売却区分番号
1
支払い方法
銀行振込 小切手 直接持参

物件情報

物件の種類
その他土地
物件の所在
福島県

不動産の基本情報

登記簿の表示
土地1
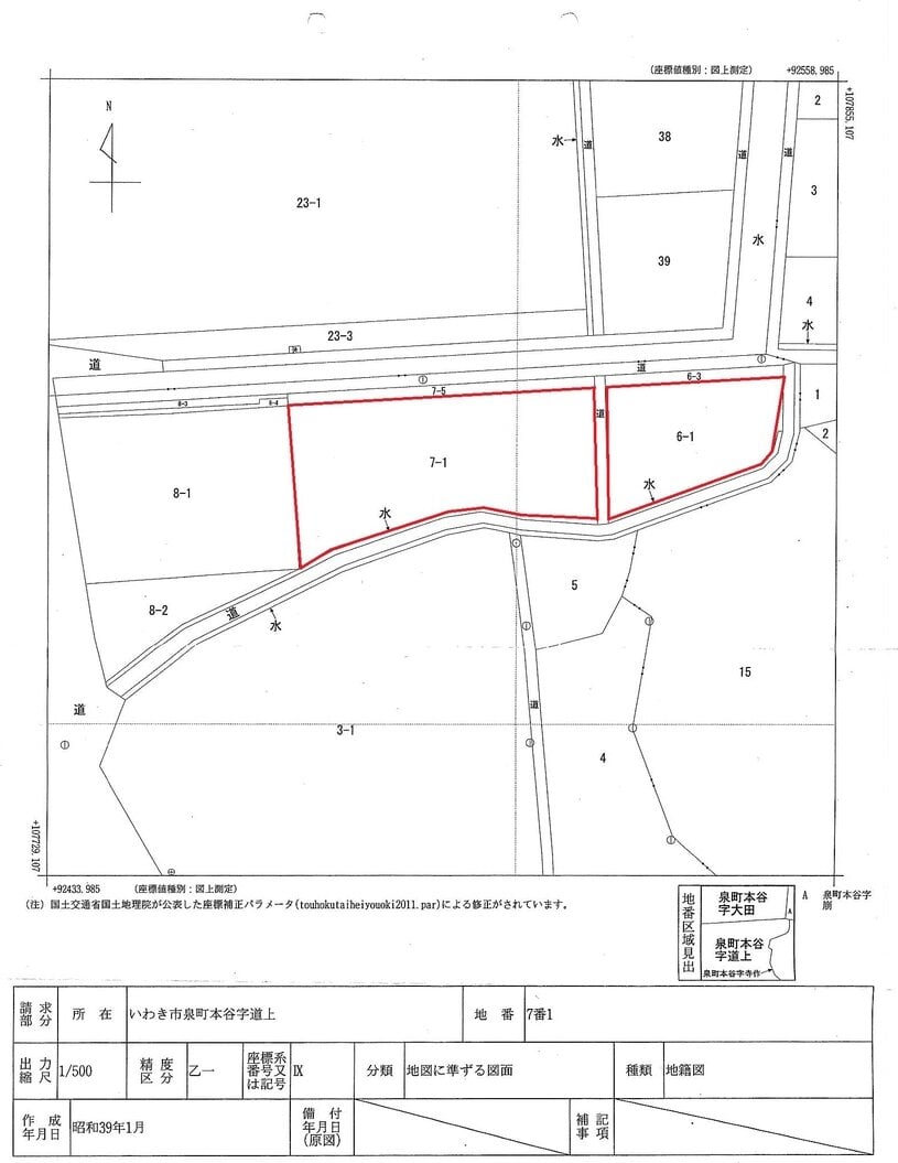
所在 いわき市泉町本谷字道上
地番 6番1
地目 田 (登記上)
地積 460m²

土地2
所在 いわき市泉町本谷字道上
地番 7番1
地目 田 (登記上)
地積 996m²
所在地
福島県いわき市泉町本谷道上8付近
交通、最寄り駅など
JR常磐線 泉駅より約2.8km (道路距離)
コインランドリーアクア泉本谷店 (いわき市泉町本谷道上8) の近隣 (東側) に所在
現況
・概ね更地となっております。
・土地1と土地2の間に赤道が通っています。
・敷地の北側に未舗装の赤道がありますが、間に水路があることから、赤道と直接接続しているのは土地1の東端のみとなっています。
・当該物件はいずれも登記上の地目は「田」となっていますが、農地法第5条に基づく農地外転用許可手続済みです (令和7年12月 いわき市農業委員会に確認済み)
したがって、入札・買受に際し買受適格証明書等の提出は不要です。
説明
※参加申込前に必ず、日本年金機構インターネット公売ガイドラインをよくお読みください。
日本年金機構のホームページ https://www.nenkin.go.jp トップ画面内「各種情報」コーナー内、リンク「公売情
報」→日本年金機構インターネット公売ガイドラインコーナーにてPDFファイルをダウンロード可能です。
〈特記事項〉
・地目、地積、床面積等は登記簿の情報によります。
・現状有姿により公売を行います。
・売却決定は、最高価申込者に係る入札価額をもって行います。
・公売財産は、買受人が買受代金を納付した時点の現状有姿で権利移転します。
・あらかじめその現状 (権利関係等) および関係公簿等をご自身で確認の上、参加申込を行ってください。
・日本年金機構においては、買受人の請求に基づいて、不動産登記簿上の権利移転手続を行います。権利移転に伴う費用 (登録免許税等) は買受人の負担となります。
・不動産取得税および固定資産税等が別途課税されます。
・日本年金機構では公売財産の引渡し義務を負わないため、占有者、使用者等との賃貸借に係る対応や明け渡しを求める場合、公売財産内の残置物や工作物等の撤去等の処理については、すべて買受人の責任において行ってください。
・日本年金機構は、公売財産の種類または品質に関する不適合についての瑕疵担保責任を負いません。公売財産の所有権移転後の問題解決はすべて買受人の自己責任で行ってください。
参加申込に係る提出書類 ※必ずご確認ください。
(すべての参加申込者)
既定の陳述書を提出してください。陳述書は、日本年金機構ホームページ https://www.nenkin.go.jp からダウンロード可能です。 ホームページトップ画面内「各種情報」コーナー内、リンク「公売情報」→「様式」コーナー
※陳述書には個人用、法人用にそれぞれの様式がございます。
※法人として参加申込を行う場合、法人に係る陳述書に加え、別紙 法人の役員に関する事項 も提出してください。
(法人が参加申込する場合)
登記事項証明書 (商業登記簿謄本) を提出してください。(写しでも可)
(特定の事業者が参加申込する場合)
以下の書類の写しを提出してください。
・宅地建物取引業法第3条第1項の免許を受けて事業を行う者:都道府県又は国土交通省 (各整備局) が発行する免許
証等
・債権管理回収業に関する特別措置法第3条の許可を受けて事業を行う者:法務省が発行する許可証等
〈提出先〉
〒168-8505 東京都杉並区高井戸西3丁目5番24号
宛名:日本年金機構 特別法人対策部 特別徴収対策第1G 古澤 宛
〈提出期限〉
令和8年1月29日(木) 17時 (必着)

土地の情報

土地面積
1,456m² (440.4坪)
土地権利
所有権
土地持分
1/1
地目
田 (登記上)
都市計画地域
市街化区域
建ぺい率 (%)
60
容積率 (%)
200
日影規制
あり
地勢など
ほぼ平坦

物件に関するお問い合わせ先

出品行政機関
日本年金機構 特別法人対策部
担当部署
特別徴収対策第1G
電話
03-6897-8681
受付時間
平日9:00〜17:45
備考
-

補足事項

共通説明文
この度は、多くの物件から日本年金機構が出品する物件をご覧いただき、ありがとうございます。
公売の性質上、国税徴収法等に基づく制約がありますので日本年金機構ホームページの公売情報ページより日本年金機構インターネット公売ガイドラインを予めご確認いただきますよう、お願いします。
〈参加制限〉
次のいずれかに該当する方は、インターネット公売に参加することができません。
また、1から4に該当する方は、代理人を通じて参加することもできませんのであらかじめご留意ください。
1. 国税徴収法第92条《買受人の制限》の規定に該当する方
2. 国税徴収法第108条第1項《公売実施の適正化のための処置》の規定に該当する方
3. 日本年金機構インターネット公売ガイドラインおよび紀尾井町戦略研究所株式会社のKSI官公庁オークションに関連する規約・ガイドラインの内容を承諾せず、順守できない方
4. 公売財産が農地など買受人に一定の資格や要件を必要とする場合で、その資格などを有していない方
5. 制限行為能力者 (18歳未満の方など。ただし民法第753条該当者を除きます。)
ただし、その親権者などが代理人として参加する場合を除きます。
6. 公売の手続きに関する日本語を理解することができない方
ただし、その親権者などが代理人として参加する場合を除きます。
7. 住所または所在地、連絡先がいずれも日本国内にない方
ただし、その代理人の住所また所在地、連絡先が日本国内にある場合を除きます。
〈主な留意事項〉
買受申込には公売参加申込手続きが必須です。
買受代金は期限までに全額を一括納付しなければなりません。
公売財産の瑕疵について、執行機関はその責任を負いません。
買受代金の納付までに公売が中止された場合、公売財産を落札しても購入できない場合があります。
公売財産の引渡しには制限 (買受人と受取人の相違不可等) や必要書類の提出があります。
公売財産の引渡しに係る費用 (送料等) は、落札者自身が負担する必要があります。
〈参加申込必要書類の提出〉
参加申込必要書類の提出期限:令和8年1月29日(木曜) 午後5時 (必着)
参加申込必要書類提出先:上記、詳細情報または基本情報よりご確認ください。
主な参加申込必要書類の例
代理人等による参加申込の場合・・・「委任状」
法人名 (法人代表者) による参加申込の場合・・・「登記事項証明書等」
必要書類の提出がない場合は、インターネット公売には参加できませんのでご注意ください。必要書類の詳細は、日本年金機構ホームページの公売情報ページより日本年金機構インターネット公売ガイドラインをご確認ください。なお、「委任状」等の様式については、公売情報ページのリンク先よりダウンロード可能です。
ご不明な点がございましたら下記の「物件に関するお問い合わせ先」までご連絡ください。
出典:官公庁オークション - いわき市泉町本谷字道上 土地(田)※農地外転用許可済:日本年金機構のインターネット公売物件詳細

最寄り駅・周辺地図

JR常磐線泉駅 25分 (約2.0km)
JR常磐線湯本駅 62分 (約4.9km)
JR常磐線内郷駅 99分 (約7.9km)

福島県いわき市 土地の販売価格

取引平均-

近隣の土地落札価格

入札数{{ point.bids }}入札数?{{ point.base }}{{ point.sold }}{{ point.sqm.toLocaleString() }}m²築{{ point.age }}年
周辺には土地の落札履歴がありません。地図をドラッグして範囲や縮尺を変えてお試しください