1,592 物件出品中!

福井県勝山市鹿谷町本郷 発坂駅17分の競売物件
¥ 17,010,000円 戸建て 1,048m²

福井県勝山市鹿谷町本郷 発坂駅17分の競売物件

不売になりました
2026年1月23日(金)

特別売却 ()

管轄裁判所
福井地方裁判所本庁
事件番号
令和07年(ケ)第49号
売却基準価額
17,010,000円
買受申出保証額
3,402,000円
買受可能価額
13,608,000円

売却結果

売却価額
-
売却結果
不売
落札者資格
-
終了日
2026年1月23日(金)

物件概要

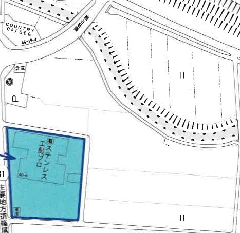
所在地
福井県勝山市鹿谷町本郷46字下中野 1番地1、21番地 勝山市鹿谷町本郷47字五反田 38番地1
評価上の交通
えちぜん鉄道勝山永平寺線「発坂」駅 南方 約1.4km (道路距離)
参考交通
えちぜん鉄道勝山永平寺線 保田駅 南東方 1.50km
延床面積
1,047.68m² (316.9坪)
土地面積 (合計)
5,709.96m² (1,727.3坪)
間取り
-
種類
工場・事務所
用途地域
都市計画区域内無指定
物件番号
  • 1〜5. 土地
  • 6〜8. 建物 (所有権)

物件詳細

物件番号
1
種別
土地
所在地
勝山市鹿谷町本郷46字下中野 1番1
地目 (登記)
宅地
地目 (現況)
-
土地面積 (登記)
3,503.40m² (1,059.8坪)
土地面積 (現況)
-
用途地域
都市計画区域内無指定
土地の利用状況
-
建ぺい率
70%
容積率
200%
持分
-
物件番号
2
種別
土地
所在地
勝山市鹿谷町本郷46字下中野 21番
地目 (登記)
宅地
地目 (現況)
-
土地面積 (登記)
305.24m² (92.3坪)
土地面積 (現況)
-
用途地域
都市計画区域内無指定
土地の利用状況
-
建ぺい率
70%
容積率
200%
持分
-
物件番号
3
種別
土地
所在地
勝山市鹿谷町本郷47字五反田 38番1
地目 (登記)
宅地
地目 (現況)
-
土地面積 (登記)
1,871.90m² (566.2坪)
土地面積 (現況)
-
用途地域
都市計画区域内無指定
土地の利用状況
-
建ぺい率
70%
容積率
200%
持分
-
物件番号
4
種別
土地
所在地
勝山市鹿谷町本郷49字落合 4番7
地目 (登記)
宅地
地目 (現況)
-
土地面積 (登記)
22.63m² (6.8坪)
土地面積 (現況)
-
用途地域
都市計画区域内無指定
土地の利用状況
-
建ぺい率
70%
容積率
200%
持分
-
物件番号
5
種別
土地
所在地
勝山市鹿谷町本郷49字落合 27番
地目 (登記)
宅地
地目 (現況)
-
土地面積 (登記)
6.79m² (2.1坪)
土地面積 (現況)
-
用途地域
都市計画区域内無指定
土地の利用状況
-
建ぺい率
70%
容積率
200%
持分
-
物件番号
6
種別
建物
所在地
勝山市鹿谷町本郷46字下中野 1番地1、21番地 勝山市鹿谷町本郷47字五反田 38番地1
家屋番号
公開終了
種類 (登記)
工場
種類 (現況)
工場・事務所
構造 (登記)
鉄骨造亜鉛メッキ鋼板葺2階建
構造 (現況)
-
床面積 (登記)
1階 899.68m² (272.2坪)
2階 148m² (44.8坪)
床面積 (現況)
-
間取り
その他
敷地利用権
所有権
占有者
債務者・所有者
築年月
昭和45年8月 (1970年・築55年)
持分
-
物件番号
7
種別
建物
所在地
勝山市鹿谷町本郷46字下中野 1番地1、21番地 勝山市鹿谷町本郷47字五反田 38番地1
家屋番号
公開終了
種類 (登記)
工場
種類 (現況)
-
構造 (登記)
鉄骨コンクリートブロック造亜鉛メッキ鋼板葺平家建
構造 (現況)
-
床面積 (登記)
762.40m² (230.6坪)
床面積 (現況)
-
間取り
その他
敷地利用権
所有権
占有者
債務者・所有者
築年月
昭和48年11月 (1973年・築52年)
持分
-
物件番号
8
種別
建物
所在地
勝山市鹿谷町本郷47字五反田 38番地1
家屋番号
公開終了
種類 (登記)
物置
種類 (現況)
-
構造 (登記)
鉄骨造亜鉛メッキ鋼板ぶき平家建
構造 (現況)
-
床面積 (登記)
48m² (14.5坪)
床面積 (現況)
-
間取り
その他
敷地利用権
所有権
占有者
債務者・所有者
築年月
平成2年 (1990年・築35年)
持分
-
注意事項
本詳細情報画面の内容については、必ず物件資料3点セット(物件明細書、現況調査報告書及び評価書等)をダウンロードの上、ご確認ください(民事執行法63条2項1号の申出がある場合等があります)。 本システムからダウンロードした「現況調査報告書」及び「評価書」に引用されている写真、資料及び図面は、本システム上は添付されていない場合があります。

売却スケジュール

特別売却閲覧開始日
2026年1月22日(木)
特別売却期間
2026年1月22日(木)〜1月23日(金)
状態
終了
スケジュール
競売スケジュール

過去の出品

1回目
1,701万円 (2026.01.21不売)
出典:裁判所BIT 不動産競売物件情報

最寄り駅・周辺地図

福井県勝山市 戸建ての販売価格

取引平均-

近隣の戸建て落札価格

入札数{{ point.bids }}入札数1{{ point.base }}{{ point.sold }}{{ point.sqm.toLocaleString() }}m²築{{ point.age }}年
周辺には戸建ての落札履歴がありません。地図をドラッグして範囲や縮尺を変えてお試しください