1,615 物件出品中!

岐阜県揖斐郡揖斐川町三輪 揖斐駅21分の公売物件
¥ 440,000円 戸建て 52m²

岐阜県揖斐郡揖斐川町三輪 揖斐駅21分の国税庁公売物件

不売になりました
2026年5月20日(水)

売却結果

実施局署
名古屋国税局
公売公告番号
27号
公告日
令和8年2月19日
入札期間
令和8年4月30日 から 令和8年5月14日
公売の方法
期間入札
開札期日
令和8年5月19日午前10時00分
売却決定の日時
令和8年6月9日午前11時00分
次順位買受申込者に対する売却決定の日は、国税徴収法第113条第2項に定める日となります。
売却決定の場所
名古屋国税局
売却区分番号
1015-3
入札者等の区分
入札なし

期間入札 () 18万円 値下げ

実施局署
名古屋 国税局
見積価額
440,000円
公売の方法
期間入札
公売公告番号
27号
公売保証金
50,000円
売却区分番号
1015-3
公売保証金の提供方法
現金等
入札期間
令和8年4月30日午前9時00分 から 令和8年5月14日午後5時00分
入札の場所
名古屋国税局
必要書類の提出期限 (電子入札の場合)
令和8年05月11日午後5時00分
公売保証金の納付期限
令和8年5月11日午後5時00分
開札期日
令和8年5月19日午前10時00分
開札の場所
名古屋国税局
買受代金納付期限
令和8年6月9日午後2時00分
売却決定の日時
令和8年6月9日午前11時00分
売却決定の場所
名古屋国税局
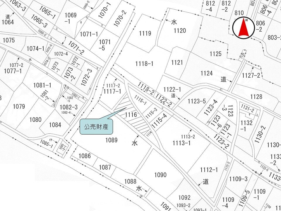
住居表示等
岐阜県揖斐郡揖斐川町三輪1116番地
交通機関
養老鉄道 徒歩約29分
面積 (地積) 合計
208.26m² (63.0坪)
主たる地目
宅地
床面積合計
52.44m² (15.9坪)

詳細情報 (個別)

財産番号
1
種類 (登記簿表示内容)
居宅
所在地 (登記簿表示内容)
岐阜県揖斐郡揖斐川町三輪字山之神下1116番地
家屋番号 (登記簿表示内容)
1116番の2
構造 (登記簿表示内容)
鉄骨造かわらぶき2階建
床面積 (登記簿表示内容)
1階 26.22m² (7.9坪)
2階 26.22m² (7.9坪)
地盤・地勢
ほぼ平坦地
接道状況
北東側 幅員約1.6メートル舗装町道 (建築基準法上の道路) ほぼ等高接面
使用状況
・建築年月日不詳
・公売財産1は、使用されていない。
(以上、令和7年4月3日現在)
ご注意していただく事項
公売は現況有姿により行うものであるため、次の一般的事項を十分ご理解の上、ご入札ください。
・公売財産については、あらかじめその現況 (権利関係等) 及び関係公簿等を確認してください。なお、国は関係資料を提供できません。
・図面は、現況と異なる場合があります。
・建蔽率及び容積率は一般的なものを表示してあります。
・公売財産の種類又は品質に関する不適合があっても、国は担保責任等を負いません。
・国は、公売財産の引渡義務を負わないため、使用者又は占有者に対して明渡しを求める場合や不動産内にある動産の取扱いなどは全て買受人の責任において行うことになります。
・土地の境界については隣接地所有者と、接面道路 (私道) の利用については道路所有者とそれぞれ協議してください。
・土壌汚染やアスベストなどに関する専門的な調査は行っておりません。
・公売手続を中止することがありますので、事前に公売中止の有無をお問い合わせください。
・法令等の規定により換価制限 (入札後の手続が停止) となる場合があります。
・公売財産に係る国税の完納の事実が買受人の買受代金の納付前に証明されたときは、その売却決定を取り消します。
・権利移転に伴う費用 (移転登記に係る登録免許税、登記嘱託書の郵送料等) は買受人の負担となります。
陳述書等の提出について
・入札をしようとする者 (その者が法人である場合には、その役員、以下「入札者等」という。) は、暴力団員等でない旨の陳述書を提出する必要があります。陳述書の提出がない場合又は不備があるときには、入札は無効となります。
暴力団員等とは、暴力団員 (暴力団員による不当な行為の防止等に関する法律 (平成3年法律第77号) 第2条第6号に規定する暴力団員をいう。以下同じ。) 又は暴力団員でなくなった日から5年を経過しない者をいいます。
なお、入札者等又は自己の計算において入札をさせようとする者が法人である場合には、法人の役員を証する書面 (商業登記簿に係る登記事項証明書等) を提出する必要があります。
また、入札者等又は自己の計算において入札をさせようとする者が宅地建物取引業又は債権管理回収業の事業者である場合には、その許認可等を受けていることを証明する文書 (宅地建物取引業の免許証等) の写しを併せて提出する必要があります。
・売却決定の日までに、買受人が暴力団員等に該当しないことの調査の結果が明らかにならない場合は、売却決定の日時及び買受代金の納付の期限が変更されます。
なお、買受人又は自己の計算において公売不動産の入札をさせた者が暴力団員等に該当すると認められる場合は、売却決定を取り消します。

詳細情報 (個別)

財産番号
2
種別
土地
所在地 (登記簿表示内容)
岐阜県揖斐郡揖斐川町三輪字山之神下1116番
地目 (登記簿表示内容)
宅地
面積 (登記簿表示内容)
208.26m² (63.0坪)

詳細情報 (共通)

公法上の規制
第一種住居地域
建蔽率60% 容積率200%
特記事項
・公売財産1の構造のうち屋根については、精通者から登記と異なる旨を聴取している。
・公売財産2上には、現存しない建物 (家屋番号1116番) の登記がある。
・公売財産1の内部には、公売財産所有者の動産類が放置されている。
・公売財産は、国税徴収法第89条第3項の規定に基づき一括換価の方法により公売を行う。
(以上、令和7年4月3日現在)
その他事項
公売財産の売却決定は、最高価申込者に係る入札価額をもって行います。

物件に関するお問い合せ先

お問い合せ先
名古屋 国税局
お問い合せの際には、開札日(令和8年5月19日)と売却区分番号(1015-3)をお申出の上ご照会ください。
担当部署名
特別整理第一部門
郵便番号
460-8520
所在地
名古屋市中区三の丸3丁目2番4号名古屋第二国税総合庁舎
電話番号
052-951-3511
内線
6613
電話受付時間
平日午前9時から午後5時まで

過去の出品

1回目
89万円 (2025.08.27不売)
2回目
62万円 (2026.02.04不売)
出典:国税庁ホームページ - (1015-3 岐阜県揖斐郡揖斐川町) 土地付建物詳細 | 公売情報

最寄り駅・周辺地図

養老鉄道揖斐駅 21分 (約1.6km)
養老鉄道美濃本郷駅 49分 (約3.9km)
養老鉄道北池野駅 57分 (約4.6km)

岐阜県揖斐郡揖斐川町 戸建ての販売価格

取引平均-

近隣の戸建て落札価格

入札数{{ point.bids }}入札数1{{ point.base }}{{ point.sold }}{{ point.sqm.toLocaleString() }}m²築{{ point.age }}年
周辺には戸建ての落札履歴がありません。地図をドラッグして範囲や縮尺を変えてお試しください