2,108 物件出品中!

高知県高知市弥生町 知寄町二丁目駅5分の公売物件
¥ 1,100,000円 土地 110m²

期間入札 (初出品)

実施局署
東京 国税局
見積価額
1,100,000円
公売の方法
期間入札
公売公告番号
78号
公売保証金
200,000円
売却区分番号
4049-2
公売保証金の提供方法
現金等
入札期間
令和8年5月1日午前9時00分 から 令和8年5月14日午後5時00分
入札の場所
東京国税局
必要書類の提出期限 (電子入札の場合)
令和8年5月12日午後5時00分
公売保証金の納付期限
令和8年5月12日午後5時00分
開札期日
令和8年5月19日午前10時00分
開札の場所
東京国税局
買受代金納付期限
令和8年6月3日午後3時00分
売却決定の日時
令和8年6月3日午前10時00分
売却決定の場所
東京国税局
追加入札期間
令和8年5月22日午前9時00分 から 令和8年5月27日午後5時00分
追加入札開札期日
令和8年5月29日午前10時00分
開札の場所
東京国税局
買受代金納付期限
令和8年6月9日午後3時00分
売却決定の日時
令和8年6月9日午前10時00分
売却決定の場所
東京国税局
住居表示等
高知県高知市弥生町15番14号
交通機関
JR (四国) 土讃線 南東方約1.7キロメートル
面積 (地積) 合計
109.61m² (33.2坪)
主たる地目
宅地

詳細情報 (個別)

財産番号
1
種別
土地
所在地 (登記簿表示内容)
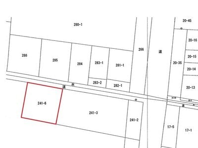
高知県高知市弥生町241番6
地目 (登記簿表示内容)
宅地
面積 (登記簿表示内容)
109.61m² (33.2坪)
地盤・地勢
ほぼ平坦地
接道状況
北側 幅員約3.3メートル舗装市道 (建築基準法上の道路) 水路を介して約0.5メートル高位接面
使用状況
他の共有者所有の件外建物 (家屋番号241番6) の敷地として使用
貸借関係等の内容は不明
持分
2分の1
留意事項
公売は現況有姿により行うものであるため、次の一般的事項を十分ご理解の上、公売へご参加ください。
1. 公売財産については、あらかじめその現況及び関係公簿等を確認してください。
2. 公売財産に財産の種類又は品質に関する不適合があっても、執行機関 (国) は、担保責任を負いません。
3. 執行機関 (国) は、公売財産の引渡義務を負わないため、使用者又は占有者に対して明渡しを求める場合や不動産内にある動産の処理などはすべて買受人の責任において行うことになります。
4. 土地の境界については隣接地所有者と、接面道路 (私道) の利用については道路所有者とそれぞれ協議してください。
5. 土壌汚染やアスベストなどに関する専門的な調査は行っておりません。

なお、売却区分番号内に複数の財産 (財産が一つで所有者を異にする場合を含む。) があるものについては、国税徴収法第89条第3項の規定に基づき、一括換価の方法により公売を行います。

詳細情報 (共通)

公法上の規制
第1種住居地域
日影規制 (5時間-3時間)
宅地造成等工事規制区域
立地適正化計画 (都市機能誘導区域外)
高知市屋外広告物条例許可地域
特記事項
対象物件の所有者及び他の共有者が共有する件外建物 (241番地3、家屋番号241番3) の「ひさし」がはみ出している。
対象物件は共有持分についての売却であるので、公売により取得したとしても完全な支配権を得たものではないため、その利用等については、他の共有者と協議して決めなければならず、対象物件を当然に使用収益できるとは限らない。
その他事項
公売財産の売却決定は、最高価申込者に係る入札価額をもって行います。

公売財産に関するお問い合せ先

お問い合せ先
東京 国税局
お問い合せの際には、開札日(令和8年5月19日)と売却区分番号(4049-2)をお申出の上ご照会ください。
担当部署名
特別整理総括第二課
郵便番号
104-8449
所在地
中央区築地5丁目3番1号
電話番号
03-3542-2111
内線
3305、3306、3307
電話受付時間
平日午前9時から午後5時まで
出典:国税庁ホームページ - (4049-2 高知県高知市) 土地詳細 | 公売情報

最寄り駅・周辺地図

高知県高知市 土地の販売価格

取引平均-

近隣の土地落札価格

入札数{{ point.bids }}入札数1{{ point.base }}{{ point.sold }}{{ point.sqm.toLocaleString() }}m²築{{ point.age }}年
周辺には土地の落札履歴がありません。地図をドラッグして範囲や縮尺を変えてお試しください