2,259 物件出品中!

東京都町田市真光寺町 黒川駅22分の公売物件
¥ 8,700,000円 戸建て 137m²

期間入札 () 370万円 値下げ

実施局署
東京 国税局
見積価額
8,700,000円
公売の方法
期間入札
公売公告番号
74号
公売保証金
900,000円
売却区分番号
3259-5
公売保証金の提供方法
現金等
入札期間
令和8年5月1日午前9時00分 から 令和8年5月14日午後5時00分
入札の場所
東京国税局
必要書類の提出期限 (電子入札の場合)
令和8年5月12日午後5時00分
公売保証金の納付期限
令和8年5月12日午後5時00分
開札期日
令和8年5月19日午前10時00分
開札の場所
東京国税局
買受代金納付期限
令和8年6月3日午後3時00分
売却決定の日時
令和8年6月3日午前10時00分
売却決定の場所
東京国税局
追加入札期間
令和8年5月22日午前9時00分 から 令和8年5月27日午後5時00分
追加入札開札期日
令和8年5月29日午前10時00分
開札の場所
東京国税局
買受代金納付期限
令和8年6月9日午後3時00分
売却決定の日時
令和8年6月9日午前10時00分
売却決定の場所
東京国税局
住居表示等
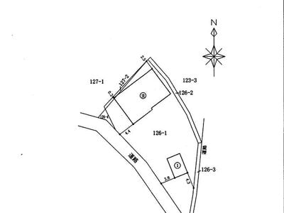
東京都町田市真光寺町126番地
交通機関
小田急電鉄 多摩線 南西方約1.7キロメートル 小田急電鉄 小田原線 鶴川駅 北西方約3.2キロメートル
面積 (地積) 合計
344.39m² (104.2坪)
主たる地目
宅地
床面積合計
136.74m² (41.4坪)
主たる種類
居宅

詳細情報 (個別)

財産番号
1
種別
土地
所在地 (登記簿表示内容)
東京都町田市真光寺町字二号126番1
地目 (登記簿表示内容)
宅地
面積 (登記簿表示内容)
314.41m² (95.1坪)
地盤・地勢
ほぼ平坦地
接道状況
南西側 幅員約3.7〜4.3メートル舗装市道 (建築基準法上の道路) ほぼ等高〜約2メートル高位接面
使用状況
対象物件1〜3
対象物件4の敷地として使用
対象物件4
昭和47年頃建築 (附属建物は建築年不詳)
所有者の申立てによると、当局の差押え前から第三者に賃貸。賃借人の死亡後は、その相続人へ賃貸。
所有者の申立てによる賃貸借契約の内容
契約期間 令和6年1月15日から令和21年1月14日まで
現行家賃 (月額) 84,000円
敷金 なし
留意事項
公売は現況有姿により行うものであるため、次の一般的事項を十分ご理解の上、公売へご参加ください。
1. 公売財産については、あらかじめその現況及び関係公簿等を確認してください。
2. 公売財産に財産の種類又は品質に関する不適合があっても、執行機関 (国) は、担保責任を負いません。
3. 執行機関 (国) は、公売財産の引渡義務を負わないため、使用者又は占有者に対して明渡しを求める場合や不動産内にある動産の処理などはすべて買受人の責任において行うことになります。
4. 土地の境界については隣接地所有者と、接面道路 (私道) の利用については道路所有者とそれぞれ協議してください。
5. 土壌汚染やアスベストなどに関する専門的な調査は行っておりません。

なお、売却区分番号内に複数の財産 (財産が一つで所有者を異にする場合を含む。) があるものについては、国税徴収法第89条第3項の規定に基づき、一括換価の方法により公売を行います。
(注)
地盤・地勢、接道状況等は財産 (1筆) 毎ではなく、全体としての状況を記しております。

詳細情報 (個別)

財産番号
2
種別
土地
所在地 (登記簿表示内容)
東京都町田市真光寺町字二号126番2
地目 (登記簿表示内容)
宅地
面積 (登記簿表示内容)
23.74m² (7.2坪)

詳細情報 (個別)

財産番号
3
種別
土地
所在地 (登記簿表示内容)
東京都町田市真光寺町字二号127番2
地目 (登記簿表示内容)
宅地
面積 (登記簿表示内容)
6.24m² (1.9坪)

詳細情報 (個別)

財産番号
4
種類 (登記簿表示内容)
居宅
所在地 (登記簿表示内容)
東京都町田市真光寺町字二号 126番地1、127番地2
家屋番号 (登記簿表示内容)
126番1
構造 (登記簿表示内容)
木造亜鉛メッキ鋼板・かわらぶき2階建
床面積 (登記簿表示内容)
1階 107m² (32.4坪)
2階 29.74m² (9.0坪)
附属建物の表示 - 符号 (登記簿表示内容)
1
附属建物の表示 - 種類 (登記簿表示内容)
物置
附属建物の表示 - 構造 (登記簿表示内容)
木造亜鉛メッキ鋼板葺平家建
附属建物の表示 - 床面積 (登記簿表示内容)
19.83m² (6.0坪)

詳細情報 (共通)

公法上の規制
市街化調整区域
宅地造成等工事規制区域
特記事項
北東側及び南東側の境界は判然としない。
対象物件1 車庫あり
対象物件4 間取り不詳
その他事項
公売財産の売却決定は、最高価申込者に係る入札価額をもって行います。

物件に関するお問い合せ先

お問い合せ先
東京 国税局
お問い合せの際には、開札日(令和8年5月19日)と売却区分番号(3259-5)をお申出の上ご照会ください。
担当部署名
特別整理総括第二課
郵便番号
104-8449
所在地
中央区築地5丁目3番1号
電話番号
03-3542-2111
内線
3305、3306、3307
電話受付時間
平日午前9時から午後5時まで

過去の出品

1回目
1,240万円 (2026.02.18不売)
出典:国税庁ホームページ - (3259-5 東京都町田市) 土地付建物詳細 | 公売情報

最寄り駅・周辺地図

東京都町田市 戸建ての販売価格

取引平均-

近隣の戸建て落札価格

入札数{{ point.bids }}入札数1{{ point.base }}{{ point.sold }}{{ point.sqm.toLocaleString() }}m²築{{ point.age }}年
周辺には戸建ての落札履歴がありません。地図をドラッグして範囲や縮尺を変えてお試しください