1,765 物件出品中!

栃木県栃木市大平町西野田 新大平下駅29分の公売物件
¥ 2,835,000円 土地 238m²

栃木県栃木市大平町西野田 新大平下駅29分の官公庁公売物件

3,120,000円
で売却されました
2026年5月18日(月)

インターネット公売 () 122万円 値下げ

価額情報

落札価額 (最高入札価額)
3,120,000円
落札者 (最高価買受申込者)
liwIZK346733
次順位買受申込価額
-円
次順位買受申込者
該当なし
見積価額
2,835,000円
公売保証金
290,000円

スケジュール

参加申し込み受付期間
2026年4月14日13時0分 〜 2026年4月27日23時0分
入札期間
2026年5月11日13時0分 〜 2026年5月18日13時0分
買受代金納付期限
2026年6月8日14時30分

代金納付方法

公売保証金納付方法
クレジットカードまたは銀行振込など
買受代金納付方法
銀行振込 直接持参
オークション種別
インターネット公売
実施方法
入札形式
執行機関名称
栃木市
売却区分番号
栃木8-1-2
支払い方法
銀行振込 直接持参

物件情報

物件の種類
山林
物件の所在
栃木県

不動産の基本情報

登記簿の表示
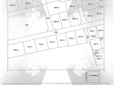
所在:栃木県栃木市大平町西野田字南台
地番:2009番28
地目:山林
地積:238m²
所在地
栃木県栃木市大平町西野田2009番地28
住居表示
栃木県
交通、最寄り駅など
東武日光線「」(道路距離 約2.9km)
小学校「栃木市立大平中央小学校」(道路距離 約1.8km)
中学校「栃木市立大平南中学校」(道路距離 約800m)
官公署「栃木市役所大平総合支所」(道路距離 約3.1km)
最寄商業施設「とりせん大平店」(道路距離 約650m)
現況
雑草が繁茂しており樹木もある。
賃貸借契約の有無は不明。
その他事項
公売財産の売却決定は、最高価申込者に係る入札価額をもって行います。入札には「暴力団員等ではないことの陳述書」が必要です。
説明
権利移転および危険負担の移転の時期は、売却決定後、買受人が買受代金を納付した時です。
公売は現況有姿により行うものであるため、次の一般的事項を十分ご理解の上、公売へご参加ください。
1. 公売財産の面積等は公簿上によるものです。あらかじめその現況及び関係公簿等を確認してください。
2. 公売財産の種類又は品質に関する不適合があっても、市は、担保責任等を負いません。
3. 市は、公売財産の引渡しの義務を負わないため、使用者又は占有者に対して明渡しを求める場合や不動産内にある動産の処理などはすべて買受人の責任において行うことになります。
4. 土地の境界については隣接地所有者と、接面道路 (私道) の利用については道路所有者とそれぞれ協議してください。
5. 土壌汚染やアスベストなどに関する専門的な調査は行っておりません。
6. 賃貸借契約の有無は不明です。
7. 落札された場合であっても、権利移転に伴う費用を代金納付日までに納付いただけない場合、公売を中止させていただくことがあります。
8. 適格請求書は発行できません。
※完納等により予告なく公売中止になることがあります。ご了承ください。
公売保証金
※クレジットカード納付の場合、振込の必要はありません。
納付期限:令和8年1月30日 午後5時00分まで
公売保証金振込先
銀行:足利銀行 栃木支店
預金種別:普通
口座番号:0110218
口座名義:栃木市会計管理者 (トチギシカイケイカンリシャ)
公売保証金の銀行振込について
銀行振込で公売保証金を納付する場合は、栃木市ホームページから
「様式1 公売保証金納付書・返還請求書兼口座振替依頼書」を印刷し、必要事項を記入・なつ印のうえ、栃木市収税課に書留郵便にて送付してください。
様式は下記URL (栃木市HP) からダウンロードして使用してください。
https://www.city.tochigi.lg.jp/soshiki/18/151.html
※不動産公売に参加される方が入札する際に必要な手続き
期限までに提出がない場合入札出来ませんのでご注意ください。
暴力団員等ではないことの陳述書 等の必要書類
提出期限:令和8年1月30日 午後5時00分まで
「暴力団員等ではないことの陳述書」等の様式は下記URL (栃木市HP) からダウンロードして使用してください。
https://www.city.tochigi.lg.jp/soshiki/18/40101.html

土地の情報

土地面積 (㎡)
238 (登記簿)
土地権利
所有権
土地持分
1/1
地目
山林
都市計画地域
市街化区域
用途地域
第一種低層住居専用地域 (住居と一部公共施設のみ建築可能)
建ぺい率 (%)
60
容積率 (%)
80
その他法令などの規制
居住誘導区域内
地勢など
路面よりやや高い、概ね平坦、ほぼ長方形。
幅員、接道状況
南側幅員約6mの舗装市道 (建築基準法第42条第1項第1号) 及び西側幅員約6mの舗装市道 (建築基準法第42条第1項第1号) に面している。
供給処理施設
上水道:引込可
公共下水道:引込可
都市ガス:なし
危険・嫌悪施設:特になし
その他土地に関する物件情報
栃木市地理情報システムの防災ハザードマップによると、土砂災害警戒区域等の指定はないが、土地の一部は洪水浸水想定区域に指定されている可能性があり、想定最大規模の降雨による想定浸水深は0.5m未満である。

栃木市教育委員会文化課へ聴取したところ、対象地は周知の埋蔵文化財包蔵地に該当する。
県遺跡番号:8441
遺跡名:新屋敷遺跡
立地:台地
種別:散布地
時代:奈良、平安

物件に関するお問い合わせ先

出品行政機関
栃木市役所
担当部署
経営管理部 収税課
メールアドレス
zeimu04@city.tochigi.lg.jp
電話
0282-21-2281
受付時間
午前8時30分〜午後5時
備考
-

追加情報

更新日:2026年4月14日15時35分
不動産基本情報内の説明に一部誤りがございましたので、ここに訂正しお詫び申し上げます。
・公売保証金納付期限
誤 令和8年1月30日 午後5時00分まで

正 令和8年5月8日 午後5時00分まで
・暴力団員等ではないことの陳述書等の提出期限
誤 令和8年1月30日 午後5時00分まで

正 令和8年5月8日 午後5時00分まで

過去の出品

1回目
405万円 (2026.02.09不売)
出典:官公庁オークション - 栃木県栃木市大平町西野田【市街化区域】:栃木市のインターネット公売物件詳細

最寄り駅・周辺地図

栃木県栃木市 土地の販売価格

取引平均-

近隣の土地落札価格

入札数{{ point.bids }}入札数1{{ point.base }}{{ point.sold }}{{ point.sqm.toLocaleString() }}m²築{{ point.age }}年
周辺には土地の落札履歴がありません。地図をドラッグして範囲や縮尺を変えてお試しください