1,765 物件出品中!

鹿児島県大島郡龍郷町幾里の公売物件
¥ 2,065,000円 土地 454m²

鹿児島県大島郡龍郷町幾里の官公庁公売物件

不売になりました
2026年5月18日(月)

インターネット公売 (初出品)

価額情報

落札価額 (最高入札価額)
-円
入札件数
0
次順位買受申込価額
-円
次順位買受申込者
該当なし
見積価額
2,065,000円
公売保証金
413,000円

スケジュール

参加申し込み受付期間
2026年4月14日13時0分 〜 2026年4月27日23時0分
入札期間
2026年5月11日13時0分 〜 2026年5月18日13時0分
買受代金納付期限
2026年6月8日14時30分

代金納付方法

公売保証金納付方法
クレジットカードまたは銀行振込など
買受代金納付方法
銀行振込 直接持参
オークション種別
インターネット公売
実施方法
入札形式
執行機関名称
龍郷町
売却区分番号
令和8年度第1-1号
支払い方法
銀行振込 直接持参

物件情報

物件の種類
その他土地
物件の所在
鹿児島県

不動産の基本情報

登記簿の表示
土地の表示
土地1
不動産番号:3405000195768
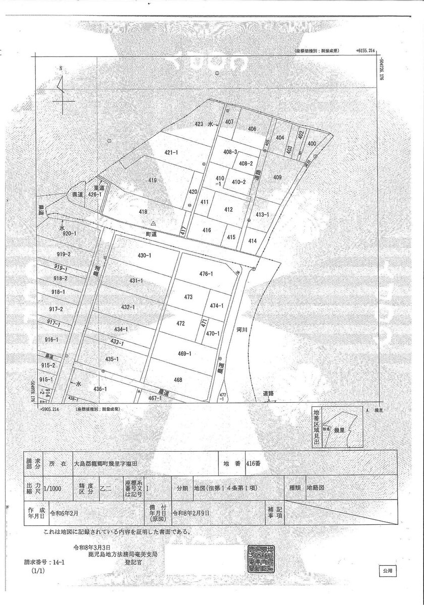
所在:大島郡龍郷町幾里字塩田
地番:416番
地目:原野
地籍:454m²
所在地
鹿児島県大島郡龍郷町幾里字塩浜416番
交通、最寄り駅など
プラッセだいわ「大熊店」約15km
龍郷町役場 約16.5km
しまバス停留所「秋名」約250m
奄美空港から車で約50分
現況
現況はサトウキビ畑として貸し出されて利用されています。
現在のところ他に目立った残置物は確認できておりませんが、残置物や動産等があった場合は今回公売の対象外となりますので、所有者の方と直接撤去等の依頼交渉をお願いします。
なお、所有者よりサトウキビ等を撤去するよう依頼していることは伝え聞いておりますが、契約関係等の詳細は不明です。
その他事項
不動産公売となりますので、入札日前までに陳述書の提出が必要となります。
説明
・龍郷町荒波エリアの土地ご案内
鹿児島県大島郡龍郷町幾里にある「原野」です。
「世界自然遺産」に登録された奄美大島の田園風景が残る荒波エリアに属しており、目の前には水田が広がる眺めの良い場所です。荒波エリアはバードウォッチングにも最適なエリアで、奄美空港から車で1時間とアクセスも良好です。
町道に沿って位置している好立地の物件となっております。
自然豊かな奄美大島の土地にご興味がある方はぜひ入札をご検討ください。

土地の情報

土地面積 (㎡)
454 (登記簿)
土地権利
所有権
地目
原野
都市計画地域
都市計画区域外
地勢など
町道 (幅員:6メートル以上) 沿いに立地しています。利用用途によっては、各種申請等の手続きが必要な場合があります。
その他土地に関する物件情報
下見会等は設定しておりませんので、内部の下見が必要な方は担当課までご連絡ください。
入口付近にコーンを設置しておりますので、敷地外からの外観の確認程度であればご連絡は不要です。

物件に関するお問い合わせ先

出品行政機関
龍郷町
担当部署
町民税務課
メールアドレス
taxg@town.tatsugo.lg.jp
電話
0997-69-4513
受付時間
平日 8:30〜17:00 (12:00〜13:00を除く)
備考
-
出典:官公庁オークション - 【土地】 鹿児島県龍郷町 幾里内の県道近傍地 「原野」1筆:龍郷町のインターネット公売物件詳細

最寄り駅・周辺地図

最寄り駅が見つかりませんでした

鹿児島県大島郡龍郷町 土地の販売価格

取引平均-

近隣の土地落札価格

入札数{{ point.bids }}入札数1{{ point.base }}{{ point.sold }}{{ point.sqm.toLocaleString() }}m²築{{ point.age }}年
周辺には土地の落札履歴がありません。地図をドラッグして範囲や縮尺を変えてお試しください