1,778 物件出品中!

東京都町田市大蔵町 鶴川駅17分の公売物件
¥ 3,300,000円 土地 103m²

期日入札 (初出品)

実施局署
東京 国税局
見積価額
3,300,000円
公売の方法
期日入札 (電子不利用)
公売公告番号
01号
公売保証金
400,000円
売却区分番号
3178-3
公売保証金の提供方法
現金等
入札期間
令和8年5月11日午後1時30分 から 令和8年5月11日午後1時35分
入札の場所
東京国税局
公売保証金の納付期限
令和8年5月7日午後5時00分
開札期日
令和8年5月11日午後1時36分
開札の場所
東京国税局
買受代金納付期限
令和8年5月26日午後3時00分
売却決定の日時
令和8年5月26日午前10時00分
売却決定の場所
東京国税局
住居表示等
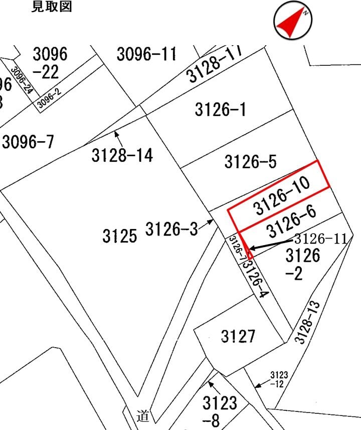
東京都町田市大蔵町3126番2
交通機関
小田急電鉄 小田原線 徒歩 18分
面積 (地積) 合計
102.77m² (31.1坪)
主たる地目
宅地

詳細情報 (個別)

財産番号
1
種別
土地
所在地 (登記簿表示内容)
東京都町田市大蔵町字関山3126番10
地目 (登記簿表示内容)
宅地
面積 (登記簿表示内容)
101.83m² (30.8坪)
地盤・地勢
ほぼ平坦地
接道状況
接面道路なし
使用状況
当局の差押え後に所有権移転登記を経た第三者が、自己所有建物 (3126番地2、3126番地6家屋番号3126番2) の敷地の一部として使用
留意事項
公売は現況有姿により行うものであるため、次の一般的事項を十分ご理解の上、公売へご参加ください。
1. 公売財産については、あらかじめその現況及び関係公簿等を確認してください。
2. 公売財産に財産の種類又は品質に関する不適合があっても、執行機関 (国) は、担保責任を負いません。
3. 執行機関 (国) は、公売財産の引渡義務を負わないため、使用者又は占有者に対して明渡しを求める場合や不動産内にある動産の処理などはすべて買受人の責任において行うことになります。
4. 土地の境界については隣接地所有者と、接面道路 (私道) の利用については道路所有者とそれぞれ協議してください。
5. 土壌汚染やアスベストなどに関する専門的な調査は行っておりません。

なお、売却区分番号内に複数の財産 (財産が一つで所有者を異にする場合を含む。) があるものについては、国税徴収法第89条第3項の規定に基づき、一括換価の方法により公売を行います。
(注)
地盤・地勢、接道状況等は財産 (1筆) 毎ではなく、全体としての状況を記しております。

詳細情報 (個別)

財産番号
2
種別
土地
所在地 (登記簿表示内容)
東京都町田市大蔵町字関山3126番11
地目 (登記簿表示内容)
宅地
面積 (登記簿表示内容)
0.94m² (0.3坪)

詳細情報 (共通)

公法上の規制
第一種低層住居専用地域
第一種高度地区
敷地面積最低限度 120m²
日影規制 (3時間-2時間)
宅地造成等工事規制区域
景観形成ゾーン (住まい共生ゾーン)
特記事項
当局差押え時の登記上の所有者は、登記の欠けつを主張する正当な利益を有しない。
ブロック造フェンスあり
その他事項
公売財産の売却決定は、最高価申込者に係る入札価額をもって行います。

物件に関するお問い合せ先

お問い合せ先
東京 国税局
お問い合せの際には、開札日(令和8年5月11日)と売却区分番号(3178-3)をお申出の上ご照会ください。
担当部署名
特別整理総括第二課
郵便番号
104-8449
所在地
中央区築地5丁目3番1号
電話番号
03-3542-2111
内線
3305、3306、3307
電話受付時間
平日午前9時から午後5時まで
出典:国税庁ホームページ - (3178-3 東京都町田市) 土地詳細 | 公売情報

最寄り駅・周辺地図

東京都町田市 土地の販売価格

取引平均-

近隣の土地落札価格

入札数{{ point.bids }}入札数1{{ point.base }}{{ point.sold }}{{ point.sqm.toLocaleString() }}m²築{{ point.age }}年
周辺には土地の落札履歴がありません。地図をドラッグして範囲や縮尺を変えてお試しください