2,053 物件入札可能!

山梨県南都留郡富士河口湖町富士ヶ嶺の公売物件
¥ 241,000円 戸建て 67m²

山梨県南都留郡富士河口湖町富士ヶ嶺の公売物件

不売になりました
2025年11月4日(火)

インターネット公売 () 10万円 値下げ

価額情報

落札価額 (最高入札価額)
-円
次順位買受申込価額
-円
次順位買受申込者
該当なし
見積価額
241,000円
公売保証金
30,000円

スケジュール

参加申し込み受付期間
2025年10月3日13時0分 〜 2025年10月21日23時0分
入札期間
2025年10月28日13時0分 〜 2025年11月4日13時0分
買受代金納付期限
2025年11月25日14時30分

代金納付方法

公売保証金納付方法
クレジットカードまたは銀行振込など
買受代金納付方法
銀行振込
オークション種別
インターネット公売
実施方法
入札形式
執行機関名称
山梨県
売却区分番号
5-1
支払い方法
銀行振込

物件情報

物件の種類
土地付建物
物件の所在
山梨県

不動産の基本情報

登記簿の表示
(土地)
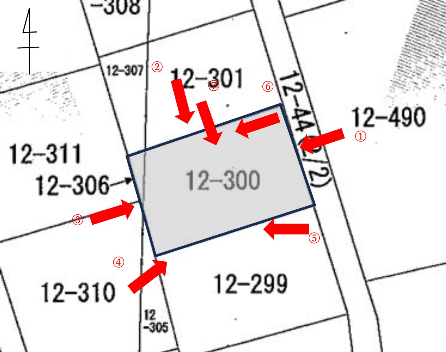
1. 所在:南都留郡富士河口湖町富士ヶ嶺
地番:12番300
地目:山林
地積:625m²

2. 所在:南都留郡富士河口湖町富士ヶ嶺
地番:12番306
地目:山林
地積:33m²

(建物)
3. 所在:南都留郡富士河口湖町富士ヶ嶺12番地300
家屋番号:12番300
種類:居宅
構造:木造アスファルトルーフィング葺平家建
床面積:66.88m²
所在地
山梨県南都留郡富士河口湖町富士ヶ嶺12番300、12番306
交通、最寄り駅など
[最寄バス停] 富士急行バス「紅葉台入口」バス停から南西方約6.9km
[最寄IC] 中央自動車道「富士吉田」ICから南西方約14.2km
説明
1. 対象物件の建築年月日は登記簿によると昭和50年12月1日新築である。
2. 対象物件は、北西側で幅員約4.8mの私道とほぼ等高に接面しており、入口の間口は約19.2m、長方形の概ね平坦な土地である。
3. 境界については、隣接土地所有者と協議すること。
4. 対象物件の管理は「富士ドクタービレッジ株式会社」が行っている。入札に際しては必ず事前に管理会社に管理規約を確認すること。
管理者:富士ドクタービレッジ株式会社
事務所所在地:山梨県南都留郡富士河口湖町富士ヶ嶺12-602
電話番号:0555-89-2221
5. 管理費等について管理規約を確認したところ、次のとおりである。
管理費 年額 119,900円
村会費 年額 3,600円
修繕積立金 年額 10,000円
6. 未納管理費等について管理会社へ確認したところ、令和6年11月26日現在において2,289,938円の未納管理費等がある旨回答があった。未納管理費等がある場合は、買受人は未納管理費等を承継しない。
7. 対象物件の内部については調査していない。対象物件に動産等がある場合は、公売対象外である。
8. 対象物件内の動産類の処理及び対象物件の使用・占有状況について、現所有者に文書で照会したが、令和7年10月2日現在回答はない。
9. 対象物件の鍵については、山梨県では受け取っていない。
10. 主要な公法上の規制等は、次のとおりである。
・都市計画区域外
・自然公園法の富士箱根伊豆国立公園の第3種特別地域に該当。工作物の新築、改築、木竹の伐採、高山植物等の採取又は損傷、鉱物の掘採又は土石の採取、河川、湖沼等の水位又は水量の増減等について、許可又は届出が必要となることがある。
※自然公園法施行規則第11条第4項において、敷地面積が1,000m²未満の場合は建築物の新築等が許可されないことが規定されているため、本物件の敷地のみでは建築物の新築等はできない。
・山梨県世界遺産富士山の保全に係る景観配慮の手続に関する条例の富士山景観配慮地区に該当。一定規模以上の事業・開発行為について手続が必要となることがある。
・建ぺい率 20%以下
・容積率 60%以下
・土地勾配 30%以下
11. 供給処理施設は次のとおりである。
上水道 なし (私営)
下水道 なし (浄化槽)
12. 対象物件は、埋蔵文化財保護法の埋蔵文化財包蔵地に該当していない。
13. 消費税及び地方消費税については、混在財産である。(インボイスは交付しない。)
14. 公売対象物件1〜3は、国税徴収法第89条第3項の規定に基づき、一括換価の方法により公売を行う。
<その他>
・当該物件については、関係公簿等を閲覧するほか、現地調査などを十分行ったうえで、公売に参加してください。
・必ず山梨県の「ガイドライン」、「落札後の注意事項」をお読みになり、すべてを了承した上での入札をお願いします。
・国税徴収法及び同法施行規則により、暴力団員等に該当しないこと等の陳述をしなければ入札することはできません。陳述書その他必要書類を、メール又は郵送によって提出してください。書類の提出が確認でき次第、入札に参加することができます。詳細は山梨県ホームページ、もしくは山梨県総合県税事務所滞納整理第一課にて確認してください。
・山梨県暴力団排除条例により、公売財産を暴力団事務所の用に供することはできません。
・山梨県は引渡しの義務を負いません。
・山梨県は公売財産の種類又は品質に関する不適合についての担保責任等を負いません。
・公売財産内の動産の撤去、占有者等に対しての明け渡し請求、前所有者からの鍵の引渡などはすべて買受人が行うこととなります。
・権利移転及び危険負担の移転の時期は、買受人が買受代金の全額を納付した時です。したがって、その後に発生した財産の破損・盗難・焼失等による損害の負担は買受人が負うことになります。
・所有権移転登記は、買受代金の納付後、買受人の請求により山梨県が行います。登録免許税など、所有権移転登記に係る費用は買受人の負担となります。

土地の情報

土地面積 (㎡)
(登記簿)

物件に関するお問い合わせ先

出品行政機関
山梨県総合県税事務所
担当部署
滞納整理部 滞納整理第一課 企画・総括担当
メールアドレス
kenzei-cb@pref.yamanashi.lg.jp
電話
055-261-9120
受付時間
平日午前8時30分〜午後5時15分
備考
-

過去の出品

1回目
100万円 (2025.02.10売却)
2回目
99万円 (2025.05.20不売)
3回目
69万円 (2025.07.01不売)
4回目
49万円 (2025.08.12不売)
5回目
35万円 (2025.09.24不売)
出典:官公庁オークション - 南都留郡富士河口湖町富士ヶ嶺12番300、12番306:山梨県のインターネット公売物件詳細

最寄り駅・周辺地図

最寄り駅が見つかりませんでした

山梨県南都留郡富士河口湖町 戸建ての販売価格

取引平均-

近隣の戸建て落札価格

入札数{{ point.bids }}入札数?{{ point.base }}{{ point.sold }}{{ point.sqm.toLocaleString() }}m²築{{ point.age }}年
周辺には戸建ての落札履歴がありません。地図をドラッグして範囲や縮尺を変えてお試しください