2,082 物件入札可能!

三重県鈴鹿市石薬師町 加佐登駅の競売物件
¥ 2,380,000円 戸建て 178m²

三重県鈴鹿市石薬師町 加佐登駅の競売物件

不売になりました
2026年1月9日(金)

特別売却 ()

管轄裁判所
津地方裁判所本庁
事件番号
令和07年(ケ)第20号
売却基準価額
2,380,000円
買受申出保証額
476,000円
買受可能価額
1,904,000円

売却結果

売却価額
-
売却結果
不売
落札者資格
-
終了日
2026年1月9日(金)

物件概要

所在地
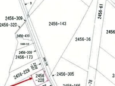
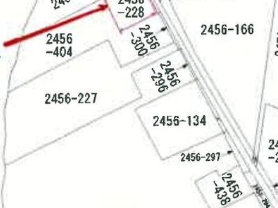
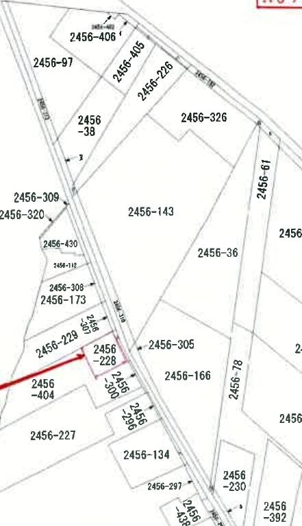
三重県鈴鹿市石薬師町字鞠鹿野2456番地228
評価上の交通
JR関西本線「加佐登」駅 北方 直線距離 約3.8km
参考交通
-
延床面積
177.78m² (53.8坪)
土地面積 (合計)
238.82m² (72.2坪)
間取り
6LDK
種類
居宅
用途地域
市街化調整区域 (市街化を抑制し再建築を含む多くの建築制限)
物件番号
  • 1. 土地
  • 2. 建物 (所有権・法定地上権)

物件詳細

物件番号
1
種別
土地
所在地
鈴鹿市石薬師町字鞠鹿野 2456番228
地目 (登記)
宅地
地目 (現況)
-
土地面積 (登記)
238.82m² (72.2坪)
土地面積 (現況)
-
用途地域
市街化調整区域 (市街化を抑制し再建築を含む多くの建築制限)
土地の利用状況
-
建ぺい率
70%
容積率
200%
持分
-
物件番号
2
種別
建物
所在地
鈴鹿市石薬師町字鞠鹿野2456番地228
家屋番号
入札終了
種類 (登記)
居宅
種類 (現況)
-
構造 (登記)
木造瓦葺2階建
構造 (現況)
-
床面積 (登記)
1階 115.41m² (34.9坪)
2階 62.37m² (18.9坪)
床面積 (現況)
-
間取り
6LDK
敷地利用権
所有権・法定地上権
占有者
債務者・所有者
築年月
平成9年1月 (1997年・入札時築28年)
持分
-
附属建物
符号 -
種類(現況) 居宅・物置
構造(登記) 未登記
構造(現況) 鉄骨造亜鉛メッキ鋼板葺2階建
種類(登記) 未登記
床面積(登記) 未登記
床面積(現況) 1階 約47m²
2階 約37m²
注意事項
本詳細情報画面の内容については、必ず物件資料3点セット(物件明細書、現況調査報告書及び評価書等)をダウンロードの上、ご確認ください(民事執行法63条2項1号の申出がある場合等があります)。 本システムからダウンロードした「現況調査報告書」及び「評価書」に引用されている写真、資料及び図面は、本システム上は添付されていない場合があります。

売却スケジュール

特別売却閲覧開始日
2025年12月19日(金)
特別売却期間
2026年1月9日(金)のみ
状態
終了
スケジュール
年間売却スケジュール/津地方裁判所本庁

過去の出品

1回目
238万円 (2025.12.18不売)
出典:裁判所BIT 不動産競売物件情報

最寄り駅・周辺地図

JR関西本線加佐登駅 48分 (約3.8km)
JR関西本線河曲駅 63分 (約5.0km)
近鉄鈴鹿線平田町駅 72分 (約5.7km)

三重県鈴鹿市 戸建ての販売価格

取引平均-

近隣の戸建て落札価格

入札数{{ point.bids }}入札数?{{ point.base }}{{ point.sold }}{{ point.sqm.toLocaleString() }}m²築{{ point.age }}年
周辺には戸建ての落札履歴がありません。地図をドラッグして範囲や縮尺を変えてお試しください