1,838 物件入札可能!

北海道夕張郡長沼町 由仁駅の公売物件
¥ 6,000,000円 土地 61,506m²

北海道夕張郡長沼町 由仁駅の国税庁公売物件

不売になりました
2026年2月18日(水)

売却結果

実施局署
東京国税局
公売公告番号
53号
公告日
令和8年1月8日
入札期間
令和8年2月2日 から 令和8年2月12日
公売の方法
期間入札
開札期日
令和8年2月17日午前10時00分
売却決定の日時
令和8年3月4日午前10時00分
次順位買受申込者に対する売却決定の日は、国税徴収法第113条第2項に定める日となります。
売却決定の場所
東京国税局
売却区分番号
3612-11
入札者等の区分
入札なし

期間入札 (初出品)

実施局署
東京 国税局
見積価額
6,000,000円
公売の方法
期間入札
公売公告番号
53号
公売保証金
600,000円
売却区分番号
3612-11
公売保証金の提供方法
現金等
入札期間
令和8年2月2日午前9時00分 から 令和8年2月12日午後5時00分
入札の場所
東京国税局
必要書類の提出期限 (電子入札の場合)
令和8年2月9日午後5時00分
公売保証金の納付期限
令和8年2月9日午後5時00分
開札期日
令和8年2月17日午前10時00分
開札の場所
東京国税局
買受代金納付期限
令和8年3月4日午後3時00分
売却決定の日時
令和8年3月4日午前10時00分
売却決定の場所
東京国税局
追加入札期間
令和8年2月25日午前9時00分 から 令和8年3月4日午後5時00分
追加入札開札期日
令和8年3月9日午前10時00分
開札の場所
東京国税局
買受代金納付期限
令和8年3月24日午後3時00分
売却決定の日時
令和8年3月24日午前10時00分
売却決定の場所
東京国税局
住居表示等
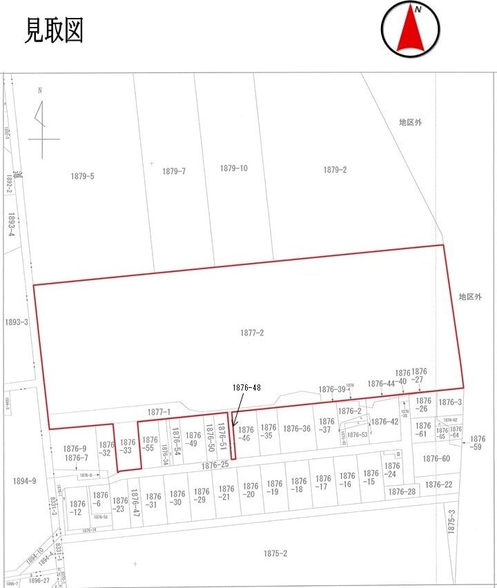
北海道夕張郡長沼町字加賀団体付近
交通機関
JR (北海道) 室蘭本線 古山駅 北西方約6.0キロメートル
面積 (地積) 合計
61,506m² (18,605.6坪)
主たる地目
山林

詳細情報 (個別)

財産番号
1
種別
土地
所在地 (登記簿表示内容)
北海道夕張郡長沼町字馬追1876番33
地目 (登記簿表示内容)
山林
面積 (登記簿表示内容)
1,200m² (363坪)
地盤・地勢
西向き傾斜地
接道状況
南側 幅員約5.0メートル未舗装私道 (建築基準法上の道路ではない)
ほぼ等高接面
使用状況
雑木・雑草繁茂
留意事項
公売は現況有姿により行うものであるため、次の一般的事項を十分ご理解の上、公売へご参加ください。
1. 公売財産については、あらかじめその現況及び関係公簿等を確認してください。
2. 公売財産に財産の種類又は品質に関する不適合があっても、執行機関 (国) は、担保責任を負いません。
3. 執行機関 (国) は、公売財産の引渡義務を負わないため、使用者又は占有者に対して明渡しを求める場合や不動産内にある
動産の処理などはすべて買受人の責任において行うことになります。
4. 土地の境界については隣接地所有者と、接面道路 (私道) の利用については道路所有者とそれぞれ協議してください。
5. 土壌汚染やアスベストなどに関する専門的な調査は行っておりません。

なお、売却区分番号内に複数の財産 (財産が一つで所有者を異にする場合を含む。) があるものについては、国税徴収法第89条第3項の規定に基づき、一括換価の方法により公売を行います。
(注)
地盤・地勢、接道状況等は財産 (1筆) 毎ではなく、全体としての状況を記しております。

詳細情報 (個別)

財産番号
2
種別
土地
所在地 (登記簿表示内容)
北海道夕張郡長沼町字馬追1876番48
地目 (登記簿表示内容)
山林
面積 (登記簿表示内容)
241m² (72.9坪)

詳細情報 (個別)

財産番号
3
種別
土地
所在地 (登記簿表示内容)
北海道夕張郡長沼町字馬追1877番1
地目 (登記簿表示内容)
原野
面積 (登記簿表示内容)
2,955m² (893.9坪)

詳細情報 (個別)

財産番号
4
種別
土地
所在地 (登記簿表示内容)
北海道夕張郡長沼町字馬追1877番2
地目 (登記簿表示内容)
山林
面積 (登記簿表示内容)
57,110m² (17,275.8坪)

詳細情報 (共通)

公法上の規制
都市計画区域内 用途地域の指定なし
長沼町美しい景観づくり条例 (馬追丘陵区域)
地域森林計画対象民有林 (対象物件3及び4)
特記事項
対象物件1 仮設トイレあり
対象物件1及び4 コンテナあり
対象物件3及び4 境界は判然としない
西側の赤道は判然としない
その他事項
公売財産の売却決定は、最高価申込者に係る入札価額をもって行います。
換価制限のお知らせ
この物件については、不服申立中であることから、国税通則法第105条第1項ただし書の規定により、売却決定の日時である令和8年3月4日(水) 午前10時までに換価制限が解除されない場合は、同日時の売却決定は行いませんので、ご注意ください。

公売財産に関するお問い合せ先

お問い合せ先
東京 国税局
お問い合せの際には、開札日(令和8年2月17日)と売却区分番号(3612-11)をお申出の上ご照会ください。
担当部署名
特別整理総括第二課
郵便番号
104-8449
所在地
中央区築地5丁目3番1号
電話番号
03-3542-2111
内線
3305、3306、3307
電話受付時間
平日午前9時から午後5時まで
出典:国税庁ホームページ - (3612-11 北海道夕張郡長沼町) 土地詳細 | 公売情報

最寄り駅・周辺地図

JR室蘭本線由仁駅 93分 (約7.4km)
JR室蘭本線栗山駅 106分 (約8.4km)
JR室蘭本線古山駅 112分 (約8.9km)

北海道夕張郡長沼町 土地の販売価格

取引平均-

近隣の土地落札価格

入札数{{ point.bids }}入札数?{{ point.base }}{{ point.sold }}{{ point.sqm.toLocaleString() }}m²築{{ point.age }}年
周辺には土地の落札履歴がありません。地図をドラッグして範囲や縮尺を変えてお試しください