1,616 物件入札可能!

石川県羽咋郡志賀町三明チ 能登中島駅の公売物件
¥ 1,020,000円 土地 245m²

石川県羽咋郡志賀町三明チ 能登中島駅の官公庁公売物件

不売になりました
2026年2月24日(火)

公有財産売却 ()

価額情報

落札価格 (最高入札価格)
-円
入札件数
0
予定価格
1,020,000円
入札保証金
102,000円

スケジュール

参加申し込み受付期間
2026年1月14日13時0分 〜 2026年2月3日14時0分
入札期間
2026年2月17日13時0分 〜 2026年2月24日13時0分
売払代金納付期限
2026年3月31日17時45分
契約締結期限
2026年3月2日17時45分

代金納付方法

入札保証金納付方法
銀行振込など
売払代金納付方法
銀行振込 直接持参
オークション種別
公有財産売却
実施方法
入札形式
執行機関名称
石川県
売却区分番号
物件番号2
支払い方法
銀行振込 直接持参
契約締結期限
2026年3月2日17時45分

物件情報

物件の種類
宅地
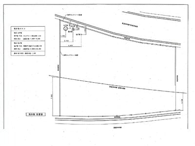
物件の所在
石川県

不動産の基本情報

登記簿の表示
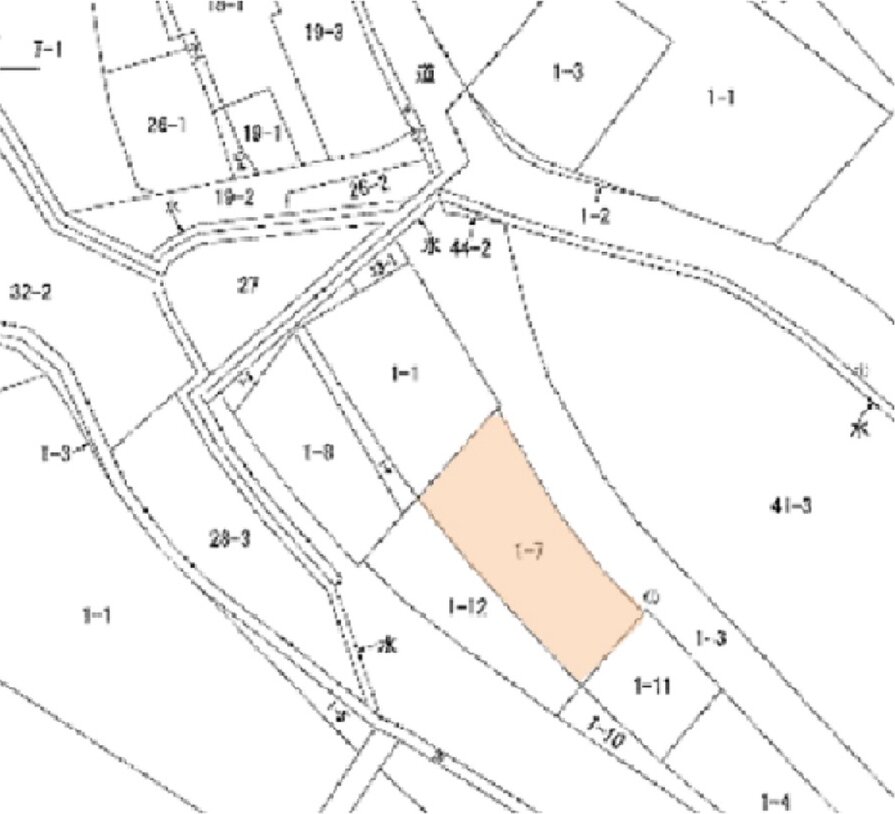
所在:羽咋郡志賀町三明チ1番7
地目:宅地
地積:244.51m²
所在地
石川県羽咋郡志賀町三明チ1番7
交通、最寄り駅など
鉄道:のと鉄道 (七尾線) 能登中島駅 道路距離 約11.5km
バス:北鉄能登バス 三明バス停 徒歩約1分
現況
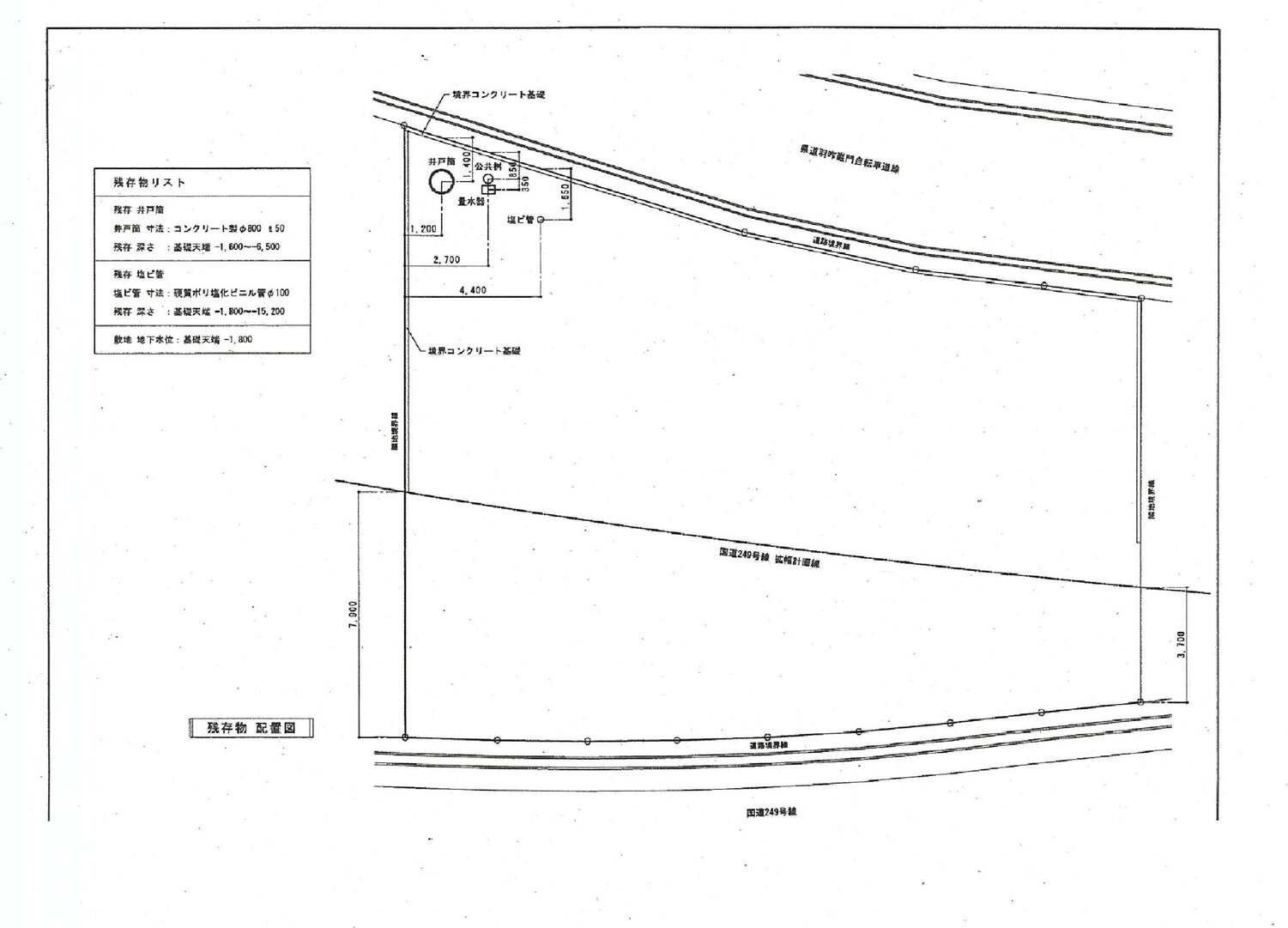
地下埋設物 (井戸筒及び塩ビ管) があります。
※画像4枚目参照
その他事項
現有有姿による引き渡しとなります。

土地の情報

土地面積 (㎡)
244.51 (実測)
土地権利
所有権
土地持分
10/10
地目
宅地
都市計画地域
都市計画区域外
建ぺい率 (%)
60
容積率 (%)
200
その他法令などの規制
土砂災害警戒区域等における土砂災害防止対策の推進に関する法律 (土砂災害警戒区域)
幅員、接道状況
南西側:幅員約16.5m
※今後、道路拡幅工事を予定。(上記幅員は拡幅後)
私道の負担など
供給処理施設
電気:引込可 (北陸電力 (株) お客さまサービスセンター)
上水道:引込済 (志賀町まち整備課上下水道室)
下水道:引込済 (同上)
都市ガス:無
その他土地に関する物件情報
<公共施設等 (距離は直線距離)>
市役所等:志賀町富来支所 約6.9km
小学校:志賀町立富来小学校 約8.4km
中学校:志賀町立富来中学校 約6.8km
スーパー:約9.0km
コンビニ:約7.7km

<周辺状況>
志賀町三明交差点からほど近く、現状隣接する住居等がない土地です。

<注意事項>
物件の概要を把握するための参考資料です。必ず入札者ご自身において、現地及び諸規制について調査確認を行ってください。

物件に関するお問い合わせ先

出品行政機関
石川県
担当部署
総務部管財課資産活用室
メールアドレス
e110900a@pref.ishikawa.lg.jp
電話
076-225-1266
受付時間
午前9時〜午後5時まで
備考
-

過去の出品

1回目
148万円 (2022.10.11不売)
2回目
148万円 (2023.02.27不売)
3回目
143万円 (2023.10.10不売)
4回目
133万円 (2024.10.08不売)
5回目
133万円 (2025.02.25不売)
6回目
102万円 (2025.10.21不売)
出典:官公庁オークション - 【物件2】志賀町三明交差点付近の宅地/羽咋郡志賀町三明:石川県の公有財産売却物件詳細

最寄り駅・周辺地図

石川県羽咋郡志賀町 土地の販売価格

取引平均-

近隣の土地落札価格

入札数{{ point.bids }}入札数?{{ point.base }}{{ point.sold }}{{ point.sqm.toLocaleString() }}m²築{{ point.age }}年
周辺には土地の落札履歴がありません。地図をドラッグして範囲や縮尺を変えてお試しください