2,156 物件出品中!

千葉県銚子市高田町 椎柴駅13分の公売物件
¥ 950,000円 戸建て 71m²

千葉県銚子市高田町 椎柴駅13分の国税庁公売物件

954,321円
で売却されました
2026年3月18日(水)

売却結果

実施局署
東京国税局
公売公告番号
63号
公告日
令和8年1月29日
入札期間
令和8年3月3日 から 令和8年3月12日
公売の方法
期間入札
開札期日
令和8年3月17日午前10時00分
売却決定の日時
令和8年4月7日午前10時00分
次順位買受申込者に対する売却決定の日は、国税徴収法第113条第2項に定める日となります。
売却決定の場所
東京国税局
売却区分番号
3537-1
入札者等の区分
最高価申込者
入札(売却)価額
954,321円

期間入札 () 45万円 値下げ

実施局署
東京 国税局
見積価額
950,000円
公売の方法
期間入札
公売公告番号
63号
公売保証金
100,000円
売却区分番号
3537-1
公売保証金の提供方法
現金等
入札期間
令和8年3月3日午前9時00分 から 令和8年3月12日午後5時00分
入札の場所
東京国税局
必要書類の提出期限 (電子入札の場合)
令和8年3月10日午後5時00分
公売保証金の納付期限
令和8年3月10日午後5時00分
開札期日
令和8年3月17日午前10時00分
開札の場所
東京国税局
買受代金納付期限
令和8年4月7日午後3時00分
売却決定の日時
令和8年4月7日午前10時00分
売却決定の場所
東京国税局
追加入札期間
令和8年3月23日午前9時00分 から 令和8年3月27日午後5時00分
追加入札開札期日
令和8年3月30日午前10時00分
開札の場所
東京国税局
買受代金納付期限
令和8年4月14日午後3時00分
売却決定の日時
令和8年4月14日午前10時00分
売却決定の場所
東京国税局
住居表示等
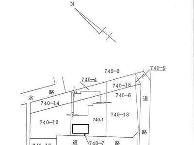
千葉県銚子市高田町2丁目740番地
交通機関
JR (東日本) 成田線 椎柴駅 徒歩 15分
面積 (地積) 合計
383.51m² (116.0坪)
主たる地目
宅地
床面積合計
71.19m² (21.5坪)
主たる種類
居宅

詳細情報 (個別)

財産番号
1
種別
土地
所在地 (登記簿表示内容)
千葉県銚子市高田町二丁目740番1
地目 (登記簿表示内容)
宅地
面積 (登記簿表示内容)
179.24m² (54.2坪)
地盤・地勢
ほぼ平坦地
接道状況
南西側 幅員約4メートル舗装私道 (対象物件3・建築基準法上の道路) ほぼ等高接面
使用状況
対象物件1及び2 対象物件4の敷地として使用
対象物件4 昭和58年頃建築
平成3年頃増築
所有者の申立てによると、令和6年1月18日現在居住その他の使用がなされていない。
動産あり
留意事項
公売は現況有姿により行うものであるため、次の一般的事項を十分ご理解の上、公売へご参加ください。
1. 公売財産については、あらかじめその現況及び関係公簿等を確認してください。
2. 公売財産に財産の種類又は品質に関する不適合があっても、執行機関 (国) は、担保責任を負いません。
3. 執行機関 (国) は、公売財産の引渡義務を負わないため、使用者又は占有者に対して明渡しを求める場合や不動産内にある動産の処理などはすべて買受人の責任において行うことになります。
4. 土地の境界については隣接地所有者と、接面道路 (私道) の利用については道路所有者とそれぞれ協議してください。
5. 土壌汚染やアスベストなどに関する専門的な調査は行っておりません。

なお、売却区分番号内に複数の財産 (財産が一つで所有者を異にする場合を含む。) があるものについては、国税徴収法第89条第3項の規定に基づき、一括換価の方法により公売を行います。
(注)
地盤・地勢、接道状況等は財産 (1筆) 毎ではなく、全体としての状況を記しております。

詳細情報 (個別)

財産番号
2
種別
土地
所在地 (登記簿表示内容)
千葉県銚子市高田町二丁目740番4
地目 (登記簿表示内容)
宅地
面積 (登記簿表示内容)
77.27m² (23.4坪)

詳細情報 (個別)

財産番号
3
種別
土地
所在地 (登記簿表示内容)
千葉県銚子市高田町二丁目740番7
地目 (登記簿表示内容)
公衆用道路
面積 (登記簿表示内容)
127m² (38.4坪)
持分
6分の1

詳細情報 (個別)

財産番号
4
種類 (登記簿表示内容)
居宅
所在地 (登記簿表示内容)
千葉県銚子市高田町二丁目 740番地1、740番地4
家屋番号 (登記簿表示内容)
740番1
構造 (登記簿表示内容)
木造瓦葺平家建
床面積 (登記簿表示内容)
71.19m² (21.5坪)
対象物件4の未登記の附属建物
種類 車庫
構造 木造亜鉛メッキ鋼板葺平家建
床面積 約19m² (現況調査時に概測した数量)

詳細情報 (共通)

公法上の規制
都市計画区域内 用途地域の指定なし
宅地造成等工事規制区域
特記事項
物置あり
電柱あり
対象物件4の未登記の附属建物 間取り不詳
その他事項
公売財産の売却決定は、最高価申込者に係る入札価額をもって行います。

物件に関するお問い合せ先

お問い合せ先
東京 国税局
お問い合せの際には、開札日(令和8年3月17日)と売却区分番号(3537-1)をお申出の上ご照会ください。
担当部署名
特別整理総括第二課
郵便番号
104-8449
所在地
中央区築地5丁目3番1号
電話番号
03-3542-2111
内線
3305、3306、3307
電話受付時間
平日午前9時から午後5時まで

過去の出品

1回目
410万円 (2024.08.29終了)
2回目
290万円 (2025.01.22不売)
3回目
200万円 (2025.04.24不売)
4回目
140万円 (2025.10.08不売)
出典:国税庁ホームページ - (3537-1 千葉県銚子市) 土地付建物詳細 | 公売情報

最寄り駅・周辺地図

千葉県銚子市 戸建ての販売価格

取引平均-

近隣の戸建て落札価格

入札数{{ point.bids }}入札数1{{ point.base }}{{ point.sold }}{{ point.sqm.toLocaleString() }}m²築{{ point.age }}年
周辺には戸建ての落札履歴がありません。地図をドラッグして範囲や縮尺を変えてお試しください