2,156 物件出品中!

千葉県鎌ケ谷市中沢新町 鎌ヶ谷駅10分の公売物件
¥ 1,700,000円 戸建て 89m²

千葉県鎌ケ谷市中沢新町 鎌ヶ谷駅10分の国税庁公売物件

2,777,780円
で売却されました
2026年3月18日(水)

売却結果

実施局署
東京国税局
公売公告番号
62号
公告日
令和8年1月29日
入札期間
令和8年3月3日 から 令和8年3月12日
公売の方法
期間入札
開札期日
令和8年3月17日午前10時00分
売却決定の日時
令和8年4月7日午前10時00分
次順位買受申込者に対する売却決定の日は、国税徴収法第113条第2項に定める日となります。
売却決定の場所
東京国税局
売却区分番号
3329-2
入札者等の区分
最高価申込者
入札(売却)価額
2,777,780円

期間入札 (初出品)

実施局署
東京 国税局
見積価額
1,700,000円
公売の方法
期間入札
公売公告番号
62号
公売保証金
200,000円
売却区分番号
3329-2
公売保証金の提供方法
現金等
入札期間
令和8年3月3日午前9時00分 から 令和8年3月12日午後5時00分
入札の場所
東京国税局
必要書類の提出期限 (電子入札の場合)
令和8年3月10日午後5時00分
公売保証金の納付期限
令和8年3月10日午後5時00分
開札期日
令和8年3月17日午前10時00分
開札の場所
東京国税局
買受代金納付期限
令和8年4月7日午後3時00分
売却決定の日時
令和8年4月7日午前10時00分
売却決定の場所
東京国税局
追加入札期間
令和8年3月23日午前9時00分 から 令和8年3月27日午後5時00分
追加入札開札期日
令和8年3月30日午前10時00分
開札の場所
東京国税局
買受代金納付期限
令和8年4月14日午後3時00分
売却決定の日時
令和8年4月14日午前10時00分
売却決定の場所
東京国税局
住居表示等
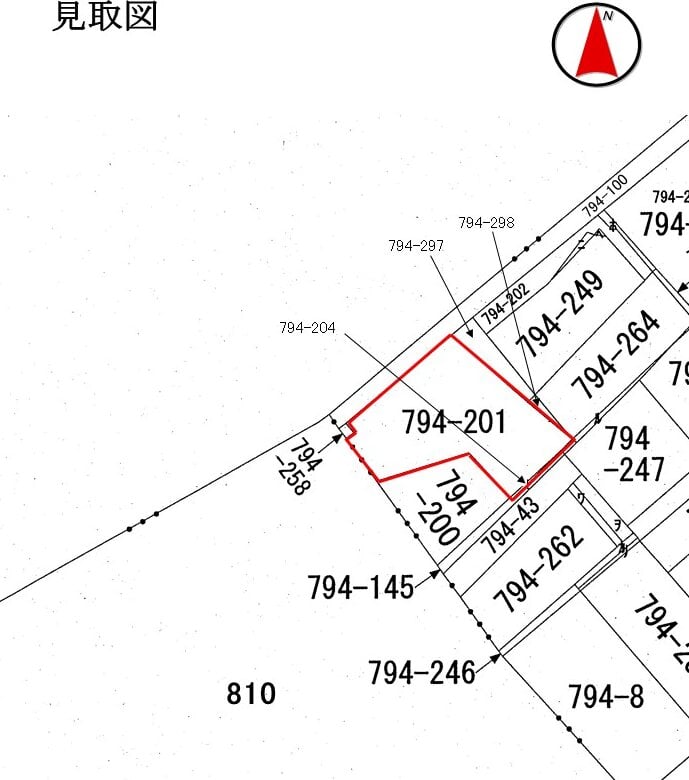
千葉県鎌ケ谷市中沢新町7番1号
交通機関
東武鉄道 野田線 (東武アーバンパークライン) 鎌ケ谷駅 徒歩 12分
面積 (地積) 合計
126.07m² (38.1坪)
主たる地目
宅地
床面積合計
88.59m² (26.8坪)
主たる種類
居宅

詳細情報 (個別)

財産番号
1
種別
土地
所在地 (登記簿表示内容)
千葉県鎌ケ谷市中沢新町794番201
地目 (登記簿表示内容)
宅地
面積 (登記簿表示内容)
123.11m² (37.2坪)
地盤・地勢
ほぼ平坦地
接道状況
北西側 幅員約5.7メートル舗装道 (市道及び私道・建築基準法上の道路) ほぼ等高〜約2.9メートル高位接面
使用状況
対象物件1〜2 対象物件3の敷地として使用
対象物件3 昭和62年頃建築
他の共有者が居宅として使用
他の共有者との貸借関係等の内容は不明
持分
10分の6
留意事項
公売は現況有姿により行うものであるため、次の一般的事項を十分ご理解の上、公売へご参加ください。
1. 公売財産については、あらかじめその現況及び関係公簿等を確認してください。
2. 公売財産に財産の種類又は品質に関する不適合があっても、執行機関 (国) は、担保責任を負いません。
3. 執行機関 (国) は、公売財産の引渡義務を負わないため、使用者又は占有者に対して明渡しを求める場合や不動産内にある動産の処理などはすべて買受人の責任において行うことになります。
4. 土地の境界については隣接地所有者と、接面道路 (私道) の利用については道路所有者とそれぞれ協議してください。
5. 土壌汚染やアスベストなどに関する専門的な調査は行っておりません。

なお、売却区分番号内に複数の財産 (財産が一つで所有者を異にする場合を含む。) があるものについては、国税徴収法第89条第3項の規定に基づき、一括換価の方法により公売を行います。
(注)
地盤・地勢、接道状況等は財産 (1筆) 毎ではなく、全体としての状況を記しております。

詳細情報 (個別)

財産番号
2
種別
土地
所在地 (登記簿表示内容)
千葉県鎌ケ谷市中沢新町794番204
地目 (登記簿表示内容)
宅地
面積 (登記簿表示内容)
2.96m² (0.9坪)
持分
10分の6

詳細情報 (個別)

財産番号
3
種類 (登記簿表示内容)
居宅
所在地 (登記簿表示内容)
千葉県鎌ケ谷市中沢新町794番地201
家屋番号 (登記簿表示内容)
794番201
構造 (登記簿表示内容)
木造瓦葺2階建
床面積 (登記簿表示内容)
1階 43.88m² (13.3坪)
2階 44.71m² (13.5坪)
持分
10分の6

詳細情報 (共通)

公法上の規制
第1種低層住居専用地域
日影規制 (4時間-2.5時間)
埋蔵文化財包蔵地 (外和戸遺跡)
宅地造成等工事規制区域
特記事項
物置あり
千葉県建築基準法施行条例第4条 (がけ) の適用がある。がけ条例に該当する。
隣接地 (810番) の高木・枝葉が越境している。
間取り不詳
対象物件1〜3は共有持分についての売却であるので、公売により取得したとしても完全な支配権を得たものではないため、その利用等については、他の共有者と協議して決めなければならず、対象物件を当然に使用収益できるとは限らない。
その他事項
公売財産の売却決定は、最高価申込者に係る入札価額をもって行います。
換価制限のお知らせ
この物件については、不服申立中であることから、国税通則法第105条第1項ただし書の規定により、売却決定の日時である令和8年4月7日(火) 午前10時までに換価制限が解除されない場合は、同日時の売却決定は行いませんので、ご注意ください。

物件に関するお問い合せ先

お問い合せ先
東京 国税局
お問い合せの際には、開札日(令和8年3月17日)と売却区分番号(3329-2)をお申出の上ご照会ください。
担当部署名
特別整理総括第二課
郵便番号
104-8449
所在地
中央区築地5丁目3番1号
電話番号
03-3542-2111
内線
3305、3306、3307
電話受付時間
平日午前9時から午後5時まで
出典:国税庁ホームページ - (3329-2 千葉県鎌ケ谷市) 土地付建物詳細 | 公売情報

最寄り駅・周辺地図

千葉県鎌ケ谷市 戸建ての販売価格

取引平均-

近隣の戸建て落札価格

入札数{{ point.bids }}入札数1{{ point.base }}{{ point.sold }}{{ point.sqm.toLocaleString() }}m²築{{ point.age }}年
周辺には戸建ての落札履歴がありません。地図をドラッグして範囲や縮尺を変えてお試しください