2,142 物件出品中!

広島県呉市安浦町三津口 安浦駅16分の競売物件
¥ 2,453,000円 戸建て 150m²

広島県呉市安浦町三津口 安浦駅16分の競売物件

不売になりました
2026年3月13日(金)再出品情報があります

期間入札 (初出品)

管轄裁判所
広島地方裁判所本庁
事件番号
令和07年(ケ)第155号
売却基準価額
2,453,000円
買受申出保証額
500,000円
買受可能価額
1,962,400円

売却結果

売却価額
-
開札結果
不売
入札者数
-
落札者資格
-
開札日
2026年3月13日(金)

物件概要

所在地 (地番)
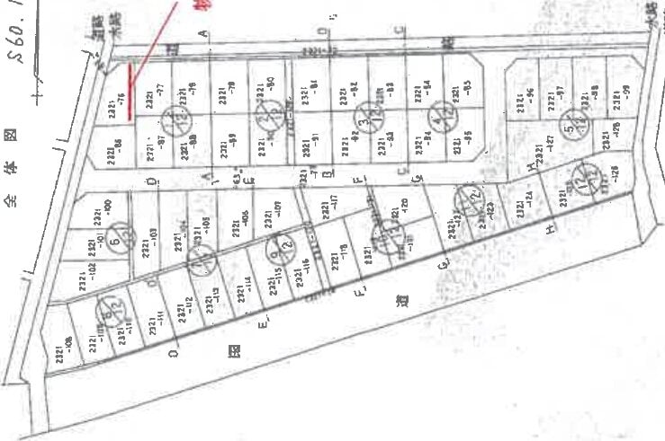
広島県呉市安浦町三津口三丁目2321番地76
住居表示
広島県呉市安浦町三津口三丁目2番17号
評価上の交通
JR呉線「安浦」駅 東方 直線距離 約1.2km
参考交通
-
延床面積
149.55m² (45.2坪)
土地面積 (合計)
165.72m² (50.1坪)
間取り
-
種類
居宅・店舗
用途地域
第一種住居地域 (店舗や事務所・ホテルなども建築可能)
物件番号
  • 1. 土地
  • 2. 建物 (所有権)

物件詳細

物件番号
1
種別
土地
所在地
呉市安浦町三津口三丁目 2321番76
地目 (登記)
宅地
地目 (現況)
-
土地面積 (登記)
165.72m² (50.1坪)
土地面積 (現況)
-
用途地域
第一種住居地域 (店舗や事務所・ホテルなども建築可能)
土地の利用状況
-
建ぺい率
60%
容積率
200%
持分
-
物件番号
2
種別
建物
所在地
呉市安浦町三津口三丁目2321番地76
家屋番号
公開終了
種類 (登記)
居宅・店舗
種類 (現況)
-
構造 (登記)
木造瓦葺2階建
構造 (現況)
-
床面積 (登記)
1階 82.77m² (25.0坪)
2階 66.78m² (20.2坪)
床面積 (現況)
-
間取り
その他
敷地利用権
所有権
占有者
債務者・所有者
築年月
昭和60年9月 (1985年・築40年)
持分
-
注意事項
本詳細情報画面の内容については、必ず物件資料3点セット(物件明細書、現況調査報告書及び評価書等)をダウンロードの上、ご確認ください(民事執行法63条2項1号の申出がある場合等があります)。 本システムからダウンロードした「現況調査報告書」及び「評価書」に引用されている写真、資料及び図面は、本システム上は添付されていない場合があります。

売却スケジュール

売却実施処分日
2026年2月2日(月)
公告日
2026年2月16日(月)
閲覧開始日
2026年2月16日(月)
入札期間
2026年3月4日(水)〜3月10日(火)
開札日
2026年3月13日(金)
特別売却期間
2026年3月17日(火)のみ
売却決定日
2026年4月2日(木)
確定日
2026年4月10日(金)
状態
終了
スケジュール
競売スケジュール
出典:裁判所BIT 不動産競売物件情報

最寄り駅・周辺地図

JR呉線安浦駅 16分 (約1.3km)
JR呉線風早駅 53分 (約4.2km)
JR呉線安登駅 56分 (約4.5km)

広島県呉市 戸建ての販売価格

取引平均-

近隣の戸建て落札価格

入札数{{ point.bids }}入札数1{{ point.base }}{{ point.sold }}{{ point.sqm.toLocaleString() }}m²築{{ point.age }}年
周辺には戸建ての落札履歴がありません。地図をドラッグして範囲や縮尺を変えてお試しください