1,764 物件出品中!

千葉県市川市大野町 市川大野駅8分の公売物件
¥ 2,100,000円 土地 65m²

千葉県市川市大野町 市川大野駅8分の国税庁公売物件

3,000,000円
で売却されました
2026年4月22日(水)

売却結果

実施局署
東京国税局
公売公告番号
67号
公告日
令和8年2月25日
入札期間
令和8年4月6日 から 令和8年4月15日
公売の方法
期間入札
開札期日
令和8年4月21日午前10時00分
売却決定の日時
令和8年5月12日午前10時00分
次順位買受申込者に対する売却決定の日は、国税徴収法第113条第2項に定める日となります。
売却決定の場所
東京国税局
売却区分番号
3933-1
入札者等の区分
最高価申込者
入札(売却)価額
3,000,000円

期間入札 () 90万円 値下げ

実施局署
東京 国税局
見積価額
2,100,000円
公売の方法
期間入札
公売公告番号
67号
公売保証金
300,000円
売却区分番号
3933-1
公売保証金の提供方法
現金等
入札期間
令和8年4月6日午前9時00分 から 令和8年4月15日午後5時00分
入札の場所
東京国税局
必要書類の提出期限 (電子入札の場合)
令和8年04月13日午後5時00分
公売保証金の納付期限
令和8年4月13日午後5時00分
開札期日
令和8年4月21日午前10時00分
開札の場所
東京国税局
買受代金納付期限
令和8年5月12日午後3時00分
売却決定の日時
令和8年5月12日午前10時00分
売却決定の場所
東京国税局
追加入札期間
令和8年4月27日午前9時00分 から 令和8年5月8日午後5時00分
追加入札開札期日
令和8年5月11日午前10時00分
開札の場所
東京国税局
買受代金納付期限
令和8年5月26日午後3時00分
売却決定の日時
令和8年5月26日午前10時00分
売却決定の場所
東京国税局
住居表示等
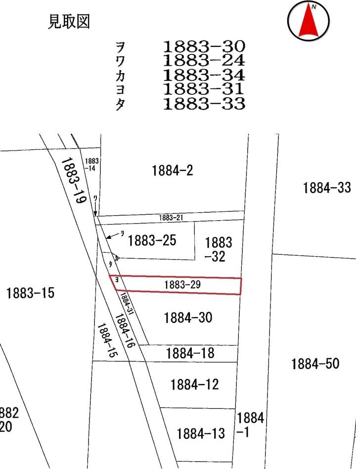
千葉県市川市大野町2丁目1883番29
交通機関
JR (東日本) 武蔵野線 徒歩 10分
面積 (地積) 合計
64.65m² (19.6坪)
主たる地目
雑種地

詳細情報 (個別)

財産番号
1
種別
土地
所在地 (登記簿表示内容)
千葉県市川市大野町二丁目1883番29
地目 (登記簿表示内容)
雑種地
面積 (登記簿表示内容)
59m² (17.8坪)
地盤・地勢
ほぼ平坦地
接道状況
東側 幅員約6.0メートル舗装市管理道路 (建築基準法上の道路)
西側 幅員約4.0メートル舗装私道 (対象物件2を含む。建築基準法の道路ではない。) 各々ほぼ等高接面
使用状況
所有者が資材置場として使用
留意事項
公売は現況有姿により行うものであるため、次の一般的事項を十分ご理解の上、公売へご参加ください。
1. 公売財産については、あらかじめその現況及び関係公簿等を確認してください。
2. 公売財産に財産の種類又は品質に関する不適合があっても、執行機関 (国) は、担保責任を負いません。
3. 執行機関 (国) は、公売財産の引渡義務を負わないため、使用者又は占有者に対して明渡しを求める場合や不動産内にある動産の処理などはすべて買受人の責任において行うことになります。
4. 土地の境界については隣接地所有者と、接面道路 (私道) の利用については道路所有者とそれぞれ協議してください。
5. 土壌汚染やアスベストなどに関する専門的な調査は行っておりません。

なお、売却区分番号内に複数の財産 (財産が一つで所有者を異にする場合を含む。) があるものについては、国税徴収法第89条第3項の規定に基づき、一括換価の方法により公売を行います。
(注)
地盤・地勢、接道状況等は財産 (1筆) 毎ではなく、全体としての状況を記しております。

詳細情報 (個別)

財産番号
2
種別
土地
所在地 (登記簿表示内容)
千葉県市川市大野町二丁目1883番31
地目 (登記簿表示内容)
雑種地
面積 (登記簿表示内容)
5.65m² (1.7坪)

詳細情報 (共通)

公法上の規制
第一種低層住居専用地域
日影規制 (4時間-2.5時間)
宅地造成等工事規制区域
埋蔵文化財包蔵地 (大崎台B遺跡)
特記事項
対象物件1 動産あり
隣接地 (1884番30) にまたがる物置あり
その他事項
公売財産の売却決定は、最高価申込者に係る入札価額をもって行います。

物件に関するお問い合せ先

お問い合せ先
東京 国税局
お問い合せの際には、開札日(令和8年4月21日)と売却区分番号(3933-1)をお申出の上ご照会ください。
担当部署名
特別整理総括第二課
郵便番号
104-8449
所在地
中央区築地5丁目3番1号
電話番号
03-3542-2111
内線
3305、3306、3307
電話受付時間
平日午前9時から午後5時まで

過去の出品

1回目
300万円 (2026.01.21不売)
出典:国税庁ホームページ - (3933-1 千葉県市川市) 土地詳細 | 公売情報

最寄り駅・周辺地図

千葉県市川市 土地の販売価格

取引平均-

近隣の土地落札価格

入札数{{ point.bids }}入札数1{{ point.base }}{{ point.sold }}{{ point.sqm.toLocaleString() }}m²築{{ point.age }}年
周辺には土地の落札履歴がありません。地図をドラッグして範囲や縮尺を変えてお試しください