1,953 物件出品中!

千葉県鎌ケ谷市西道野辺 馬込沢駅19分 「鎌ヶ谷グリーンハイツ」の公売物件
¥ 3,100,000円 マンション 98m²

期間入札 () 130万円 値下げ

実施局署
東京 国税局
見積価額
3,100,000円
公売の方法
期間入札
公売公告番号
74号
公売保証金
400,000円
売却区分番号
3910-1
公売保証金の提供方法
現金等
入札期間
令和8年5月1日午前9時00分 から 令和8年5月14日午後5時00分
入札の場所
東京国税局
必要書類の提出期限 (電子入札の場合)
令和8年5月12日午後5時00分
公売保証金の納付期限
令和8年5月12日午後5時00分
開札期日
令和8年5月19日午前10時00分
開札の場所
東京国税局
買受代金納付期限
令和8年6月3日午後3時00分
売却決定の日時
令和8年6月3日午前10時00分
売却決定の場所
東京国税局
追加入札期間
令和8年5月22日午前9時00分 から 令和8年5月27日午後5時00分
追加入札開札期日
令和8年5月29日午前10時00分
開札の場所
東京国税局
買受代金納付期限
令和8年6月9日午後3時00分
売却決定の日時
令和8年6月9日午前10時00分
売却決定の場所
東京国税局
住居表示等
千葉県鎌ケ谷市西道野辺2番11 鎌ヶ谷グリーンハイツ11号棟205号室
交通機関
東武鉄道 野田線 (東武アーバンパークライン) 北西方約1.5キロメートル
床面積合計
97.86m² (29.6坪)
主たる種類
居宅

詳細情報 (個別)

財産番号
1
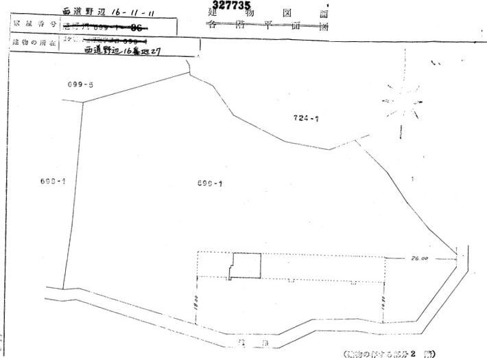
所在地 (登記簿表示内容)
千葉県鎌ケ谷市西道野辺 16番地27
建物の名称 (登記簿表示内容)
構造 (登記簿表示内容)
鉄筋コンクリート造陸屋根5階建
床面積 (登記簿表示内容)
1階 638.20m² (193.1坪)
2階 638.20m² (193.1坪)
3階 638.20m² (193.1坪)
4階 638.20m² (193.1坪)
5階 638.20m² (193.1坪)
地盤・地勢
ほぼ平坦地 (建物の建在部分以外は傾斜地)
接道状況
南側 幅員約12メートル舗装市道 約4.5メートル高位接面
南西側 幅員約6メートル舗装市道 ほぼ等高〜約4.5メートル高位接面
土地の符号 (登記簿表示内容)
8
所在 (登記簿表示内容)
鎌ケ谷市西道野辺16番192
地目 (登記簿表示内容)
雑種地
地積 (登記簿表示内容)
2,583m²
家屋番号 (登記簿表示内容)
西道野辺 16番の11の11
建物番号 (登記簿表示内容)
11の205
種類 (登記簿表示内容)
居宅
構造 (登記簿表示内容)
鉄筋コンクリート造1階建
床面積 (登記簿表示内容)
2階部分97.86m² (29.6坪)
使用状況
昭和49年頃建築の内に所在
所有者の申立てによると、令和7年5月30日現在居住その他の使用がなされていない。
管理状況
「大成有楽不動産株式会社」あて管理委託
月額管理費 (支払期日:前月末日) 4,620円
修繕積立金 (支払期日:前月末日) 10,000円
未納管理費等 (令和8年2月18日現在) なし
管理規約の内容については、「大成有楽不動産株式会社」にお問い合わせください。
(連絡先) マンション管理事業本部 千葉事業部
電話番号 043-238-9662
留意事項
公売は現況有姿により行うものであるため、次の一般的事項を十分ご理解の上、公売へご参加ください。
1. 公売財産については、あらかじめその現況及び関係公簿等を確認してください。
2. 公売財産に財産の種類又は品質に関する不適合があっても、執行機関 (国) は、担保責任を負いません。
3. 執行機関 (国) は、公売財産の引渡義務を負わないため、使用者又は占有者に対して明渡しを求める場合や不動産内にある動産の処理などはすべて買受人の責任において行うことになります。
4. 土地の境界については隣接地所有者と、接面道路 (私道) の利用については道路所有者とそれぞれ協議してください。
5. 土壌汚染やアスベストなどに関する専門的な調査は行っておりません。

なお、売却区分番号内に複数の財産 (財産が一つで所有者を異にする場合を含む。) があるものについては、国税徴収法第89条第3項の規定に基づき、一括換価の方法により公売を行います。
敷地権の表示 - 土地の符号 (登記簿表示内容)
8
敷地権の表示 - 敷地権の種類 (登記簿表示内容)
所有権
敷地権の表示 - 敷地権の割合 (登記簿表示内容)
1444分の1

詳細情報 (共通)

公法上の規制
第1種中高層住居専用地域
第2種高度地区
日影規制 (4時間-2.5時間)
宅地造成等工事規制区域
千葉県建築基準法施行条例第4条 (がけ)
特記事項
一部上空に高圧線あり
その他事項
公売財産の売却決定は、最高価申込者に係る入札価額をもって行います。

公売財産に関するお問い合せ先

お問い合せ先
東京 国税局
お問い合せの際には、開札日(令和8年5月19日)と売却区分番号(3910-1)をお申出の上ご照会ください。
担当部署名
特別整理総括第二課
郵便番号
104-8449
所在地
中央区築地5丁目3番1号
電話番号
03-3542-2111
内線
3305、3306、3307
電話受付時間
平日午前9時から午後5時まで

過去の出品

1回目
440万円 (2026.01.21不売)
出典:国税庁ホームページ - (3910-1 千葉県鎌ケ谷市) 区分所有建物詳細 | 公売情報

最寄り駅・周辺地図

千葉県鎌ケ谷市 マンションの販売価格

取引平均-

近隣のマンション落札価格

入札数{{ point.bids }}入札数1{{ point.base }}{{ point.sold }}{{ point.sqm.toLocaleString() }}m²築{{ point.age }}年
周辺にはマンションの落札履歴がありません。地図をドラッグして範囲や縮尺を変えてお試しください