1,953 物件出品中!

北海道札幌市中央区宮の森一条 円山公園駅26分の公売物件
¥ 4,700,000円 戸建て 123m²

期間入札 (初出品)

実施局署
東京 国税局
見積価額
4,700,000円
公売の方法
期間入札
公売公告番号
74号
公売保証金
500,000円
売却区分番号
4036-1
公売保証金の提供方法
現金等
入札期間
令和8年5月1日午前9時00分 から 令和8年5月14日午後5時00分
入札の場所
東京国税局
必要書類の提出期限 (電子入札の場合)
令和8年5月12日午後5時00分
公売保証金の納付期限
令和8年5月12日午後5時00分
開札期日
令和8年5月19日午前10時00分
開札の場所
東京国税局
買受代金納付期限
令和8年6月3日午後3時00分
売却決定の日時
令和8年6月3日午前10時00分
売却決定の場所
東京国税局
追加入札期間
令和8年5月22日午前9時00分 から 令和8年5月27日午後5時00分
追加入札開札期日
令和8年5月29日午前10時00分
開札の場所
東京国税局
買受代金納付期限
令和8年6月9日午後3時00分
売却決定の日時
令和8年6月9日午前10時00分
売却決定の場所
東京国税局
住居表示等
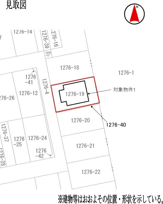
北海道札幌市中央区宮の森一条16丁目1番12号
交通機関
札幌市営地下鉄 東西線 南西方約2.1キロメートル
床面積合計
123.21m² (37.3坪)
主たる種類
居宅

詳細情報 (個別)

財産番号
1
種類 (登記簿表示内容)
居宅
所在地 (登記簿表示内容)
北海道札幌市中央区宮の森一条十六丁目 1276番地19
家屋番号 (登記簿表示内容)
1276番19
構造 (登記簿表示内容)
木・鉄筋コンクリート造亜鉛メッキ鋼板葺地下1階付2階建
床面積 (登記簿表示内容)
1階 55.08m² (16.7坪)
2階 42.93m² (13.0坪)
地下1階 25.20m² (7.6坪)
地盤・地勢
ほぼ平坦地 (約3.0メートルの段差あり)
接道状況
西側 幅員約4.4メートル舗装市道 ほぼ等高〜約5.0メートル高位接面
使用状況
対象物件1 平成7年頃建築
所有者の申立てによると、令和7年12月10日現在居住その他の使用がなされていない。
対象物件2 件外土地 (1276番40) とともに対象物件1の敷地として使用
現行地代 (月額) 19,545円 (1276番19に係る額)
対象物件2の所有者の申立てによると、未払地代あり。
対象物件2
(土地の権利)
以下不動産にかかる平成4年7月29日札幌法務局受付第10975号順位2番の法定地上権
所在 北海道札幌市中央区宮の森一条十六丁目
地番 1276番19
地目 宅地
地積 158.90m²
留意事項
公売は現況有姿により行うものであるため、次の一般的事項を十分ご理解の上、公売へご参加ください。
1. 公売財産については、あらかじめその現況及び関係公簿等を確認してください。
2. 公売財産に財産の種類又は品質に関する不適合があっても、執行機関 (国) は、担保責任を負いません。
3. 執行機関 (国) は、公売財産の引渡義務を負わないため、使用者又は占有者に対して明渡しを求める場合や不動産内にある動産の処理などはすべて買受人の責任において行うことになります。
4. 土地の境界については隣接地所有者と、接面道路 (私道) の利用については道路所有者とそれぞれ協議してください。
5. 土壌汚染やアスベストなどに関する専門的な調査は行っておりません。

なお、売却区分番号内に複数の財産 (財産が一つで所有者を異にする場合を含む。) があるものについては、国税徴収法第89条第3項の規定に基づき、一括換価の方法により公売を行います。

詳細情報 (共通)

公法上の規制
第一種低層住居専用地域
北側斜線高度地区
土砂災害特別警戒区域
宅地造成等工事規制区域
戸建住環境保全地区
風致地区 (北海道神宮風致地区第二種)
緑保全創出地域 (居住系市街地)
特記事項
公売により件外土地 (1276番40) に係る平成4年7月29日札幌法務局受付第10975号順位2番の地上権につき、対象物件1のために法定賃借権が成立する。
件外土地 (1276番40) の所有者の申立てによると、当該土地の地上権について未払地代がある。
土砂災害警戒区域
対象物件1 間取り不詳
見積価額の内訳
対象物件1 3,378,830円
対象物件2 1,321,170円
その他事項
公売財産の売却決定は、最高価申込者に係る入札価額をもって行います。

公売財産に関するお問い合せ先

お問い合せ先
東京 国税局
お問い合せの際には、開札日(令和8年5月19日)と売却区分番号(4036-1)をお申出の上ご照会ください。
担当部署名
特別整理総括第二課
郵便番号
104-8449
所在地
中央区築地5丁目3番1号
電話番号
03-3542-2111
内線
3305、3306、3307
電話受付時間
平日午前9時から午後5時まで
出典:国税庁ホームページ - (4036-1 北海道札幌市中央区) 建物詳細 | 公売情報

最寄り駅・周辺地図

北海道札幌市中央区 戸建ての販売価格

取引平均-

近隣の戸建て落札価格

入札数{{ point.bids }}入札数1{{ point.base }}{{ point.sold }}{{ point.sqm.toLocaleString() }}m²築{{ point.age }}年
周辺には戸建ての落札履歴がありません。地図をドラッグして範囲や縮尺を変えてお試しください