2,229 物件出品中!

長野県上田市芳田 大屋駅の競売物件
¥ 980,000円 土地 694m²

長野県上田市芳田 大屋駅の競売物件

911,000円
で売却されました
2026年4月22日(水)

期間入札 (初出品)

管轄裁判所
長野地方裁判所上田支部
事件番号
令和06年(ヌ)第15号
売却基準価額
980,000円
買受申出保証額
196,000円
買受可能価額
784,000円

売却結果

売却価額
911,000円
開札結果
売却
入札者数
1人
落札者資格
法人
開札日
2026年4月22日(水)

物件概要

所在地
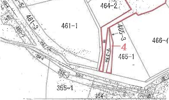
長野県上田市芳田字柴崎463番
評価上の交通
しなの鉄道線「大屋」駅 略北方 道路距離 約4,600m
参考交通
-
土地面積
694.22m² (210.0坪)
地目
宅地
用途地域
都市計画区域内無指定
物件番号
  • 1. 土地 (売却外物件あり)
  • 2〜4. 土地

物件詳細

物件番号
1
種別
土地 売却外物件あり
所在地
上田市芳田字柴崎 463番
地目 (登記)
宅地
地目 (現況)
-
土地面積 (登記)
413.22m² (125.0坪)
土地面積 (現況)
-
用途地域
都市計画区域内無指定
土地の利用状況
-
建ぺい率
60%
容積率
200%
持分
-
物件番号
2
種別
土地
所在地
上田市芳田字柴崎 464番1
地目 (登記)
宅地
地目 (現況)
-
土地面積 (登記)
119m² (36.0坪)
土地面積 (現況)
-
用途地域
都市計画区域内無指定
土地の利用状況
-
建ぺい率
60%
容積率
200%
持分
-
物件番号
3
種別
土地
所在地
上田市芳田字柴崎 464番2
地目 (登記)
地目 (現況)
宅地
土地面積 (登記)
142m² (43.0坪)
土地面積 (現況)
-
用途地域
都市計画区域内無指定
土地の利用状況
-
建ぺい率
60%
容積率
200%
持分
-
物件番号
4
種別
土地
所在地
上田市芳田字柴崎 465番3
地目 (登記)
地目 (現況)
宅地
土地面積 (登記)
20m² (6.1坪)
土地面積 (現況)
-
用途地域
都市計画区域内無指定
土地の利用状況
-
建ぺい率
60%
容積率
200%
持分
-
注意事項
本詳細情報画面の内容については、必ず物件資料3点セット(物件明細書、現況調査報告書及び評価書等)をダウンロードの上、ご確認ください(民事執行法63条2項1号の申出がある場合等があります)。本システムからダウンロードした「現況調査報告書」及び「評価書」に引用されている写真、資料及び図面は、本システム上は添付されていない場合があります。

売却スケジュール

売却実施処分日
2026年3月3日(火)
公告日
2026年3月26日(木)
閲覧開始日
2026年3月26日(木)
入札期間
2026年4月10日(金)〜4月17日(金)
開札日
2026年4月22日(水)
特別売却期間
2026年4月24日(金)のみ
売却決定日
2026年5月13日(水)
確定日
2026年5月21日(木)
状態
終了
スケジュール
競売スケジュール
出典:裁判所BIT 不動産競売物件情報

最寄り駅・周辺地図

長野県上田市 土地の販売価格

取引平均-

近隣の土地落札価格

入札数{{ point.bids }}入札数1{{ point.base }}{{ point.sold }}{{ point.sqm.toLocaleString() }}m²築{{ point.age }}年
周辺には土地の落札履歴がありません。地図をドラッグして範囲や縮尺を変えてお試しください