1,765 物件出品中!

福岡県中間市朝霧 東中間駅8分の公売物件
¥ 2,267,000円 戸建て 84m²

福岡県中間市朝霧 東中間駅8分の官公庁公売物件

不売になりました
2026年5月18日(月)

インターネット公売 ()

価額情報

落札価額 (最高入札価額)
-円
入札件数
0
次順位買受申込価額
-円
次順位買受申込者
該当なし
見積価額
2,267,000円
公売保証金
230,000円

スケジュール

参加申し込み受付期間
2026年4月14日13時0分 〜 2026年4月27日23時0分
入札期間
2026年5月11日13時0分 〜 2026年5月18日13時0分
買受代金納付期限
2026年6月8日14時30分

代金納付方法

公売保証金納付方法
クレジットカード
買受代金納付方法
銀行振込 直接持参
オークション種別
インターネット公売
実施方法
入札形式
執行機関名称
中間市
売却区分番号
A-1
支払い方法
銀行振込 直接持参

物件情報

物件の種類
土地付建物
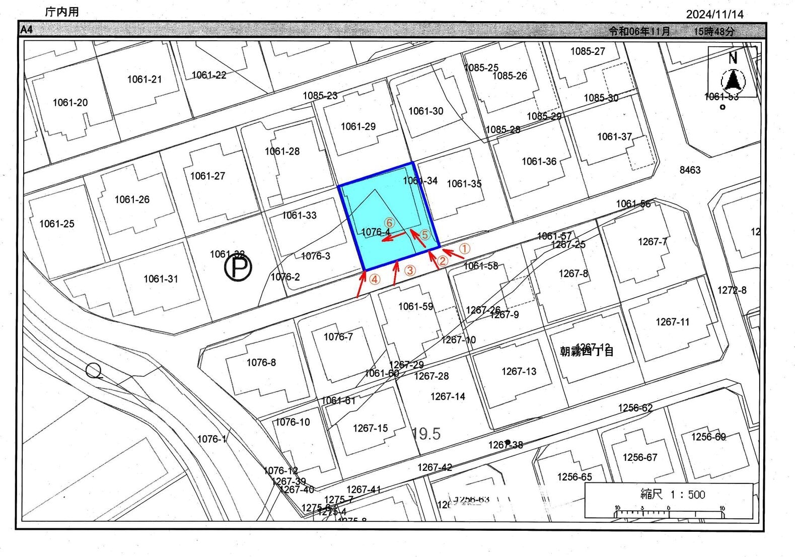
物件の所在
福岡県

不動産の基本情報

登記簿の表示
(土地の表示)
所在 福岡県中間市朝霧四丁目
地番 1061番34
地目 宅地
地積 131.14m²

(土地の表示)
所在 福岡県中間市朝霧四丁目
地番 1076番4
地目 宅地
地積 109.80m²

(建物の表示)
所在 福岡県中間市朝霧四丁目1061番地34、1076番地4
家屋 番号 1061番34
種類 居宅
構造 木造瓦葺平家建
床面積 83.72m²
所在地
福岡県中間市朝霧四丁目1061番地34、中間市朝霧四丁目1076番地4
住居表示
福岡県中間市朝霧四丁目18番22号
交通、最寄り駅など
筑豊電鉄から徒歩約15分
現況
中間市役所から東に約2kmに位置する。

近隣の公共施設
・新中間病院:北へ徒歩約20分
・中間市立中間南中学校:東へ徒歩約10分

土地の情報

土地面積 (㎡)
240.94 (登記簿)
土地権利
所有権
土地持分
1/1
地目
宅地
都市計画地域
市街化区域
用途地域
第一種低層住居専用地域 (住居と一部公共施設のみ建築可能)
建ぺい率 (%)
50
容積率 (%)
80
防火地域
不明
その他法令などの規制
建築基準法第22条指定区域
地勢など
住宅地にある整形地です。
幅員、接道状況
南側:市道通谷団地24号線に接続 (幅員4.3m)
供給処理施設
上水道:引き込みあり (中間市上水道課)
下水道:引き込みなし (中間市下水道課) 前面道路に下水道管あり
都市ガス:供給区域 (西部ガス)

詳細は、関係企業者および関係行政機関にご確認ください。
その他土地に関する物件情報
(重要事項)
1. 土地は2筆で構成されています。
2. 面積は公簿表示によるものです。
3. 土地汚染等を含め地中の詳細は不明です。
4. 建物の解体費、樹木の撤去費等の費用は買受人の負担となります。
5. 建物等を建築する場合、必要な事項 (建築確認等) は、関係機関と協議を行ってください。

建物の情報

建物面積
83.72m² (25.3坪)
構造
木造
建築年月
昭和46年 (1971年) 8月
階建/階
1階建
総戸数
1戸
間取り
不明
その他建物に関する物件情報
(重要事項)
1. 市は、建物を使用している者に対し立ち退き等手続きは行いませんので、すべて買受人の責任において使用者等と協議してください。また、協議後、明渡し等を求める場合においても、すべて買受人の責任において行うこととなります。
2. 令和8年3月1日時点では居住の実態はありません。しかしながら買受人自身でご確認いただきますようお願いします。
3. 面積は公簿表示によるものです。
4. 建物の解体費、草木撤去等の費用は買受人の負担となります。
5. 建物内の家財道具等については、買受人の責任のもとで処分を行ってください。

物件に関するお問い合わせ先

出品行政機関
中間市役所
担当部署
収納課滞納整理係
メールアドレス
syuunouka@city.nakama.lg.jp
電話
093-244-1111
(内線 1162)
受付時間
午前9時〜午後5時 (平日のみ)
備考
-

補足事項

共通説明文
※中間市インターネット公売、ガイドラインを必ずお読みいただき、同意した上で公売に参加してください。

[公売保証金の納付について]
・納付方法 クレジットカードにて決済を行ってください。
・公売保証金納付期限 令和8年4月27日(月) 23時まで
※公売保証金の納付がないと、当該物件の入札に参加することができません。

[買受代金の納付について]
・買受代金 落札価額から公売保証金額を差し引いた金額
・買受代金納付期限 令和8年6月8日(月) 14時30分まで
・納付方法 ① 中間市が指定する銀行口座へ振込む方法
② 中間市役所収納課へ直接持参する方法
・注意事項
・期限までに納付が確認できるよう一括納付してください。
・期限までに納付が確認できない場合、公売保証金は没収となります。
・期限までに納付が確認できなかった買受人は、以後2年間、中間市の公売に参加することができません。

[必要書類の提出について]
・必要書類・誓約書兼同意書
・提出方法・書留郵便 (郵便料は申込者の負担)
・提出期限・令和8年5月8日(金) 必着
※必要書類については参加申込後、登録メールアドレスに様式を送ります。
※必要書類の提出がないとき、当該物件の入札に参加することはできません。

[その他について]
・以下の点においては、買受人の負担となりますので、ご確認ください。
・権利移転に必要な費用 (移転登記の登録免許税など)
・以下の点においては、中間市は一切の責任を負いませんので、ご確認ください。
・公売財産内の残置動産や工作物の撤去、ごみ等の撤去、埋設物の撤去、占有者の立ち退きなどがある場合。
・公売財産に瑕疵があった場合。
※中間市は、公売財産の引渡しの義務を負わないため、使用者又は占有者に対して明渡しを求める場合や不動産内にある動産の処理などはすべて買受人の責任において行うこととなります。
・物件に関する注意点
・現況有姿での公売となります。
・図面等と現況が異なる場合は現況を優先します。
・落札後の注意点
・中間市は、買受人の請求に基づいて、不動産登記簿上の権利移転のみを行います。
・購入後は、不動産取得税、固定資産税などが別途課税されます。
・隣地との境界確定は、買受人と隣地所有者との間で行ってください。また、接面道路 (私道) の利用については道路所有者とそれぞれ協議してください。中間市は一切関与いたしません。
・その他
・現地説明会は実施しません。必ず現地を確認のうえ、入札にご参加ください。
・下記に挙げる事項について専門的な調査は行っていません。
土壌調査、地下埋設物調査、地盤調査、アスベスト調査、シロアリ被害調査、不法投棄調査
・現地や現況、関係公簿、諸規制等について必ず買受希望者において十分に調査確認を行ってください。
・公売財産に財産の種類又は品質に関する不適合があっても、中間市は、担保責任を負いません。
・公売手続きを中止することがありますので、随時中間市ホームページにて公売中止の有無をご確認ください。

過去の出品

1回目
375万円 (2025.02.10不売)
2回目
296万円 (2025.05.20不売)
3回目
259万円 (2025.09.24不売)
4回目
227万円 (2026.02.09不売)
出典:官公庁オークション - (土地建物)福岡県中間市朝霧四丁目:中間市のインターネット公売物件詳細

最寄り駅・周辺地図

福岡県中間市 戸建ての販売価格

取引平均-

近隣の戸建て落札価格

入札数{{ point.bids }}入札数1{{ point.base }}{{ point.sold }}{{ point.sqm.toLocaleString() }}m²築{{ point.age }}年
周辺には戸建ての落札履歴がありません。地図をドラッグして範囲や縮尺を変えてお試しください