1,694 物件出品中!

滋賀県草津市木川町 草津駅29分の競売物件
¥ 4,980,000円 土地 149m²

期間入札 (初出品)

管轄裁判所
大津地方裁判所本庁
事件番号
令和07年(ケ)第48号
売却基準価額
4,980,000円
買受申出保証額
996,000円
買受可能価額
3,984,000円

物件概要

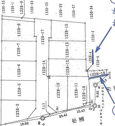
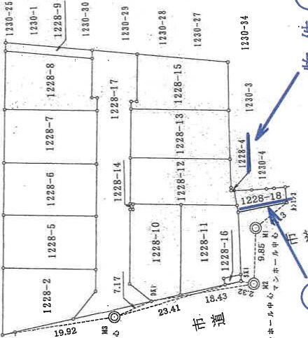
所在地
滋賀県草津市木川町字中林1228番18
評価上の交通
JR東海道本線「」駅 西方 道路距離 約2700m
参考交通
JR草津線 西方 2.17km
JR東海道本線 北方 2.89km
土地面積
148.52m² (44.9坪)
地目
宅地
用途地域
第一種中高層住居専用地域 (アパートやマンションの建築が可能)
物件番号
  • 1〜3. 土地

物件詳細

物件番号
1
種別
土地
所在地
草津市木川町字中林 1228番18
家屋番号
-
地目 (登記)
宅地
地目 (現況)
-
土地面積 (登記)
29.62m² (9.0坪)
土地面積 (現況)
-
用途地域
第一種中高層住居専用地域 (アパートやマンションの建築が可能)
土地の利用状況
更地
建ぺい率
60%
容積率
200%
持分
-
物件番号
2
種別
土地
所在地
草津市木川町字中林 1228番4
家屋番号
-
地目 (登記)
宅地
地目 (現況)
-
土地面積 (登記)
0.30m² (0.1坪)
土地面積 (現況)
-
用途地域
第一種中高層住居専用地域 (アパートやマンションの建築が可能)
土地の利用状況
更地
建ぺい率
60%
容積率
200%
持分
-
物件番号
3
種別
土地
所在地
草津市木川町字中林 1230番4
家屋番号
-
地目 (登記)
宅地
地目 (現況)
-
土地面積 (登記)
118.60m² (35.9坪)
土地面積 (現況)
-
用途地域
第一種中高層住居専用地域 (アパートやマンションの建築が可能)
土地の利用状況
更地
建ぺい率
60%
容積率
200%
持分
-
注意事項
本詳細情報画面の内容については、必ず物件資料3点セット(物件明細書、現況調査報告書及び評価書等)をダウンロードの上、ご確認ください(民事執行法63条2項1号の申出がある場合等があります)。本システムからダウンロードした「現況調査報告書」及び「評価書」に引用されている写真、資料及び図面は、本システム上は添付されていない場合があります。

売却スケジュール

売却実施処分日
2026年3月25日(水)
公告日
2026年4月21日(火)
閲覧開始日
2026年4月21日(火)
入札期間
2026年5月12日(火)〜5月19日(火)
開札日
2026年5月26日(火)
特別売却期間
2026年5月29日(金)のみ
売却決定日
2026年6月16日(火)
確定日
2026年6月24日(水)
状態
閲覧可能
スケジュール
競売スケジュール
出典:裁判所BIT 不動産競売物件情報

最寄り駅・周辺地図

滋賀県草津市 土地の販売価格

取引平均-

近隣の土地落札価格

入札数{{ point.bids }}入札数1{{ point.base }}{{ point.sold }}{{ point.sqm.toLocaleString() }}m²築{{ point.age }}年
周辺には土地の落札履歴がありません。地図をドラッグして範囲や縮尺を変えてお試しください