{{ point.ended }}
{{ character(index) }}
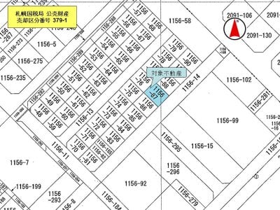
{{ point.price }} {{ point.group }} {{ point.sqm.toLocaleString() }}m²({{ timesText(point.pasts) }})
{{ point.address }}
- {{ point.exhibitor }}
- {{ point.views }}
- {{ point.favorites }}

