2,156 物件出品中!

埼玉県加須市船越 花崎駅15分の公売物件
¥ 21,100,000円 土地 33,400m²

期間入札 (初出品)

実施局署
関東信越 国税局
見積価額
21,100,000円
公売の方法
期間入札
公売公告番号
02号
公売保証金
3,000,000円
売却区分番号
1876-2
公売保証金の提供方法
現金等
入札期間
令和8年7月21日午前9時00分 から 令和8年7月29日午後5時00分
入札の場所
関東信越国税局又は公売情報ホームページ
必要書類の提出期限 (電子入札の場合)
令和8年7月24日午後5時00分
公売保証金の納付期限
令和8年7月24日午後5時00分
開札期日
令和8年8月4日午前10時00分
開札の場所
関東信越国税局
買受代金納付期限
令和8年8月20日午後2時00分
売却決定の日時
令和8年8月20日午前9時00分
売却決定の場所
関東信越国税局
追加入札期間
令和8年8月10日午前9時00分 から 令和8年8月13日午後5時00分
追加入札開札期日
令和8年8月18日午前10時00分
開札の場所
関東信越国税局
買受代金納付期限
令和8年9月3日午後2時00分
売却決定の日時
令和8年9月3日午前9時00分
売却決定の場所
関東信越国税局
住居表示等
埼玉県加須市船越26番
交通機関
東武鉄道 伊勢崎線 (東武スカイツリーライン) 南西方約1.4キロメートル
面積 (地積) 合計
33,400.47m² (10,103.6坪)
主たる地目
雑種地

詳細情報 (個別)

財産番号
1
種別
土地
所在地 (登記簿表示内容)
埼玉県加須市船越字下台26番
地目 (登記簿表示内容)
雑種地
面積 (登記簿表示内容)
681m² (206.0坪)
地盤・地勢
ほぼ平坦
接道状況
西側から南側 幅員約4.0メートル 舗装市道 ほぼ等高接面
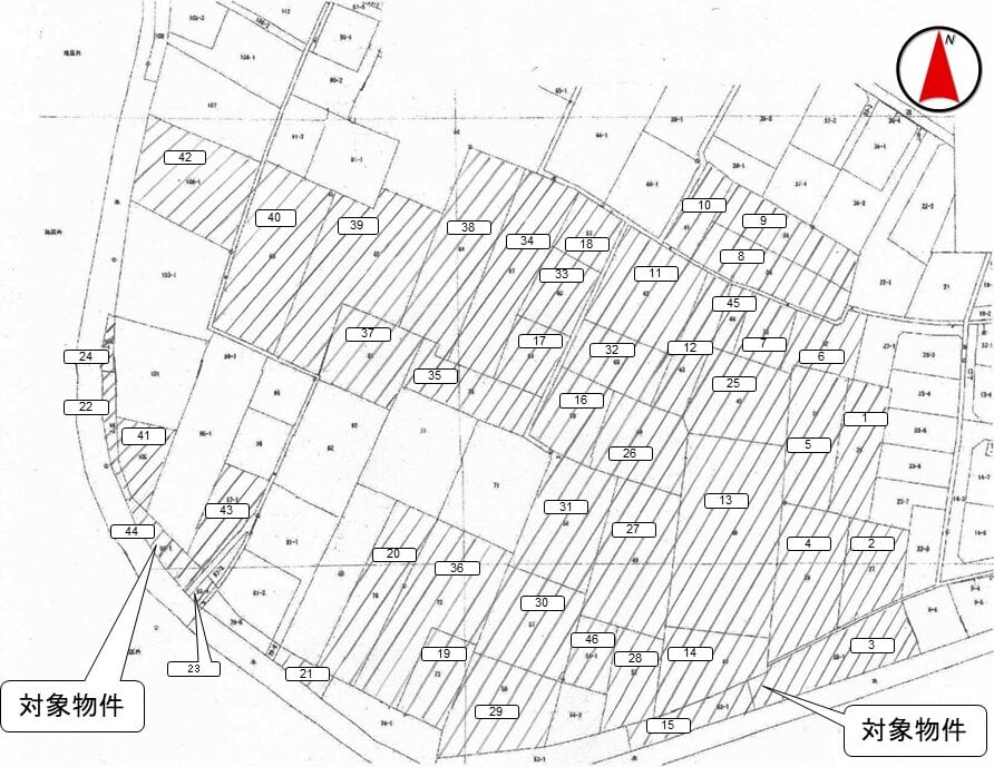
対象物件11、16及び32と対象物件17、18、33及び35の間
幅員約1.8メートル 未舗装市道 ほぼ等高接面
対象物件40と対象物件42の間
幅員約2.0メートル 未舗装市道 ほぼ等高接面
対象物件23と対象物件44の間
幅員約2.0メートル 未舗装市道 ほぼ等高接面
当該各未舗装市道は、建築基準法上の道路に該当しません。
使用状況
1. 複数の第三者及び物件所有者が所有する太陽光発電パネルが設置されています。
複数の第三者との賃貸借契約の内容及び金銭の授受は不明です。
2. 対象物件6、7、11、12及び45と対象物件8及び10の間に水路が介在しています。
管理状況
-

詳細情報 (個別)

財産番号
2
種別
土地
所在地 (登記簿表示内容)
埼玉県加須市船越字下台27番
地目 (登記簿表示内容)
雑種地
面積 (登記簿表示内容)
615m² (186.0坪)

詳細情報 (個別)

財産番号
3
種別
土地
所在地 (登記簿表示内容)
埼玉県加須市船越字下台28番1
地目 (登記簿表示内容)
雑種地
面積 (登記簿表示内容)
871m² (263.5坪)

詳細情報 (個別)

財産番号
4
種別
土地
所在地 (登記簿表示内容)
埼玉県加須市船越字下台29番
地目 (登記簿表示内容)
雑種地
面積 (登記簿表示内容)
1,054m² (318.8坪)

詳細情報 (個別)

財産番号
5
種別
土地
所在地 (登記簿表示内容)
埼玉県加須市船越字下台31番
地目 (登記簿表示内容)
雑種地
面積 (登記簿表示内容)
832m² (251.7坪)

詳細情報 (個別)

財産番号
6
種別
土地
所在地 (登記簿表示内容)
埼玉県加須市船越字下台32番
地目 (登記簿表示内容)
雑種地
面積 (登記簿表示内容)
463m² (140.1坪)

詳細情報 (個別)

財産番号
7
種別
土地
所在地 (登記簿表示内容)
埼玉県加須市船越字下台33番
地目 (登記簿表示内容)
雑種地
面積 (登記簿表示内容)
354m² (107.1坪)

詳細情報 (個別)

財産番号
8
種別
土地
所在地 (登記簿表示内容)
埼玉県加須市船越字下台34番
地目 (登記簿表示内容)
雑種地
面積 (登記簿表示内容)
718m² (217.2坪)

詳細情報 (個別)

財産番号
9
種別
土地
所在地 (登記簿表示内容)
埼玉県加須市船越字下台35番
地目 (登記簿表示内容)
雑種地
面積 (登記簿表示内容)
692m² (209.3坪)

詳細情報 (個別)

財産番号
10
種別
土地
所在地 (登記簿表示内容)
埼玉県加須市船越字下台41番
地目 (登記簿表示内容)
雑種地
面積 (登記簿表示内容)
323m² (97.7坪)

詳細情報 (個別)

財産番号
11
種別
土地
所在地 (登記簿表示内容)
埼玉県加須市船越字下台42番
地目 (登記簿表示内容)
雑種地
面積 (登記簿表示内容)
1,031m² (311.9坪)

詳細情報 (個別)

財産番号
12
種別
土地
所在地 (登記簿表示内容)
埼玉県加須市船越字下台43番
地目 (登記簿表示内容)
雑種地
面積 (登記簿表示内容)
506m² (153.1坪)

詳細情報 (個別)

財産番号
13
種別
土地
所在地 (登記簿表示内容)
埼玉県加須市船越字下台46番
地目 (登記簿表示内容)
雑種地
面積 (登記簿表示内容)
2,220m² (671.6坪)

詳細情報 (個別)

財産番号
14
種別
土地
所在地 (登記簿表示内容)
埼玉県加須市船越字下台47番
地目 (登記簿表示内容)
雑種地
面積 (登記簿表示内容)
768m² (232.3坪)

詳細情報 (個別)

財産番号
15
種別
土地
所在地 (登記簿表示内容)
埼玉県加須市船越字下台52番1
地目 (登記簿表示内容)
雑種地
面積 (登記簿表示内容)
386m² (116.8坪)

詳細情報 (個別)

財産番号
16
種別
土地
所在地 (登記簿表示内容)
埼玉県加須市船越字下台59番
地目 (登記簿表示内容)
雑種地
面積 (登記簿表示内容)
565m² (170.9坪)

詳細情報 (個別)

財産番号
17
種別
土地
所在地 (登記簿表示内容)
埼玉県加須市船越字下台61番
地目 (登記簿表示内容)
雑種地
面積 (登記簿表示内容)
416m² (125.8坪)

詳細情報 (個別)

財産番号
18
種別
土地
所在地 (登記簿表示内容)
埼玉県加須市船越字下台63番
地目 (登記簿表示内容)
雑種地
面積 (登記簿表示内容)
369m² (111.6坪)

詳細情報 (個別)

財産番号
19
種別
土地
所在地 (登記簿表示内容)
埼玉県加須市船越字下台73番
地目 (登記簿表示内容)
雑種地
面積 (登記簿表示内容)
500m² (151.3坪)

詳細情報 (個別)

財産番号
20
種別
土地
所在地 (登記簿表示内容)
埼玉県加須市船越字下台78番
地目 (登記簿表示内容)
雑種地
面積 (登記簿表示内容)
899m² (271.9坪)

詳細情報 (個別)

財産番号
21
種別
土地
所在地 (登記簿表示内容)
埼玉県加須市船越字下台79番1
地目 (登記簿表示内容)
雑種地
面積 (登記簿表示内容)
138m² (41.7坪)

詳細情報 (個別)

財産番号
22
種別
土地
所在地 (登記簿表示内容)
埼玉県加須市船越字上台99番2
地目 (登記簿表示内容)
雑種地
面積 (登記簿表示内容)
159m² (48.1坪)

詳細情報 (個別)

財産番号
23
種別
土地
所在地 (登記簿表示内容)
埼玉県加須市船越字上台99番4
地目 (登記簿表示内容)
宅地
面積 (登記簿表示内容)
38.47m² (11.6坪)

詳細情報 (個別)

財産番号
24
種別
土地
所在地 (登記簿表示内容)
埼玉県加須市船越字上台104番1
地目 (登記簿表示内容)
面積 (登記簿表示内容)
61m² (18.5坪)

詳細情報 (個別)

財産番号
25
種別
土地
所在地 (登記簿表示内容)
埼玉県加須市船越字下台45番
地目 (登記簿表示内容)
雑種地
面積 (登記簿表示内容)
889m² (268.9坪)

詳細情報 (個別)

財産番号
26
種別
土地
所在地 (登記簿表示内容)
埼玉県加須市船越字下台48番
地目 (登記簿表示内容)
雑種地
面積 (登記簿表示内容)
787m² (238.1坪)

詳細情報 (個別)

財産番号
27
種別
土地
所在地 (登記簿表示内容)
埼玉県加須市船越字下台49番
地目 (登記簿表示内容)
雑種地
面積 (登記簿表示内容)
1,230m² (372.1坪)

詳細情報 (個別)

財産番号
28
種別
土地
所在地 (登記簿表示内容)
埼玉県加須市船越字下台51番
地目 (登記簿表示内容)
雑種地
面積 (登記簿表示内容)
523m² (158.2坪)

詳細情報 (個別)

財産番号
29
種別
土地
所在地 (登記簿表示内容)
埼玉県加須市船越字下台56番
地目 (登記簿表示内容)
雑種地
面積 (登記簿表示内容)
1,010m² (305.5坪)

詳細情報 (個別)

財産番号
30
種別
土地
所在地 (登記簿表示内容)
埼玉県加須市船越字下台57番
地目 (登記簿表示内容)
雑種地
面積 (登記簿表示内容)
914m² (276.5坪)

詳細情報 (個別)

財産番号
31
種別
土地
所在地 (登記簿表示内容)
埼玉県加須市船越字下台58番
地目 (登記簿表示内容)
雑種地
面積 (登記簿表示内容)
1,029m² (311.3坪)

詳細情報 (個別)

財産番号
32
種別
土地
所在地 (登記簿表示内容)
埼玉県加須市船越字下台60番
地目 (登記簿表示内容)
雑種地
面積 (登記簿表示内容)
589m² (178.2坪)

詳細情報 (個別)

財産番号
33
種別
土地
所在地 (登記簿表示内容)
埼玉県加須市船越字下台62番
地目 (登記簿表示内容)
雑種地
面積 (登記簿表示内容)
468m² (141.6坪)

詳細情報 (個別)

財産番号
34
種別
土地
所在地 (登記簿表示内容)
埼玉県加須市船越字下台67番
地目 (登記簿表示内容)
雑種地
面積 (登記簿表示内容)
1,185m² (358.5坪)

詳細情報 (個別)

財産番号
35
種別
土地
所在地 (登記簿表示内容)
埼玉県加須市船越字下台70番
地目 (登記簿表示内容)
雑種地
面積 (登記簿表示内容)
670m² (202.7坪)

詳細情報 (個別)

財産番号
36
種別
土地
所在地 (登記簿表示内容)
埼玉県加須市船越字下台72番
地目 (登記簿表示内容)
雑種地
面積 (登記簿表示内容)
1,427m² (431.7坪)

詳細情報 (個別)

財産番号
37
種別
土地
所在地 (登記簿表示内容)
埼玉県加須市船越字下台83番
地目 (登記簿表示内容)
雑種地
面積 (登記簿表示内容)
758m² (229.3坪)

詳細情報 (個別)

財産番号
38
種別
土地
所在地 (登記簿表示内容)
埼玉県加須市船越字下台84番
地目 (登記簿表示内容)
雑種地
面積 (登記簿表示内容)
1,335m² (403.8坪)

詳細情報 (個別)

財産番号
39
種別
土地
所在地 (登記簿表示内容)
埼玉県加須市船越字下台85番
地目 (登記簿表示内容)
雑種地
面積 (登記簿表示内容)
1,756m² (531.2坪)

詳細情報 (個別)

財産番号
40
種別
土地
所在地 (登記簿表示内容)
埼玉県加須市船越字下台93番
地目 (登記簿表示内容)
雑種地
面積 (登記簿表示内容)
1,427m² (431.7坪)

詳細情報 (個別)

財産番号
41
種別
土地
所在地 (登記簿表示内容)
埼玉県加須市船越字上台100番
地目 (登記簿表示内容)
雑種地
面積 (登記簿表示内容)
383m² (115.9坪)

詳細情報 (個別)

財産番号
42
種別
土地
所在地 (登記簿表示内容)
埼玉県加須市船越字上台106番1
地目 (登記簿表示内容)
雑種地
面積 (登記簿表示内容)
1,181m² (357.3坪)

詳細情報 (個別)

財産番号
43
種別
土地
所在地 (登記簿表示内容)
埼玉県加須市船越字上台97番1
地目 (登記簿表示内容)
面積 (登記簿表示内容)
450m² (136.1坪)

詳細情報 (個別)

財産番号
44
種別
土地
所在地 (登記簿表示内容)
埼玉県加須市船越字上台99番1
地目 (登記簿表示内容)
雑種地
面積 (登記簿表示内容)
234m² (70.8坪)

詳細情報 (個別)

財産番号
45
種別
土地
所在地 (登記簿表示内容)
埼玉県加須市船越字下台44番
地目 (登記簿表示内容)
雑種地
面積 (登記簿表示内容)
168m² (50.8坪)

詳細情報 (個別)

財産番号
46
種別
土地
所在地 (登記簿表示内容)
埼玉県加須市船越字下台54番1
地目 (登記簿表示内容)
面積 (登記簿表示内容)
328m² (99.2坪)

詳細情報 (共通)

公法上の規制
市街化調整区域
建ぺい率 60% 容積率 200%
都市計画法第34条第11号区域
都市計画法第34条第12号区域
埼玉県景観条例 (圏央道以北高速道路沿線区域)
宅地造成等工事規制区域
加須市ハザードマップ (利根川洪水想定浸水深0.5から3.0メートル未満)
特記事項
1. 対象物件24、43及び46
登記上の地目は農地ですが、現況は非農地です。
買受適格証明書の提出は不要です。
2. 対象物件24
次のとおり転用許可がされています。
許可条項 農地法第5条
許可年月日 令和2年8月5日
転用目的 太陽光発電施設
3. 対象物件43
次のとおり転用許可がされています。
許可条項 農地法第5条
許可年月日 令和5年2月13日
転用目的 太陽光発電施設
4. 対象物件46
次のとおり転用許可がされています。
許可条項 農地法第5条
許可年月日 令和6年6月5日
転用目的 太陽光発電施設
その他事項
公売財産の売却決定は、最高価申込者に係る入札価額をもって行います。
一括換価について
対象物件は、国税徴収法第89条第3項の規定に基づき一括換価の方法により公売を行います。
なお、見積価額の内訳は以下のとおりです。
対象物件1から24及び44から46 9,700,000円
対象物件25から43 11,400,000円
留意事項
公売は現況有姿により行うものであるため、次の一般的事項を十分ご理解の上、公売へご参加ください。
1. 公売財産の面積等は公簿上によるものです。あらかじめその現況及び関係公簿等を確認してください。
2. 公売財産の種類又は品質に関する不適合があっても、執行機関 (国) は、担保責任等を負いません。
3. 執行機関 (国) は、公売財産の引渡しの義務を負わないため、使用者又は占有者に対して明渡しを求める場合や不動産内にある動産の処理などはすべて買受人の責任において行うことになります。
4. 土地の境界については隣接地所有者と、接面道路 (私道) の利用については道路所有者とそれぞれ協議してください。
5. 土壌汚染やアスベストなどに関する専門的な調査は行っておりません。

物件に関するお問い合せ先

お問い合せ先
関東信越 国税局
お問い合せの際には、開札日(令和8年8月4日)と売却区分番号(1876-2)をお申出の上ご照会ください。
担当部署名
特別整理総括第二課
郵便番号
330-9719
所在地
さいたま市中央区新都心1番地1さいたま新都心合同庁舎1号館
電話番号
048-600-3111
内線
2593
電話受付時間
平日午前9時から午後5時まで
出典:国税庁ホームページ - (1876-2 埼玉県加須市) 土地詳細 | 公売情報

最寄り駅・周辺地図

埼玉県加須市 土地の販売価格

取引平均-

近隣の土地落札価格

入札数{{ point.bids }}入札数1{{ point.base }}{{ point.sold }}{{ point.sqm.toLocaleString() }}m²築{{ point.age }}年
周辺には土地の落札履歴がありません。地図をドラッグして範囲や縮尺を変えてお試しください