2,065 物件出品中!

埼玉県春日部市東中野 南桜井駅13分の公売物件
¥ 550,000円 戸建て 60m²

埼玉県春日部市東中野 南桜井駅13分の国税庁公売物件

1,359,597円
で売却されました
2026年2月14日(土)

売却結果

実施局署
関東信越国税局
公売公告番号
27号
公告日
令和7年10月30日
入札期間
令和8年1月27日 から 令和8年2月4日
公売の方法
期間入札
開札期日
令和8年2月12日午前10時00分
売却決定の日時
令和8年3月3日午前9時00分
次順位買受申込者に対する売却決定の日は、国税徴収法第113条第2項に定める日となります。
売却決定の場所
関東信越国税局
売却区分番号
1928-1
入札者等の区分
最高価申込者
入札(売却)価額
1,359,597円

期間入札 (初出品)

実施局署
関東信越 国税局
見積価額
550,000円
公売の方法
期間入札
公売公告番号
27号
公売保証金
60,000円
売却区分番号
1928-1
公売保証金の提供方法
現金等
入札期間
令和8年1月27日午前9時00分 から 令和8年2月4日午後5時00分
入札の場所
関東信越国税局又は公売情報ホームページ
必要書類の提出期限 (電子入札の場合)
令和8年1月30日午後5時00分
公売保証金の納付期限
令和8年1月30日午後5時00分
開札期日
令和8年2月12日午前10時00分
開札の場所
関東信越国税局
買受代金納付期限
令和8年3月3日午後2時00分
売却決定の日時
令和8年3月3日午前9時00分
売却決定の場所
関東信越国税局
追加入札期間
令和8年2月17日午前9時00分 から 令和8年2月19日午後5時00分
追加入札開札期日
令和8年2月24日午前10時00分
開札の場所
関東信越国税局
買受代金納付期限
令和8年3月3日午後2時00分
売却決定の日時
令和8年3月3日午前9時00分
売却決定の場所
関東信越国税局
住居表示等
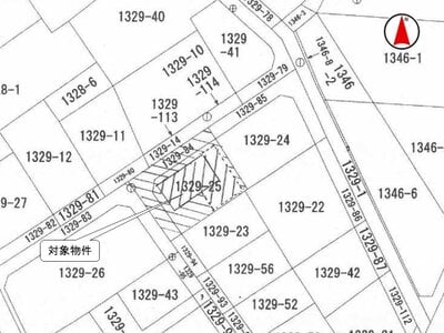
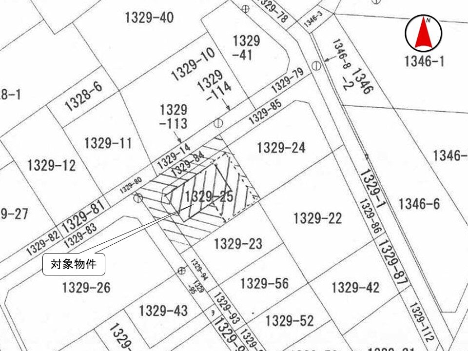
埼玉県春日部市東中野1329番25
交通機関
東武鉄道 野田線 (東武アーバンパークライン) 南桜井駅 南東方約1.0キロメートル
面積 (地積) 合計
151.09m² (45.7坪)
主たる地目
宅地
床面積合計
59.61m² (18.0坪)
主たる種類
居宅

詳細情報 (個別)

財産番号
1
種別
土地
所在地 (登記簿表示内容)
埼玉県春日部市東中野字房田1329番25
地目 (登記簿表示内容)
宅地
面積 (登記簿表示内容)
105.09m² (31.8坪)
地盤・地勢
平坦
接道状況
南西側 幅員約4.0メートル 舗装私道 約0.1〜0.3メートル高位接面
北西側 幅員約4.0メートル 舗装私道 約0.1〜0.3メートル高位接面
当該各私道は、建築基準法第42条第4項第3号に該当します。
使用状況
対象物件1
対象物件3の敷地として使用されています。
北西側に物件所有者の物置が設置されています。
対象物件2
舗装私道として使用されています。
北西側及び南西側に電柱が設置されています。
所有者不明のスチール製のゴミ箱が設置されています。
対象物件3
昭和50年頃建築。
未登記の増築部分があります。
現況 1階 約62.87m² (増築部分を含む。)
2階 26・49m²
物件所有者が社員寮として使用しています。
物件所有者の申立てによると、契約書の作成はなく、賃料は1名あたり月額10,000円です。
管理状況
-

詳細情報 (個別)

財産番号
2
種別
土地
所在地 (登記簿表示内容)
埼玉県春日部市東中野字房田1329番84
地目 (登記簿表示内容)
公衆用道路
面積 (登記簿表示内容)
46m² (13.9坪)

詳細情報 (個別)

財産番号
3
種類 (登記簿表示内容)
居宅
所在地 (登記簿表示内容)
埼玉県春日部市東中野字房田 1329番地25
家屋番号 (登記簿表示内容)
1329番25
構造 (登記簿表示内容)
木造スレート葺2階建
床面積 (登記簿表示内容)
1階 33.12m² (10.0坪)
2階 26.49m² (8.0坪)

詳細情報 (共通)

公法上の規制
市街化調整区域
建ぺい率 60% 容積率 200%
都市計画法第34条第12号区域
春日部市6メートル条例区域
春日部市景観計画区域
宅地造成等公示規制区域
特記事項
対象物件1及び2
埋蔵文化財包蔵地 (90-030房田遺跡) に指定されています。
対象物件3
消費税法施行令第70条の12第5項の規定に基づき、買受人の求めに応じて、関東信越国税局が適格請求書を交付します。
見積価額に占める対象物件3の価額の割合は12.73%です。
その他事項
公売財産の売却決定は、最高価申込者に係る入札価額をもって行います。
一括換価について
対象物件は、国税徴収法第89条第3項の規定に基づき一括換価の方法により公売を行います。
なお、見積価額の内訳は以下のとおりです。
対象物件1及び2 (土地) 480,000円
対象物件3 (建物) 70,000円
留意事項
公売は現況有姿により行うものであるため、次の一般的事項を十分ご理解の上、公売へご参加ください。
1. 公売財産の面積等は公簿上によるものです。あらかじめその現況及び関係公簿等を確認してください。
2. 公売財産の種類又は品質に関する不適合があっても、執行機関 (国) は、担保責任等を負いません。
3. 執行機関 (国) は、公売財産の引渡しの義務を負わないため、使用者又は占有者に対して明渡しを求める場合や不動産内にある動産の処理などはすべて買受人の責任において行うことになります。
4. 土地の境界については隣接地所有者と、接面道路 (私道) の利用については道路所有者とそれぞれ協議してください。
5. 土壌汚染やアスベストなどに関する専門的な調査は行っておりません。

公売財産に関するお問い合せ先

お問い合せ先
関東信越 国税局
お問い合せの際には、開札日(令和8年2月12日)と売却区分番号(1928-1)をお申出の上ご照会ください。
担当部署名
特別整理総括第二課
郵便番号
330-9719
所在地
さいたま市中央区新都心1番地1さいたま新都心合同庁舎1号館
電話番号
048-600-3111
内線
2593
電話受付時間
平日午前9時から午後5時まで
出典:国税庁ホームページ - (1928-1 埼玉県春日部市) 土地付建物詳細 | 公売情報

最寄り駅・周辺地図

埼玉県春日部市 戸建ての販売価格

取引平均-

近隣の戸建て落札価格

入札数{{ point.bids }}入札数1{{ point.base }}{{ point.sold }}{{ point.sqm.toLocaleString() }}m²築{{ point.age }}年
周辺には戸建ての落札履歴がありません。地図をドラッグして範囲や縮尺を変えてお試しください