1,736 物件入札可能!

神奈川県川崎市川崎区小川町 川崎駅6分 「柴田ビル」の公売物件
¥ 124,000,000円 戸建て 643m²

神奈川県川崎市川崎区小川町 川崎駅6分 「柴田ビル」の国税庁公売物件

終了しました
2026年2月12日(木)

期間入札 (初出品)

実施局署
東京 国税局
見積価額
124,000,000円
公売の方法
期間入札
公売公告番号
54号
公売保証金
13,000,000円
売却区分番号
3881-2
公売保証金の提供方法
現金等
入札期間
令和8年2月2日午前9時00分 から 令和8年2月12日午後5時00分
入札の場所
東京国税局
必要書類の提出期限 (電子入札の場合)
令和8年2月9日午後5時00分
公売保証金の納付期限
令和8年2月9日午後5時00分
開札期日
令和8年2月17日午前10時00分
開札の場所
東京国税局
買受代金納付期限
令和8年3月4日午後3時00分
売却決定の日時
令和8年3月4日午前10時00分
売却決定の場所
東京国税局
追加入札期間
令和8年2月25日午前9時00分 から 令和8年3月4日午後5時00分
追加入札開札期日
令和8年3月9日午前10時00分
開札の場所
東京国税局
買受代金納付期限
令和8年3月24日午後3時00分
売却決定の日時
令和8年3月24日午前10時00分
売却決定の場所
東京国税局
住居表示等
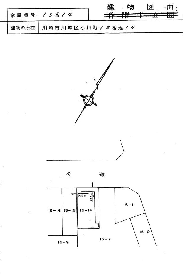
神奈川県川崎市川崎区小川町15番地14
交通機関
JR (東日本) 東海道本線 川崎駅 徒歩 8分 京浜急行電鉄 本線 京急川崎駅 徒歩 8分
床面積合計
643.43m² (194.6坪)
主たる種類
店舗 共同住宅

詳細情報 (個別)

財産番号
1
種類 (登記簿表示内容)
店舗 共同住宅
所在地 (登記簿表示内容)
神奈川県川崎市川崎区小川町 15番地14
家屋番号 (登記簿表示内容)
15番14
構造 (登記簿表示内容)
鉄筋コンクリート造陸屋根7階建
床面積 (登記簿表示内容)
1階 107m² (32.4坪)
2階 90.60m² (27.4坪)
3階 90.60m² (27.4坪)
4階 88.85m² (26.9坪)
5階 88.85m² (26.9坪)
6階 99.41m² (30.1坪)
7階 78.12m² (23.6坪)
地盤・地勢
ほぼ平坦地
接道状況
北西側 幅員約11メートル舗装市道 ほぼ等高接面
使用状況
「その他情報PDF」(「公売公告・別紙3」) のとおり
留意事項
公売は現況有姿により行うものであるため、次の一般的事項を十分ご理解の上、公売へご参加ください。
1. 公売財産については、あらかじめその現況及び関係公簿等を確認してください。
2. 公売財産に財産の種類又は品質に関する不適合があっても、執行機関 (国) は、担保責任を負いません。
3. 執行機関 (国) は、公売財産の引渡義務を負わないため、使用者又は占有者に対して明渡しを求める場合や不動産内にある
動産の処理などはすべて買受人の責任において行うことになります。
4. 土地の境界については隣接地所有者と、接面道路 (私道) の利用については道路所有者とそれぞれ協議してください。
5. 土壌汚染やアスベストなどに関する専門的な調査は行っておりません。

なお、売却区分番号内に複数の財産 (財産が一つで所有者を異にする場合を含む。) があるものについては、国税徴収法第89条第3項の規定に基づき、一括換価の方法により公売を行います。

詳細情報 (共通)

公法上の規制
商業地域
防火地域
宅地造成等工事規制区域
特記事項
間取り不詳
塔屋あり
公売により、件外土地 (15番14) につき、対象物件のために法定地上権が成立する。
その他事項
公売財産の売却決定は、最高価申込者に係る入札価額をもって行います。

公売財産に関するお問い合せ先

お問い合せ先
東京 国税局
お問い合せの際には、開札日(令和8年2月17日)と売却区分番号(3881-2)をお申出の上ご照会ください。
担当部署名
特別整理総括第二課
郵便番号
104-8449
所在地
中央区築地5丁目3番1号
電話番号
03-3542-2111
内線
3305、3306、3307
電話受付時間
平日午前9時から午後5時まで
出典:国税庁ホームページ - (3881-2 神奈川県川崎市川崎区) 建物詳細 | 公売情報

最寄り駅・周辺地図

神奈川県川崎市川崎区 戸建ての販売価格

取引平均-

近隣の戸建て落札価格

入札数{{ point.bids }}入札数?{{ point.base }}{{ point.sold }}{{ point.sqm.toLocaleString() }}m²築{{ point.age }}年
周辺には戸建ての落札履歴がありません。地図をドラッグして範囲や縮尺を変えてお試しください