1,765 物件出品中!

群馬県桐生市広沢町 新桐生駅10分の公売物件
¥ 1,960,000円 土地 356m²

群馬県桐生市広沢町 新桐生駅10分の官公庁公売物件

不売になりました
2026年2月9日(月)再出品情報があります

インターネット公売 () 83万円 値下げ

価額情報

落札価額 (最高入札価額)
-円
次順位買受申込価額
-円
次順位買受申込者
該当なし
見積価額
1,960,000円
公売保証金
200,000円

スケジュール

参加申し込み受付期間
2026年1月8日13時0分 〜 2026年1月26日23時0分
入札期間
2026年2月2日13時0分 〜 2026年2月9日13時0分
買受代金納付期限
2026年3月2日14時30分

代金納付方法

公売保証金納付方法
クレジットカード
買受代金納付方法
銀行振込 直接持参
オークション種別
インターネット公売
実施方法
入札形式
執行機関名称
桐生市
売却区分番号
桐生市ー16
支払い方法
銀行振込 直接持参

物件情報

物件の種類
宅地
物件の所在
群馬県

不動産の基本情報

登記簿の表示
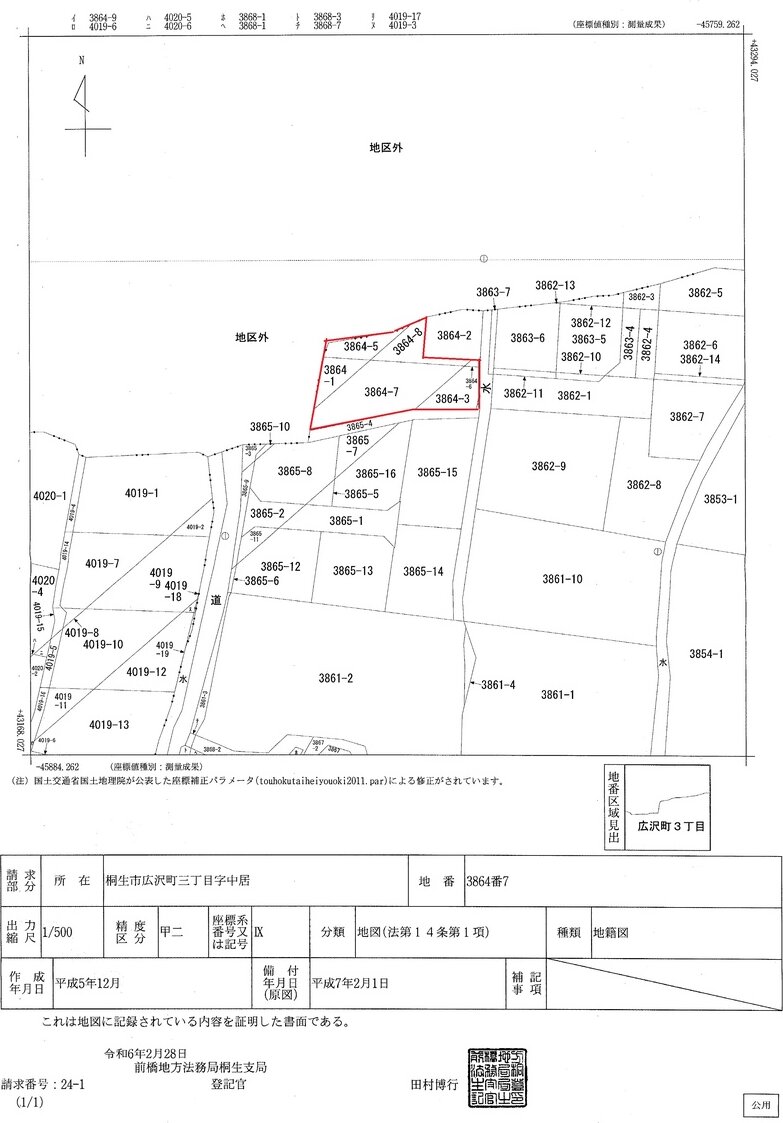
1. 所在 桐生市広沢町三丁目字中居
地番 3864番1
地目 宅地
地積 38.00m²

2. 所在 桐生市広沢町三丁目字中居
地番 3864番3
地目 宅地
地積 51.19m²

3. 所在 桐生市広沢町三丁目字中居
地番 3864番5
地目 宅地
地積 39.00m²

4. 所在 桐生市広沢町三丁目字中居
地番 3864番6
地目 宅地
地積 2.56m²

5. 所在 桐生市広沢町三丁目字中居
地番 3864番7
地目 宅地
地積 175.00m²

6. 所在 桐生市広沢町三丁目字中居
地番 3864番8
地目 宅地
地積 50.00m²
所在地
群馬県桐生市広沢町3丁目3864
住居表示
群馬県
交通、最寄り駅など
・東武桐生線の南方 直線距離 約750m
・神明小学校の南東方 直線距離 約150m
現況
・所有者が空き地の状態で占有しています。

土地の情報

土地面積 (㎡)
355.75 (登記簿)
土地権利
所有権
土地持分
1/1
地目
宅地
都市計画地域
市街化区域
用途地域
第一種低層住居専用地域 (住居と一部公共施設のみ建築可能)
建ぺい率 (%)
40
容積率 (%)
80
その他法令などの規制
・近隣地域は、埋蔵文化財の包蔵地等に指定されていません。
・物件1〜6は一括で売却します。
・建築等を計画される場合は、建築基準法及び関係法令に適合しない可能性があるため、建築士等や担当課 (建築指導課) へ事前に確認してください。
・公売対象土地6筆のうち4筆に地役権設定あり。地役権設定がないのは3864番1と3864番3の2筆です。
・線下補償料については、地役権が設定された昭和44年当時、当時の土地所有者に一括で支払済であり、現所有者には一度も支払がありません。そのため、今後公売で所有者が替わっても線下補償料の支払はないものと思われます。
地勢など
平坦地
間口約6m 奥行約28m
不整形地
幅員、接道状況
東側が幅員約2mの舗装市道と等高に接面しています。
供給処理施設
上水道 引き込み可
公共下水道 引き込み可
都市ガス 引き込み可

物件に関するお問い合わせ先

出品行政機関
桐生市役所
担当部署
納税課
メールアドレス
nozei@city.kiryu.lg.jp
電話
0277-32-4045
(内線 1352)
受付時間
午前8時30分〜午後5時00分
備考
-

補足事項

共通説明文
[不動産の場合]
入札に参加される方は、「暴力団員等でない旨の陳述書」を入札開始日の2開庁日前である令和8年1月29日までに提出してください。陳述書等の提出が確認できない場合の入札は無効になります。
桐生市ホームページからダウンロードしてください。
https://www.city.kiryu.lg.jp/kurashi/zei/1015034/1016547/index.html
1. 公売財産の面積は、公簿上によるものです。
2. 境界は、隣接地所有者と協議してください。
3. 市は不動産登記上の権利移転のみを行います。公売財産の引渡しの義務は負いません。物件内の動産類の撤去、占有者の立ち退き、前所有者からの鍵の引渡し等については、すべて買受人の責任で行ってください。
4. 土壌汚染やアスベスト等の専門的調査は行っておりません。
5. 建物の詳細な内部状況調査、構造調査等は行っておりません。
6. 敷地の埋設物、埋没物等の有無については確認を行っておりません。
7. 市は公売財産の種類又は品質に関する不適合についての担保責任等を負いません。また、いかなる場合においても、引き渡した物件の返品・交換及び苦情などは受け付けません。
8. 桐生市暴力団排除条例第2条に規定する暴力団、暴力団員等は、公売へ参加することができません。(なお、入札者情報に基づき、暴力団、暴力団員等の該当の有無を関係機関に照会します。)

[動産の場合]
1. 引渡時保管場所:群馬県桐生市織姫町1-1 桐生市役所敷地内
2. 桐生市は、物件を買受代金納付時の現況有姿で引き渡します。
3. 執行機関は公売物件の輸送等は行いません。
4. 買受代金納付時に物件を引き取らない場合には、「保管依頼書」の提出が必要となります。
桐生市ホームページからダウンロードしてください。
https://www.city.kiryu.lg.jp/kurashi/zei/1015034/1016547/index.html
5. 桐生市は所有権移転の手続きや自賠責保険の名義変更等は行いません。買受人 (落札者) が自ら行ってください。
6. 売却物件の輸送費用は買受人において全て負担してください。
7. 物件は市税滞納者の財産であり、桐生市が所有する財産ではありません。
8. 桐生市は、物件について瑕疵 (かし) 担保責任を負いません。
9. 物件の権利移転および危険負担の移転の時期は、買受人が買受代金を全額納付したときとします。したがって、その後に発生した物件の棄損、焼失などによる損害の負担は、買受人が負うことになります。
10. いかなる理由があっても、引き渡した物件の返品・交換はできません。
11. 物件の状態については、執行機関職員が可能な範囲での外観目視のみを行っており、引渡し後の動作や走行については一切保証はできません。
12. 物件は、桐生市役所敷地内自動車車庫内にて保管しています。

過去の出品

1回目
630万円 (2024.05.21不売)
2回目
630万円 (2024.07.01不売)
3回目
630万円 (2024.08.06不売)
4回目
309万円 (2025.02.10不売)
5回目
309万円 (2025.05.20不売)
6回目
309万円 (2025.07.01不売)
7回目
279万円 (2025.07.23中止)
出典:官公庁オークション - 群馬県桐生市広沢町 土地 107坪:桐生市のインターネット公売物件詳細

最寄り駅・周辺地図

群馬県桐生市 土地の販売価格

取引平均-

近隣の土地落札価格

入札数{{ point.bids }}入札数1{{ point.base }}{{ point.sold }}{{ point.sqm.toLocaleString() }}m²築{{ point.age }}年
周辺には土地の落札履歴がありません。地図をドラッグして範囲や縮尺を変えてお試しください