2,053 物件入札可能!

千葉県野田市岡田 川間駅の公売物件
¥ 50,000円 農地 589m²

期間入札 () 3万円 値下げ

実施局署
東京 国税局
見積価額
50,000円
公売の方法
期間入札
公売公告番号
66号
公売保証金
10,000円
売却区分番号
3638-3
公売保証金の提供方法
現金等
入札期間
令和8年5月1日午前9時00分 から 令和8年5月14日午後5時00分
入札の場所
東京国税局
必要書類の提出期限 (電子入札の場合)
令和8年5月12日午後5時00分
公売保証金の納付期限
令和8年5月12日午後5時00分
開札期日
令和8年5月19日午前10時00分
開札の場所
東京国税局
買受代金納付期限
令和8年6月3日午後3時00分
売却決定の日時
令和8年6月3日午前10時00分
売却決定の場所
東京国税局
追加入札期間
令和8年5月22日午前9時00分 から 令和8年5月27日午後5時00分
追加入札開札期日
令和8年5月29日午前10時00分
開札の場所
東京国税局
買受代金納付期限
令和8年6月9日午後3時00分
売却決定の日時
令和8年6月9日午前10時00分
売却決定の場所
東京国税局
住居表示等
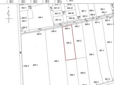
千葉県野田市岡田649番3
交通機関
東武鉄道 野田線 (東武アーバンパークライン) 川間駅 北西方約3.9キロメートル
面積 (地積) 合計
589m² (178.2坪)
主たる地目

詳細情報 (個別)

財産番号
1
種別
土地
所在地 (登記簿表示内容)
千葉県野田市岡田字上尻坪649番3
地目 (登記簿表示内容)
面積 (登記簿表示内容)
589m² (178.2坪)
地盤・地勢
ほぼ平坦地
接道状況
北側 幅員約3.6メートル舗装市道 ぼ等高接面
使用状況
第三者が畑として使用
貸借関係等の内容は不明
留意事項
公売は現況有姿により行うものであるため、次の一般的事項を十分ご理解の上、公売へご参加ください。
1. 公売財産については、あらかじめその現況及び関係公簿等を確認してください。
2. 公売財産に財産の種類又は品質に関する不適合があっても、執行機関 (国) は、担保責任を負いません。
3. 執行機関 (国) は、公売財産の引渡義務を負わないため、使用者又は占有者に対して明渡しを求める場合や不動産内にある動産の処理などはすべて買受人の責任において行うことになります。
4. 土地の境界については隣接地所有者と、接面道路 (私道) の利用については道路所有者とそれぞれ協議してください。
5. 土壌汚染やアスベストなどに関する専門的な調査は行っておりません。

なお、売却区分番号内に複数の財産 (財産が一つで所有者を異にする場合を含む。) があるものについては、国税徴収法第89条第3項の規定に基づき、一括換価の方法により公売を行います。

詳細情報 (共通)

公法上の規制
市街化調整区域
農業振興地域 農用地
埋蔵文化財包蔵地 (岡田上尻坪遺跡)
宅地造成等工事規制区域
特記事項
西側及び南側の境界は判然としない。
電柱あり
買受人の資格その他の要件
農地につき、「買受適格証明書」の提出を要する。
その他事項
公売財産の売却決定は、最高価申込者に係る買受申込価額をもって行います。

公売財産に関するお問い合せ先

お問い合せ先
東京 国税局
お問い合せの際には、開札日(令和8年5月19日)と売却区分番号(3638-3)をお申出の上ご照会ください。
担当部署名
特別整理総括第二課
郵便番号
104-8449
所在地
中央区築地5丁目3番1号
電話番号
03-3542-2111
内線
3305、3306、3307
電話受付時間
平日午前9時から午後5時まで

過去の出品

1回目
10万円 (2025.04.24不売)
2回目
8万円 (2025.11.12不売)
出典:国税庁ホームページ - (3638-3 千葉県野田市) 土地詳細 | 公売情報

最寄り駅・周辺地図

千葉県野田市 農地の販売価格

取引平均-

近隣の農地落札価格

入札数{{ point.bids }}入札数?{{ point.base }}{{ point.sold }}{{ point.sqm.toLocaleString() }}m²築{{ point.age }}年
周辺には農地の落札履歴がありません。地図をドラッグして範囲や縮尺を変えてお試しください