1,735 物件出品中!

神奈川県横浜市鶴見区矢向 矢向駅7分の競売物件
¥ 9,620,000円 土地 177m²

神奈川県横浜市鶴見区矢向 矢向駅7分の競売物件

20,110,000円
で売却されました
2026年4月14日(火)

期間入札 (初出品)

管轄裁判所
横浜地方裁判所本庁
事件番号
令和06年(ケ)第307号
売却基準価額
9,620,000円
買受申出保証額
1,924,000円
買受可能価額
7,696,000円

売却結果

売却価額
20,110,000円
開札結果
売却
入札者数
7人
落札者資格
法人
開札日
2026年4月14日(火)

物件概要

所在地 (地番)
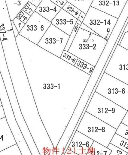
神奈川県横浜市鶴見区矢向三丁目312番1
住居表示
神奈川県横浜市鶴見区矢向三丁目22番11号
評価上の交通
JR南武線「」駅 南西方 約550m (道路距離)
参考交通
JR南武線 北西方 0.70km
JR東海道本線 西方 1.72km
JR京浜東北線 西方 1.72km
土地面積
177.31m² (53.6坪)
地目
宅地
用途地域
第一種住居地域 (店舗や事務所・ホテルなども建築可能)
物件番号
  • 2. 土地 (売却外物件あり)

物件詳細

物件番号
2
種別
土地 売却外物件あり
所在地
横浜市鶴見区矢向三丁目 312番1
地目 (登記)
宅地
地目 (現況)
-
土地面積 (登記)
177.31m² (53.6坪)
土地面積 (現況)
-
用途地域
第一種住居地域 (店舗や事務所・ホテルなども建築可能)
土地の利用状況
-
建ぺい率
60%
容積率
200%
持分
-
注意事項
本詳細情報画面の内容については、必ず物件資料3点セット(物件明細書、現況調査報告書及び評価書等)をダウンロードの上、ご確認ください(民事執行法63条2項1号の申出がある場合等があります)。本システムからダウンロードした「現況調査報告書」及び「評価書」に引用されている写真、資料及び図面は、本システム上は添付されていない場合があります。

売却スケジュール

売却実施処分日
2026年1月13日(火)
公告日
2026年2月26日(木)
閲覧開始日
2026年2月26日(木)
入札期間
2026年3月31日(火)〜4月7日(火)
開札日
2026年4月14日(火)
特別売却期間
2026年4月20日(月)のみ
売却決定日
2026年4月27日(月)
確定日
2026年5月8日(金)
状態
終了
スケジュール
競売スケジュール
出典:裁判所BIT 不動産競売物件情報

最寄り駅・周辺地図

神奈川県横浜市鶴見区 土地の販売価格

取引平均-

近隣の土地落札価格

入札数{{ point.bids }}入札数1{{ point.base }}{{ point.sold }}{{ point.sqm.toLocaleString() }}m²築{{ point.age }}年
周辺には土地の落札履歴がありません。地図をドラッグして範囲や縮尺を変えてお試しください