1,694 物件出品中!

北海道石狩郡新篠津村第三十九線南 豊幌駅の公売物件
¥ 150,000円 土地 419m²

期間入札 () 6万円 値下げ

実施局署
札幌 国税局
見積価額
150,000円
公売の方法
期間入札
公売公告番号
02号
公売保証金
要しない
売却区分番号
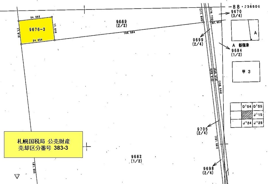
383-3
入札期間
令和8年5月18日午前8時30分 から 令和8年5月26日午後5時00分
入札の場所
札幌国税局
必要書類の提出期限 (電子入札の場合)
令和8年5月22日午後5時00分
開札期日
令和8年5月28日午前9時30分
開札の場所
札幌国税局 徴収部調査室 (4階)
買受代金納付期限
令和8年6月23日午後2時00分
売却決定の日時
令和8年6月18日午前10時00分
売却決定の場所
札幌国税局
追加入札期間
令和8年6月2日午前8時30分 から 令和8年6月5日午後5時00分
追加入札開札期日
令和8年6月8日午前9時30分
開札の場所
札幌国税局 徴収部調査室 (4階)
買受代金納付期限
令和8年7月1日午後2時00分
売却決定の日時
令和8年6月29日午前10時00分
売却決定の場所
札幌国税局
住居表示等
北海道石狩郡新篠津村第三十九線南
交通機関
JR (北海道) 学園都市線 (札沼線) 南東方順路約7.6キロメートル
面積 (地積) 合計
419.35m² (126.9坪)
主たる地目
宅地

詳細情報 (個別)

財産番号
1
種別
土地
所在地 (登記簿表示内容)
北海道石狩郡新篠津村9676番3
地目 (登記簿表示内容)
宅地
面積 (登記簿表示内容)
419.35m² (126.9坪)
地盤・地勢
間口約17メートル、奥行約24.6メートルの長方形状の画地です。
接道状況
西側が幅員約18メートルの舗装村道 (高倉第39線) とほぼ等高に接道しています。
使用状況
・第三者の未登記建物の敷地として使用されています。
・貸借関係については不明です。

詳細情報 (共通)

公法上の規制
都市計画区域外
特記事項
・地積等は公簿上によります。
・境界は隣接地所有者と協議してください。
・上水道はありますが、公共下水道、都市ガスは未整備です。
その他事項
公売財産の売却決定は、最高価申込者に係る入札価額をもって行います。
一般的留意事項
公売は現況有姿 (現在あるがままの状態をいい、その財産に傷などがあっても補修などを行わないことをいいます。) により行うものであるため、次の一般的事項を十分ご理解の上、公売へご参加ください。
1. 公売財産については、あらかじめその現況及び関係公簿等を確認してください。
2. 公売財産に財産の種類又は品質に関する不適合があっても、執行機関 (国) は担保責任を負いません。
3. 執行機関 (国) は、公売財産の引渡義務を負わないため、使用者又は占有者に対して明渡しを求める場合や公売財産内
にある動産の処理などはすべて買受人の責任において行うことになります。
4. 土地の境界については隣接地所有者と、接面道路 (私道) の利用については道路所有者とそれぞれ協議してください。
5. 土壌汚染やアスベストなどに関する専門的な調査は行っておりません。
6. 公売財産の権利移転に伴う費用は買受人の負担となります。

物件に関するお問い合せ先

お問い合せ先
札幌 国税局
お問い合せの際には、開札日(令和8年5月28日)と売却区分番号(383-3)をお申出の上ご照会ください。
担当部署名
特別整理第一部門
郵便番号
060-0042
所在地
札幌市中央区大通西10丁目札幌第二合同庁舎
電話番号
011-231-5011
内線
5315
電話受付時間
平日午前9時から午後5時まで

過去の出品

1回目
21万円 (2026.02.27不売)
出典:国税庁ホームページ - (383-3 北海道石狩郡新篠津村) 土地詳細 | 公売情報

最寄り駅・周辺地図

北海道石狩郡新篠津村 土地の販売価格

取引平均-

近隣の土地落札価格

入札数{{ point.bids }}入札数1{{ point.base }}{{ point.sold }}{{ point.sqm.toLocaleString() }}m²築{{ point.age }}年
周辺には土地の落札履歴がありません。地図をドラッグして範囲や縮尺を変えてお試しください