2,014 物件出品中!

千葉県我孫子市岡発戸 東我孫子駅18分の公売物件
¥ 550,000円 戸建て 66m²

千葉県我孫子市岡発戸 東我孫子駅18分の国税庁公売物件

不売になりました
2026年2月18日(水)

売却結果

実施局署
東京国税局
公売公告番号
53号
公告日
令和8年1月8日
入札期間
令和8年2月2日 から 令和8年2月12日
公売の方法
期間入札
開札期日
令和8年2月17日午前10時00分
売却決定の日時
令和8年3月4日午前10時00分
次順位買受申込者に対する売却決定の日は、国税徴収法第113条第2項に定める日となります。
売却決定の場所
東京国税局
売却区分番号
3944-1
入札者等の区分
入札なし

期間入札 (初出品)

実施局署
東京 国税局
見積価額
550,000円
公売の方法
期間入札
公売公告番号
53号
公売保証金
100,000円
売却区分番号
3944-1
公売保証金の提供方法
現金等
入札期間
令和8年2月2日午前9時00分 から 令和8年2月12日午後5時00分
入札の場所
東京国税局
必要書類の提出期限 (電子入札の場合)
令和8年2月9日午後5時00分
公売保証金の納付期限
令和8年2月9日午後5時00分
開札期日
令和8年2月17日午前10時00分
開札の場所
東京国税局
買受代金納付期限
令和8年3月4日午後3時00分
売却決定の日時
令和8年3月4日午前10時00分
売却決定の場所
東京国税局
追加入札期間
令和8年2月25日午前9時00分 から 令和8年3月4日午後5時00分
追加入札開札期日
令和8年3月9日午前10時00分
開札の場所
東京国税局
買受代金納付期限
令和8年3月24日午後3時00分
売却決定の日時
令和8年3月24日午前10時00分
売却決定の場所
東京国税局
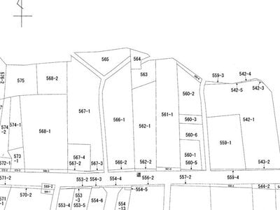
住居表示等
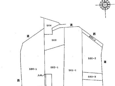
千葉県我孫子市岡発戸561番地
交通機関
JR (東日本) 成田線 東我孫子駅 東方約1.5キロメートル
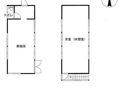
床面積合計
66.24m² (20.0坪)
主たる種類
事務所

詳細情報 (個別)

財産番号
1
種類 (登記簿表示内容)
事務所
所在地 (登記簿表示内容)
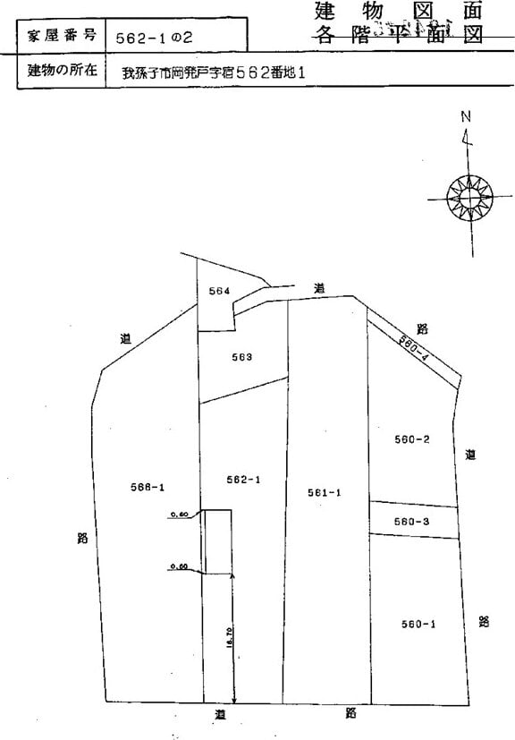
千葉県我孫子市岡発戸字宿 562番地1
家屋番号 (登記簿表示内容)
562番1の2
構造 (登記簿表示内容)
軽量鉄骨造亜鉛メッキ鋼板葺2階建
床面積 (登記簿表示内容)
1階 33.12m² (10.0坪)
2階 33.12m² (10.0坪)
地盤・地勢
ほぼ平坦地
接道状況
南側 幅員約9.3メートル舗装国道 ほぼ等高接面
使用状況
平成6年頃建築
所有者の親族が自動車整備工場の事務所として使用
建物所有者の申立てによると、家賃の定めはない。
貸借関係等の内容は不明

対象物件の敷地 (562番1の一部)
建物所有法人代表者の親族が所有
登記簿上の敷地所有者の親族の申立てによると、地代の定めはない。
貸借関係等の内容は不明
留意事項
公売は現況有姿により行うものであるため、次の一般的事項を十分ご理解の上、公売へご参加ください。
1. 公売財産については、あらかじめその現況及び関係公簿等を確認してください。
2. 公売財産に財産の種類又は品質に関する不適合があっても、執行機関 (国) は、担保責任を負いません。
3. 執行機関 (国) は、公売財産の引渡義務を負わないため、使用者又は占有者に対して明渡しを求める場合や不動産内にある
動産の処理などはすべて買受人の責任において行うことになります。
4. 土地の境界については隣接地所有者と、接面道路 (私道) の利用については道路所有者とそれぞれ協議してください。
5. 土壌汚染やアスベストなどに関する専門的な調査は行っておりません。

なお、売却区分番号内に複数の財産 (財産が一つで所有者を異にする場合を含む。) があるものについては、国税徴収法第89条第3項の規定に基づき、一括換価の方法により公売を行います。

詳細情報 (共通)

公法上の規制
国道365号線道路境界から25メートルまでの部分
第一種住居地域
第一種高度地区
宅地造成等工事規制区域
建蔽率 60% 容積率 200%

その他の部分
第一種低層住居専用地域
宅地造成等工事規制区域
建蔽率 60% 容積率 150%
特記事項
-
その他事項
公売財産の売却決定は、最高価申込者に係る入札価額をもって行います。

公売財産に関するお問い合せ先

お問い合せ先
東京 国税局
お問い合せの際には、開札日(令和8年2月17日)と売却区分番号(3944-1)をお申出の上ご照会ください。
担当部署名
特別整理総括第二課
郵便番号
104-8449
所在地
中央区築地5丁目3番1号
電話番号
03-3542-2111
内線
3305、3306、3307
電話受付時間
平日午前9時から午後5時まで
出典:国税庁ホームページ - (3944-1 千葉県我孫子市) 建物詳細 | 公売情報

最寄り駅・周辺地図

千葉県我孫子市 戸建ての販売価格

取引平均-

近隣の戸建て落札価格

入札数{{ point.bids }}入札数1{{ point.base }}{{ point.sold }}{{ point.sqm.toLocaleString() }}m²築{{ point.age }}年
周辺には戸建ての落札履歴がありません。地図をドラッグして範囲や縮尺を変えてお試しください